
Saturnuslaan 1-GB35 is een adres in Bilthoven, dat zich bevindt binnen de gemeentegrenzen van Bilthoven en de grenzen van de provincie Utrecht. Het verblijfsobject is vergeleken met het Nederlandse gemiddelde aan de kleine kant: de oppervlakte is 18 m². Het perceel waarop het adres zich bevindt heeft een oppervlakte van 1060 m². Er zijn geen kleinere objecten in deze straat. De gemiddelde oppervlakte is er 73 m². Het grootste verblijfsobject is 110 m². Saturnuslaan 1-GB35 bevindt zich in een pand uit het jaar 1957. Daarmee behoort het tot de groep relatief oude panden in Nederland die gebouwd zijn vóór 1965. Gemiddeld zijn de gebouwen in de straat gebouwd in 1962. Dit is het oudste pand in de straat. Het meest recente komt uit het jaar 1970. De volgende gebruiksdoelen zijn geregistreerd voor dit adres: 'overige gebruiksfunctie'.
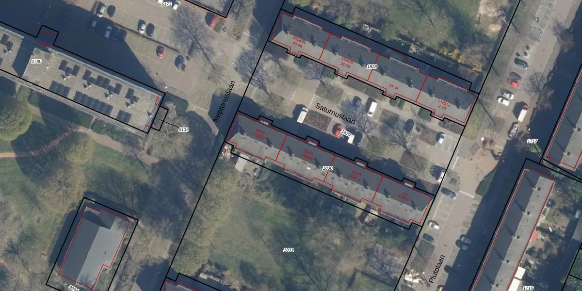
Het adres ligt op het perceel BIL01-F-1830, dat zich in de kadastrale gemeente De Bilt bevindt. Het perceel is 1060 m² groot. Dat is kleiner dan de gemiddelde perceeloppervlakte in De Bilt, dat op 2129,35 m² ligt. Het grootste perceel in de kadastrale gemeente is 77,4 ha. Het kleinste perceel heeft een oppervlakte van 0 m². Op het perceel liggen in totaal 24 adressen. De huidige grenzen van het perceel zijn digitaal in de Basisregistratie Kadaster (BRK) geregistreerd op 15-03-2010.
Er is geen energielabel geregistreerd voor het adres. Het hoogste energielabel in de straat is D; het laagste is G. Het gemiddelde energielabel is er E. Het adres Saturnuslaan 1-GB35 heeft als status: 'verblijfsobject in gebruik'. Het pand waarin dit adres ligt heeft als status: 'pand in gebruik'.
Saturnuslaan 1-GB35 is een adres gelegen in de gemeente De Bilt, provincie Utrecht. Dit adres is geregistreerd in de Basisregistratie Adressen en Gebouwen (BAG) met als unieke identificatie 0310010000727243.
Het pand op Saturnuslaan 1-GB35 is gebouwd in 1957, wat betekent dat het 69 jaar oud is. Dit is een ouder pand. Het pand heeft mogelijk aanzienlijke renovaties nodig om aan de huidige standaarden te voldoen.
De woning op Saturnuslaan 1-GB35 heeft een gebruiksoppervlakte van 18 m². Dit is relatief klein vergeleken met de gemiddelde Nederlandse woning, die een oppervlakte heeft van ongeveer 119 m². De gebruiksoppervlakte is de maat die wordt gebruikt in de BAG-registratie, de landelijke registratie van de Nederlandse overheid.
Saturnuslaan 1-GB35 heeft als functie: overige doeleinden. Deze gebruiksfunctie(s) zijn vastgelegd in de BAG-registratie en geven aan waarvoor het adres officieel mag worden gebruikt.
Saturnuslaan 1-GB35 is gelegen op kadastraal perceel BIL01F1830. Deze kadastrale aanduiding is uniek en wordt gebruikt door het Kadaster om eigendomsrechten en andere zakelijke rechten vast te leggen. Het perceel maakt onderdeel uit van de kadastrale gemeente De Bilt.
Het perceel waarop Saturnuslaan 1-GB35 staat heeft een oppervlakte van 1060 m². Dit is een zeer groot perceel. De perceeloppervlakte wordt geregistreerd door het Kadaster. Gedetailleerde informatie over de maten van dit perceel kunt u vinden in het rapport Kadastrale kaart met maatvoering van Saturnuslaan 1-GB35.
De eigenaar van Saturnuslaan 1-GB35 is op te vragen op deze pagina.
De informatie over dit adres is afkomstig uit officiële overheidsregistraties, voornamelijk de Basisregistratie Adressen en Gebouwen (BAG) en de Basisregistratie Kadaster (BRK). Deze gegevens worden beheerd door respectievelijk gemeenten en het Kadaster, en worden regelmatig bijgewerkt. Energielabelgegevens komen uit de database van de Rijksdienst voor Ondernemend Nederland (RVO).
