
Het adres Tweelingen 106 bevindt zich in de plaats Bilthoven, in de gemeente Bilthoven en de provincie Utrecht. De oppervlakte van het object bedraagt 68 m². Dat is klein vergeleken met het Nederlandse gemiddelde. Het perceel waarop het adres ligt is 2914 m² groot. Het adres is klein vergeleken met andere objecten in de straat. Het grootste object in de straat heeft een oppervlakte van 575 m², het kleinste is 56 m² groot. De meeste Nederlandse gebouwen zijn gebouwd in de periode 1965-1984. Zo ook het pand waarin Tweelingen 106 ligt, dat gebouwd is in 1966. In de straat komt het nieuwste gebouw uit het jaar 2020 en het oudste uit 1950. Het bouwjaar van dit object is relatief oud. De volgende gebruiksdoelen zijn geregistreerd voor dit adres: 'woonfunctie'.
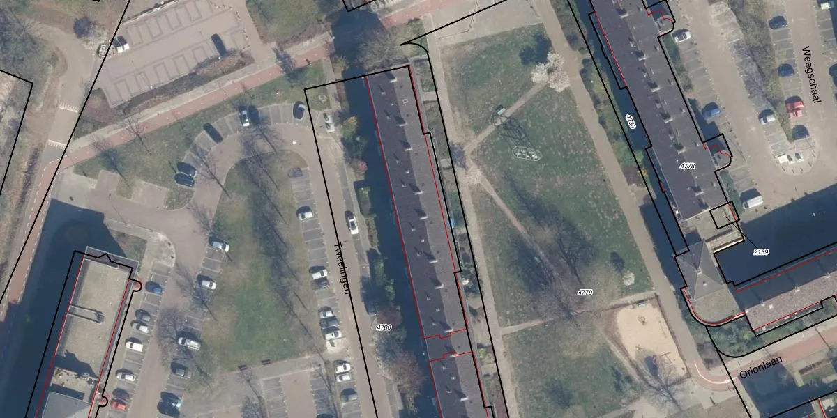
Het adres ligt op het perceel BIL01-F-4780, dat zich in de kadastrale gemeente De Bilt bevindt. De oppervlakte van het perceel is 2914 m². Dat is groter dan gemiddeld in De Bilt, waar de gemiddelde perceeloppervlakte op 2132,38 m² ligt. De grootste perceeloppervlakte in de kadastrale gemeente is 77,4 ha. De kleinste oppervlakte bedraagt 0 m². Op het perceel zijn 42 adressen aanwezig. In de Basisregistratie Kadaster (BRK) werden de grenzen van het perceel geregistreerd op 14-11-1997.
Het adres ligt in een gebouw van het type 'flatwoning (overig) met het subtype hoekvloer'. Bij de laatste meting is voor het adres het energielabel C geregistreerd. Het hoogste energielabel in de straat is A; het laagste is G. Het gemiddelde energielabel is er B. Het adres Tweelingen 106 heeft als status: 'verblijfsobject in gebruik'. Het pand waarin dit adres ligt heeft als status: 'pand in gebruik'.
Tweelingen 106 is een adres gelegen in de gemeente De Bilt, provincie Utrecht. Dit adres is geregistreerd in de Basisregistratie Adressen en Gebouwen (BAG) met als unieke identificatie 0310010000696265.
Het pand op Tweelingen 106 is gebouwd in 1966, wat betekent dat het 60 jaar oud is. Dit is een ouder pand. Het pand heeft mogelijk aanzienlijke renovaties nodig om aan de huidige standaarden te voldoen.
De woning op Tweelingen 106 heeft een gebruiksoppervlakte van 68 m². Dit is relatief klein vergeleken met de gemiddelde Nederlandse woning, die een oppervlakte heeft van ongeveer 119 m². De gebruiksoppervlakte is de maat die wordt gebruikt in de BAG-registratie, de landelijke registratie van de Nederlandse overheid.
Tweelingen 106 heeft als functie: wonen. Deze gebruiksfunctie(s) zijn vastgelegd in de BAG-registratie en geven aan waarvoor het adres officieel mag worden gebruikt.
Tweelingen 106 is gelegen op kadastraal perceel BIL01F4780. Deze kadastrale aanduiding is uniek en wordt gebruikt door het Kadaster om eigendomsrechten en andere zakelijke rechten vast te leggen. Het perceel maakt onderdeel uit van de kadastrale gemeente De Bilt.
Het perceel waarop Tweelingen 106 staat heeft een oppervlakte van 2914 m². Dit is een zeer groot perceel. De perceeloppervlakte wordt geregistreerd door het Kadaster. Gedetailleerde informatie over de maten van dit perceel kunt u vinden in het rapport Kadastrale kaart met maatvoering van Tweelingen 106.
De eigenaar van Tweelingen 106 is op te vragen op deze pagina
De informatie over dit adres is afkomstig uit officiële overheidsregistraties, voornamelijk de Basisregistratie Adressen en Gebouwen (BAG) en de Basisregistratie Kadaster (BRK). Deze gegevens worden beheerd door respectievelijk gemeenten en het Kadaster, en worden regelmatig bijgewerkt. Energielabelgegevens komen uit de database van de Rijksdienst voor Ondernemend Nederland (RVO).
