
Het adres Naarderweg 17-d bevindt zich in de plaats Blaricum, in de gemeente Blaricum en de provincie Noord-Holland. De oppervlakte van het verblijfsobject is met 301 m² aan de grote kant. Het perceel heeft een oppervlakte van 1950 m². Vergeleken met de andere verblijfsobjecten in de straat is dit object groot. De oppervlakte van het grootste object in de straat is 1111 m², die van het kleinste bedraagt 2 m². In het jaar 2015 is het pand waarin Naarderweg 17-d ligt gebouwd. Dat is relatief recent: de meeste gebouwen in Nederland zijn gebouwd in de periode 1965-1984. Dit object is relatief nieuw in de straat. Het nieuwste gebouw komt er uit het jaar 2025 en het oudste uit het jaar 1905. Voor het verblijfsobject gelden deze gebruiksdoelen: 'woonfunctie'.
Deze woning is voor het laatst verkocht op 1 september 2016. Meer informatie over deze transactie? Bestel het Woningtransactierapport om de verkoopprijs en andere informatie te zien.
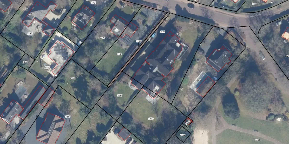
Het adres is gelegen op perceel 1532 in de sectie D en de kadastrale gemeente Blaricum. De kadastrale aanduiding is aldus BRC00-D-1532. De gemiddelde perceelgrootte in Blaricum is 2166,61 m². Dit perceel is kleiner: de perceeloppervlakte bedraagt 1950 m². De grootste perceeloppervlakte in de kadastrale gemeente is 3,41 km². De kleinste oppervlakte bedraagt 0 m². Op het perceel liggen in totaal 8 adressen. In de Basisregistratie Kadaster (BRK) werden de grenzen van het perceel geregistreerd op 16-12-1999.
Het adres ligt in een gebouw van het type 'maisonnette met het subtype hoekdak'. Bij de laatste meting is voor het adres het energielabel A geregistreerd. Het hoogste energielabel in de straat is A++; het laagste is G. Het gemiddelde energielabel is er D. Het adres Naarderweg 17-d heeft als status: 'verblijfsobject in gebruik'. Het pand waarin dit adres ligt heeft als status: 'pand in gebruik'.
Naarderweg 17-d is een adres gelegen in de gemeente Blaricum, provincie Noord-Holland. Dit adres is geregistreerd in de Basisregistratie Adressen en Gebouwen (BAG) met als unieke identificatie 0376010000012277.
Het pand op Naarderweg 17-d is gebouwd in 2015, wat betekent dat het 11 jaar oud is. Dit is een relatief modern pand. Ten opzichte van de nationale woningvoorraad is het pand relatief modern, maar er kunnen enkele verouderde elementen zijn die aandacht nodig hebben.
De woning op Naarderweg 17-d heeft een gebruiksoppervlakte van 301 m². Dit is ruim vergeleken met de gemiddelde Nederlandse woning, die een oppervlakte heeft van ongeveer 119 m². De gebruiksoppervlakte is de maat die wordt gebruikt in de BAG-registratie, de landelijke registratie van de Nederlandse overheid.
Naarderweg 17-d heeft als functie: wonen. Deze gebruiksfunctie(s) zijn vastgelegd in de BAG-registratie en geven aan waarvoor het adres officieel mag worden gebruikt.
Naarderweg 17-d is gelegen op kadastraal perceel BRC00D1532. Deze kadastrale aanduiding is uniek en wordt gebruikt door het Kadaster om eigendomsrechten en andere zakelijke rechten vast te leggen. Het perceel maakt onderdeel uit van de kadastrale gemeente Blaricum.
Het perceel waarop Naarderweg 17-d staat heeft een oppervlakte van 1950 m². Dit is een zeer groot perceel. De perceeloppervlakte wordt geregistreerd door het Kadaster. Gedetailleerde informatie over de maten van dit perceel kunt u vinden in het rapport Kadastrale kaart met maatvoering van Naarderweg 17-d.
De eigenaar van Naarderweg 17-d is op te vragen op deze pagina.
De informatie over dit adres is afkomstig uit officiële overheidsregistraties, voornamelijk de Basisregistratie Adressen en Gebouwen (BAG) en de Basisregistratie Kadaster (BRK). Deze gegevens worden beheerd door respectievelijk gemeenten en het Kadaster, en worden regelmatig bijgewerkt. Energielabelgegevens komen uit de database van de Rijksdienst voor Ondernemend Nederland (RVO).
