
't Schaar 131 is gelegen in de plaats Blaricum, de gemeente Blaricum en de provincie Noord-Holland. Het perceel waarop het adres gelegen is heeft een oppervlakte van 1105 m². Het verblijfsobject is met 94 m² relatief klein. Dit is het adres met de grootste oppervlakte van alle adressen in de straat. Gemiddeld hebben de objecten in de straat een oppervlakte van 76 m². De kleinste oppervlakte is er 20 m². In Nederland komt het grootste deel van de gebouwen uit de periode 1965-1984. Ook het bouwjaar van 't Schaar 131 is afkomstig uit die periode: het betreft namelijk een pand uit 1976. Het gemiddelde bouwjaar in de straat is 1976 en dat van het oudste pand is 1976. Dit is het nieuwste object in de straat. De volgende gebruiksdoelen zijn geregistreerd voor dit adres: 'woonfunctie'.
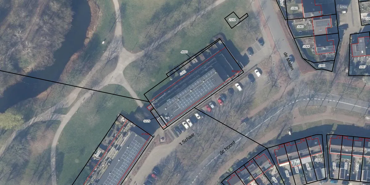
Het adres ligt op het perceel BRC00-C-2151, dat zich in de kadastrale gemeente Blaricum bevindt. Het perceel is 1105 m² groot. Dat is kleiner dan de gemiddelde perceeloppervlakte in Blaricum, dat op 2166,61 m² ligt. Het grootste perceel in de kadastrale gemeente is 3,41 km². Het kleinste perceel heeft een oppervlakte van 0 m². Er zijn 25 adressen aanwezig op het perceel. De laatste wijziging in het de Basisregistratie Kadaster (BRK) was op 23-02-2023.
Het adres ligt in een gebouw van het type 'flatwoning (overig) met het subtype tussenmidden'. Bij de laatste meting is voor het adres het energielabel B geregistreerd. Het hoogste energielabel in de straat is A; het laagste is G. Het gemiddelde energielabel is er A. Het adres 't Schaar 131 heeft als status: 'verblijfsobject in gebruik'. Het pand waarin dit adres ligt heeft als status: 'pand in gebruik'.
't Schaar 131 is een adres gelegen in de gemeente Blaricum, provincie Noord-Holland. Dit adres is geregistreerd in de Basisregistratie Adressen en Gebouwen (BAG) met als unieke identificatie 0376010000003648.
Het pand op 't Schaar 131 is gebouwd in 1976, wat betekent dat het 50 jaar oud is. Dit is een ouder pand. Het pand heeft mogelijk aanzienlijke renovaties nodig om aan de huidige standaarden te voldoen.
De woning op 't Schaar 131 heeft een gebruiksoppervlakte van 94 m². Dit is onder het gemiddelde vergeleken met de gemiddelde Nederlandse woning, die een oppervlakte heeft van ongeveer 119 m². De gebruiksoppervlakte is de maat die wordt gebruikt in de BAG-registratie, de landelijke registratie van de Nederlandse overheid.
't Schaar 131 heeft als functie: wonen. Deze gebruiksfunctie(s) zijn vastgelegd in de BAG-registratie en geven aan waarvoor het adres officieel mag worden gebruikt.
't Schaar 131 is gelegen op kadastraal perceel BRC00C2151. Deze kadastrale aanduiding is uniek en wordt gebruikt door het Kadaster om eigendomsrechten en andere zakelijke rechten vast te leggen. Het perceel maakt onderdeel uit van de kadastrale gemeente Blaricum.
Het perceel waarop 't Schaar 131 staat heeft een oppervlakte van 1105 m². Dit is een zeer groot perceel. De perceeloppervlakte wordt geregistreerd door het Kadaster. Gedetailleerde informatie over de maten van dit perceel kunt u vinden in het rapport Kadastrale kaart met maatvoering van 't Schaar 131.
De eigenaar van 't Schaar 131 is op te vragen op deze pagina.
De informatie over dit adres is afkomstig uit officiële overheidsregistraties, voornamelijk de Basisregistratie Adressen en Gebouwen (BAG) en de Basisregistratie Kadaster (BRK). Deze gegevens worden beheerd door respectievelijk gemeenten en het Kadaster, en worden regelmatig bijgewerkt. Energielabelgegevens komen uit de database van de Rijksdienst voor Ondernemend Nederland (RVO).
