
De Vlonder 45-b is gelegen in de plaats Boekel, de gemeente Boekel en de provincie Noord-Brabant. Het verblijfsobject is vergeleken met het Nederlandse gemiddelde aan de kleine kant: de oppervlakte is 6 m². Het perceel waarop het adres zich bevindt heeft een oppervlakte van 13 m². Er zijn geen kleinere objecten in deze straat. De gemiddelde oppervlakte is er 649 m². Het grootste verblijfsobject is 4649 m². In het jaar 1991 is het pand waarin De Vlonder 45-b ligt gebouwd. Dat is relatief recent: de meeste gebouwen in Nederland zijn gebouwd in de periode 1965-1984. Het nieuwste gebouw in de straat komt uit 2023 en het oudste uit 1979. Dit object is relatief oud. De volgende gebruiksdoelen zijn geregistreerd voor dit adres: 'overige gebruiksfunctie'.
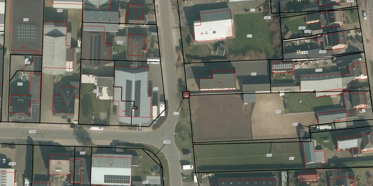
Het adres ligt op het perceel BKL05-M-573, dat zich in de kadastrale gemeente Boekel bevindt. Het perceel is 13 m² groot. Dat is kleiner dan de gemiddelde perceeloppervlakte in Boekel, dat op 4719,09 m² ligt. De grootste perceeloppervlakte in de kadastrale gemeente is 18,0 ha. De kleinste oppervlakte bedraagt 0 m². Op het perceel bevinden zich geen andere adressen. De laatste wijziging in het de Basisregistratie Kadaster (BRK) was op 25-08-2010.
Er is geen energielabel geregistreerd voor het adres. Het hoogste energielabel in de straat is A++++; het laagste is G. Het gemiddelde energielabel is er A. Het adres De Vlonder 45-b heeft als status: 'verblijfsobject in gebruik'. Het pand waarin dit adres ligt heeft als status: 'pand in gebruik'.
De Vlonder 45-b is een adres gelegen in de gemeente Boekel, provincie Noord-Brabant. Dit adres is geregistreerd in de Basisregistratie Adressen en Gebouwen (BAG) met als unieke identificatie 0755010000009824.
Het pand op De Vlonder 45-b is gebouwd in 1991, wat betekent dat het 35 jaar oud is. Dit is een pand van middelbare leeftijd. Het pand is van gemiddelde leeftijd en zal waarschijnlijk verouderde elementen bevatten.
De woning op De Vlonder 45-b heeft een gebruiksoppervlakte van 6 m². Dit is relatief klein vergeleken met de gemiddelde Nederlandse woning, die een oppervlakte heeft van ongeveer 119 m². De gebruiksoppervlakte is de maat die wordt gebruikt in de BAG-registratie, de landelijke registratie van de Nederlandse overheid.
De Vlonder 45-b heeft als functie: overige doeleinden. Deze gebruiksfunctie(s) zijn vastgelegd in de BAG-registratie en geven aan waarvoor het adres officieel mag worden gebruikt.
De Vlonder 45-b is gelegen op kadastraal perceel BKL05M573. Deze kadastrale aanduiding is uniek en wordt gebruikt door het Kadaster om eigendomsrechten en andere zakelijke rechten vast te leggen. Het perceel maakt onderdeel uit van de kadastrale gemeente Boekel.
Het perceel waarop De Vlonder 45-b staat heeft een oppervlakte van 13 m². Dit is een klein perceel. De perceeloppervlakte wordt geregistreerd door het Kadaster. Gedetailleerde informatie over de maten van dit perceel kunt u vinden in het rapport Kadastrale kaart met maatvoering van De Vlonder 45-b.
De eigenaar van De Vlonder 45-b is op te vragen op deze pagina.
De informatie over dit adres is afkomstig uit officiële overheidsregistraties, voornamelijk de Basisregistratie Adressen en Gebouwen (BAG) en de Basisregistratie Kadaster (BRK). Deze gegevens worden beheerd door respectievelijk gemeenten en het Kadaster, en worden regelmatig bijgewerkt. Energielabelgegevens komen uit de database van de Rijksdienst voor Ondernemend Nederland (RVO).
