
3e Hollandiastraat 37 is gelegen in de plaats Bolsward, de gemeente Súdwest-Fryslân en de provincie Friesland. Het verblijfsobject is vergeleken met het Nederlandse gemiddelde aan de kleine kant: de oppervlakte is 16 m². Het perceel waarop het adres zich bevindt heeft een oppervlakte van 18 m². Het object is klein ten opzichte van de andere adressen in de straat. Het grootste verblijfsobject is 120 m² groot en het kleinste is 14 m². De gemiddelde bouwperiode van gebouwen in Nederland ligt tussen de jaren 1965-1984. Dat geldt ook voor het bouwjaar van 3e Hollandiastraat 37: het is gebouwd in het jaar 1980. Dit object is relatief nieuw in de straat. Het nieuwste gebouw komt er uit het jaar 2023 en het oudste uit het jaar 1910. Het verblijfsobject heeft de volgende gebruiksdoelen: 'industriefunctie'.
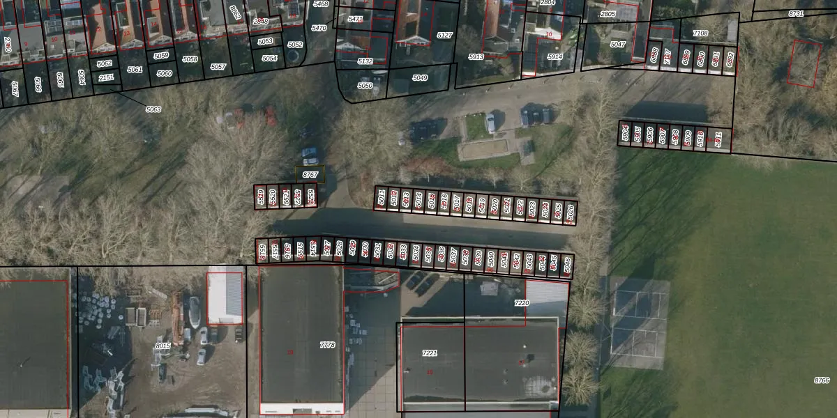
Het perceel waarop het adres ligt is BWD01-B-5014. De afkorting 'BWD01' staat voor kadastrale gemeente Bolsward. Het perceel is kleiner dan gemiddeld in Bolsward. Het perceel is 18 m² groot, terwijl het gemiddelde ligt op 1699,49 m². Het kleinste perceel in de kadastrale gemeente is 0 m² groot. De grootste perceeloppervlakte is 14,2 ha. Op het perceel bevinden zich geen andere adressen. De laatste wijziging in het de Basisregistratie Kadaster (BRK) was op 17-07-2002.
Er is geen energielabel geregistreerd voor het adres. Het hoogste energielabel in de straat is A; het laagste is G. Het gemiddelde energielabel is er D. Het adres 3e Hollandiastraat 37 heeft als status: 'verblijfsobject in gebruik'. Het pand waarin dit adres ligt heeft als status: 'pand in gebruik'.
3e Hollandiastraat 37 is een adres gelegen in de gemeente Súdwest-Fryslân, provincie Friesland. Dit adres is geregistreerd in de Basisregistratie Adressen en Gebouwen (BAG) met als unieke identificatie 0064010000131040.
Het pand op 3e Hollandiastraat 37 is gebouwd in 1980, wat betekent dat het 46 jaar oud is. Dit is een pand van middelbare leeftijd. Het pand is van gemiddelde leeftijd en zal waarschijnlijk verouderde elementen bevatten.
De woning op 3e Hollandiastraat 37 heeft een gebruiksoppervlakte van 16 m². Dit is relatief klein vergeleken met de gemiddelde Nederlandse woning, die een oppervlakte heeft van ongeveer 119 m². De gebruiksoppervlakte is de maat die wordt gebruikt in de BAG-registratie, de landelijke registratie van de Nederlandse overheid.
3e Hollandiastraat 37 heeft als functie: industrie. Deze gebruiksfunctie(s) zijn vastgelegd in de BAG-registratie en geven aan waarvoor het adres officieel mag worden gebruikt.
3e Hollandiastraat 37 is gelegen op kadastraal perceel BWD01B5014. Deze kadastrale aanduiding is uniek en wordt gebruikt door het Kadaster om eigendomsrechten en andere zakelijke rechten vast te leggen. Het perceel maakt onderdeel uit van de kadastrale gemeente Bolsward.
Het perceel waarop 3e Hollandiastraat 37 staat heeft een oppervlakte van 18 m². Dit is een klein perceel. De perceeloppervlakte wordt geregistreerd door het Kadaster. Gedetailleerde informatie over de maten van dit perceel kunt u vinden in het rapport Kadastrale kaart met maatvoering van 3e Hollandiastraat 37.
De eigenaar van 3e Hollandiastraat 37 is op te vragen op deze pagina.
De informatie over dit adres is afkomstig uit officiële overheidsregistraties, voornamelijk de Basisregistratie Adressen en Gebouwen (BAG) en de Basisregistratie Kadaster (BRK). Deze gegevens worden beheerd door respectievelijk gemeenten en het Kadaster, en worden regelmatig bijgewerkt. Energielabelgegevens komen uit de database van de Rijksdienst voor Ondernemend Nederland (RVO).
