
Easterbuorren 52 is gelegen in de plaats Boornbergum, de gemeente Smallingerland en de provincie Friesland. De oppervlakte bedraagt 542 m², waarmee het adres groter dan gemiddeld is. De grootte van het perceel waarop het adres ligt is 4179 m². Vergeleken met de andere verblijfsobjecten in de straat is dit object groot. De oppervlakte van het grootste object in de straat is 834 m², die van het kleinste bedraagt 48 m². Easterbuorren 52 bevindt zich in een pand uit het jaar 1911. Daarmee behoort het tot de groep relatief oude panden in Nederland die gebouwd zijn vóór 1965. In de straat komt het nieuwste gebouw uit het jaar 2004 en het oudste uit 1850. Het bouwjaar van dit object is relatief oud. Voor het verblijfsobject gelden deze gebruiksdoelen: 'bijeenkomstfunctie'.
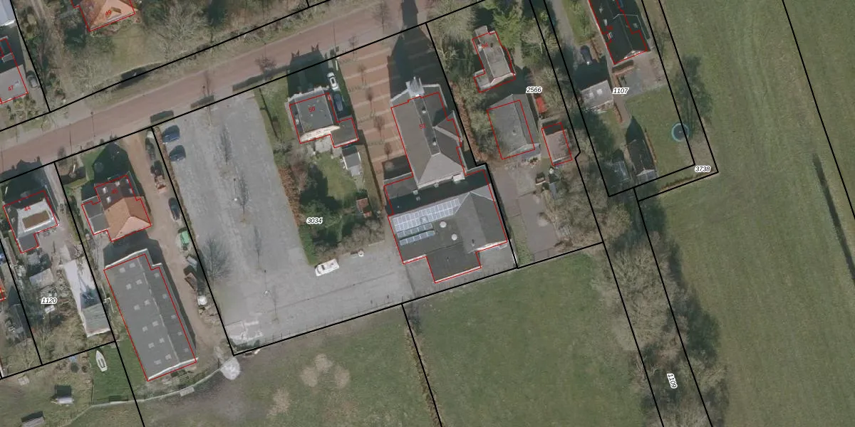
Het adres is gelegen op perceel 3034 in de sectie F en de kadastrale gemeente Boornbergum. De kadastrale aanduiding is aldus BBG03-F-3034. De gemiddelde perceelgrootte in Boornbergum is 7352,3 m². Dit perceel is kleiner: de perceeloppervlakte bedraagt 4179 m². Het grootste perceel in de kadastrale gemeente is 98,6 ha. Het kleinste perceel heeft een oppervlakte van 1 m². Op het perceel zijn 2 adressen aanwezig. De laatste wijziging in het de Basisregistratie Kadaster (BRK) was op 11-08-2004.
Er is geen energielabel geregistreerd voor het adres. Het hoogste energielabel in de straat is A+; het laagste is G. Het gemiddelde energielabel is er D. Het adres Easterbuorren 52 heeft als status: 'verblijfsobject in gebruik'. Het pand waarin dit adres ligt heeft als status: 'pand in gebruik'.
Easterbuorren 52 is een adres gelegen in de gemeente Smallingerland, provincie Friesland. Dit adres is geregistreerd in de Basisregistratie Adressen en Gebouwen (BAG) met als unieke identificatie 0090010000656352.
Het pand op Easterbuorren 52 is gebouwd in 1911, wat betekent dat het 115 jaar oud is. Dit is een ouder pand. Het pand heeft mogelijk aanzienlijke renovaties nodig om aan de huidige standaarden te voldoen.
De woning op Easterbuorren 52 heeft een gebruiksoppervlakte van 542 m². Dit is ruim vergeleken met de gemiddelde Nederlandse woning, die een oppervlakte heeft van ongeveer 119 m². De gebruiksoppervlakte is de maat die wordt gebruikt in de BAG-registratie, de landelijke registratie van de Nederlandse overheid.
Easterbuorren 52 heeft als functie: bijeenkomsten. Deze gebruiksfunctie(s) zijn vastgelegd in de BAG-registratie en geven aan waarvoor het adres officieel mag worden gebruikt.
Easterbuorren 52 is gelegen op kadastraal perceel BBG03F3034. Deze kadastrale aanduiding is uniek en wordt gebruikt door het Kadaster om eigendomsrechten en andere zakelijke rechten vast te leggen. Het perceel maakt onderdeel uit van de kadastrale gemeente Boornbergum.
Het perceel waarop Easterbuorren 52 staat heeft een oppervlakte van 4179 m². Dit is een zeer groot perceel. De perceeloppervlakte wordt geregistreerd door het Kadaster. Gedetailleerde informatie over de maten van dit perceel kunt u vinden in het rapport Kadastrale kaart met maatvoering van Easterbuorren 52.
De eigenaar van Easterbuorren 52 is op te vragen op deze pagina.
De informatie over dit adres is afkomstig uit officiële overheidsregistraties, voornamelijk de Basisregistratie Adressen en Gebouwen (BAG) en de Basisregistratie Kadaster (BRK). Deze gegevens worden beheerd door respectievelijk gemeenten en het Kadaster, en worden regelmatig bijgewerkt. Energielabelgegevens komen uit de database van de Rijksdienst voor Ondernemend Nederland (RVO).
