
Het adres Lebbenbruggedijk 6 bevindt zich in de plaats Borculo, in de gemeente Borculo en de provincie Gelderland. De oppervlakte van het verblijfsobject is met 167 m² aan de grote kant. Het perceel heeft een oppervlakte van 618 m². Het object is klein ten opzichte van de andere adressen in de straat. Het grootste verblijfsobject is 5350 m² groot en het kleinste is 3 m². In Nederland komt het grootste deel van de gebouwen uit de periode 1965-1984. Ook het bouwjaar van Lebbenbruggedijk 6 is afkomstig uit die periode: het betreft namelijk een pand uit 1966. Dit object is relatief nieuw in de straat. Het nieuwste gebouw komt er uit het jaar 2002 en het oudste uit het jaar 1800. Voor het verblijfsobject gelden deze gebruiksdoelen: 'woonfunctie'.
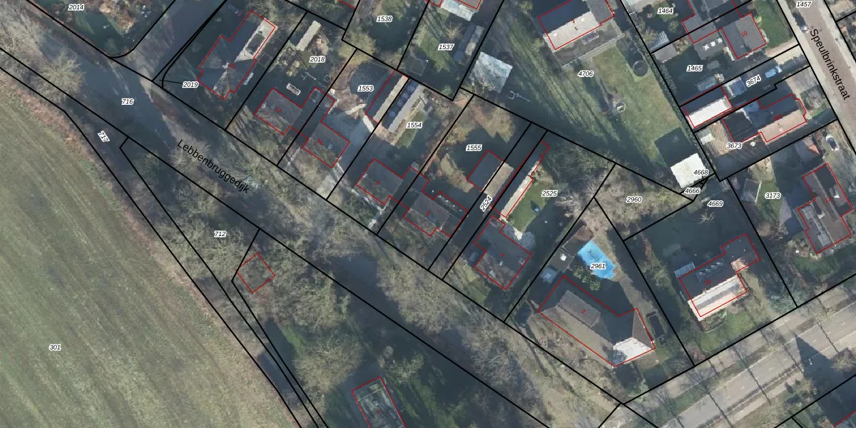
Het perceel waarop het adres ligt is BCL00-D-1555. De afkorting 'BCL00' staat voor kadastrale gemeente Borculo. De gemiddelde perceelgrootte in Borculo is 4577,06 m². Dit perceel is kleiner: de perceeloppervlakte bedraagt 618 m². Het grootste perceel in de kadastrale gemeente is 25,8 ha. Het kleinste perceel heeft een oppervlakte van 0 m². Op het perceel bevinden zich geen andere adressen. In de Basisregistratie Kadaster (BRK) werden de grenzen van het perceel geregistreerd op 20-03-2019.
Het adres ligt in een gebouw van het type 'vrijstaande woning'. Bij de laatste meting is voor het adres het energielabel G geregistreerd. Het hoogste energielabel in de straat is A; het laagste is G. Het gemiddelde energielabel is er D. Het adres Lebbenbruggedijk 6 heeft als status: 'verblijfsobject in gebruik'. Het pand waarin dit adres ligt heeft als status: 'pand in gebruik'.
Lebbenbruggedijk 6 is een adres gelegen in de gemeente Berkelland, provincie Gelderland. Dit adres is geregistreerd in de Basisregistratie Adressen en Gebouwen (BAG) met als unieke identificatie 1859010000823635.
Het pand op Lebbenbruggedijk 6 is gebouwd in 1966, wat betekent dat het 60 jaar oud is. Dit is een ouder pand. Het pand heeft mogelijk aanzienlijke renovaties nodig om aan de huidige standaarden te voldoen.
De woning op Lebbenbruggedijk 6 heeft een gebruiksoppervlakte van 167 m². Dit is ruim vergeleken met de gemiddelde Nederlandse woning, die een oppervlakte heeft van ongeveer 119 m². De gebruiksoppervlakte is de maat die wordt gebruikt in de BAG-registratie, de landelijke registratie van de Nederlandse overheid.
Lebbenbruggedijk 6 heeft als functie: wonen. Deze gebruiksfunctie(s) zijn vastgelegd in de BAG-registratie en geven aan waarvoor het adres officieel mag worden gebruikt.
Lebbenbruggedijk 6 is gelegen op kadastraal perceel BCL00D1555. Deze kadastrale aanduiding is uniek en wordt gebruikt door het Kadaster om eigendomsrechten en andere zakelijke rechten vast te leggen. Het perceel maakt onderdeel uit van de kadastrale gemeente Borculo.
Het perceel waarop Lebbenbruggedijk 6 staat heeft een oppervlakte van 618 m². Dit is een groot perceel. De perceeloppervlakte wordt geregistreerd door het Kadaster. Gedetailleerde informatie over de maten van dit perceel kunt u vinden in het rapport Kadastrale kaart met maatvoering van Lebbenbruggedijk 6.
De eigenaar van Lebbenbruggedijk 6 is op te vragen op deze pagina.
De informatie over dit adres is afkomstig uit officiële overheidsregistraties, voornamelijk de Basisregistratie Adressen en Gebouwen (BAG) en de Basisregistratie Kadaster (BRK). Deze gegevens worden beheerd door respectievelijk gemeenten en het Kadaster, en worden regelmatig bijgewerkt. Energielabelgegevens komen uit de database van de Rijksdienst voor Ondernemend Nederland (RVO).
