
Haaskoul 7 is een adres in Born, dat zich bevindt binnen de gemeentegrenzen van Born en de grenzen van de provincie Limburg. De oppervlakte van het verblijfsobject is met 5510 m² aan de grote kant. Het perceel heeft een oppervlakte van 5640 m². In de straat is dit het adres met de grootste oppervlakte. De objecten in de straat zijn gemiddeld 724 m² groot. Het kleinste verblijfsobject heeft een oppervlakte van 172 m². De gemiddelde bouwperiode van gebouwen in Nederland ligt tussen de jaren 1965-1984. Dat geldt ook voor het bouwjaar van Haaskoul 7: het is gebouwd in het jaar 1978. Gemiddeld zijn de gebouwen in de straat gebouwd in 1979. Dit is het oudste pand in de straat. Het meest recente komt uit het jaar 1980. Voor het verblijfsobject gelden deze gebruiksdoelen: 'industriefunctie'.
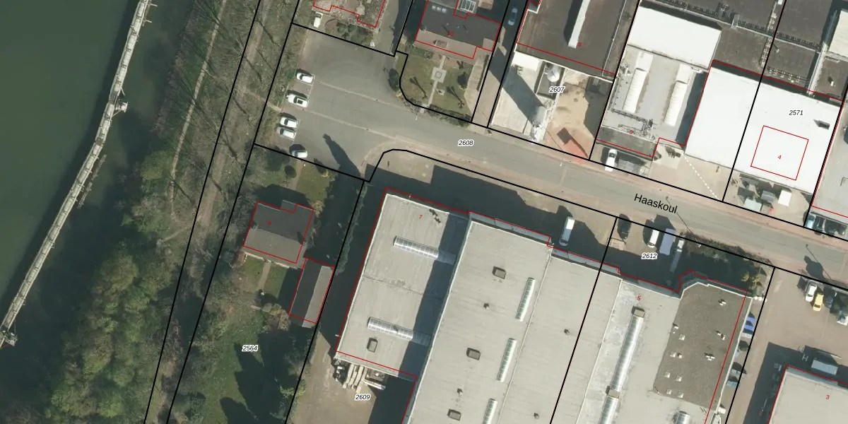
Het perceel waarop het adres ligt is BOR00-F-2609. De afkorting 'BOR00' staat voor kadastrale gemeente Born. Het perceel is met 5640 m² relatief groot. Het gemiddelde ligt in de kadastrale gemeente Born op 2276,2 m². Het kleinste perceel in de kadastrale gemeente is 0 m² groot. De grootste perceeloppervlakte is 51,3 ha. Op het perceel bevinden zich geen andere adressen. De huidige grenzen van het perceel zijn digitaal in de Basisregistratie Kadaster (BRK) geregistreerd op 18-06-2009.
Er is geen energielabel geregistreerd voor het adres. Het hoogste energielabel in de straat is C; het laagste is G. Het gemiddelde energielabel is er E. Het adres Haaskoul 7 heeft als status: 'verblijfsobject in gebruik'. Het pand waarin dit adres ligt heeft als status: 'pand in gebruik'.
Haaskoul 7 is een adres gelegen in de gemeente Sittard-Geleen, provincie Limburg. Dit adres is geregistreerd in de Basisregistratie Adressen en Gebouwen (BAG) met als unieke identificatie 1883010000014038.
Het pand op Haaskoul 7 is gebouwd in 1978, wat betekent dat het 48 jaar oud is. Dit is een pand van middelbare leeftijd. Het pand is van gemiddelde leeftijd en zal waarschijnlijk verouderde elementen bevatten.
De woning op Haaskoul 7 heeft een gebruiksoppervlakte van 5510 m². Dit is ruim vergeleken met de gemiddelde Nederlandse woning, die een oppervlakte heeft van ongeveer 119 m². De gebruiksoppervlakte is de maat die wordt gebruikt in de BAG-registratie, de landelijke registratie van de Nederlandse overheid.
Haaskoul 7 heeft als functie: industrie. Deze gebruiksfunctie(s) zijn vastgelegd in de BAG-registratie en geven aan waarvoor het adres officieel mag worden gebruikt.
Haaskoul 7 is gelegen op kadastraal perceel BOR00F2609. Deze kadastrale aanduiding is uniek en wordt gebruikt door het Kadaster om eigendomsrechten en andere zakelijke rechten vast te leggen. Het perceel maakt onderdeel uit van de kadastrale gemeente Born.
Het perceel waarop Haaskoul 7 staat heeft een oppervlakte van 5640 m². Dit is een zeer groot perceel. De perceeloppervlakte wordt geregistreerd door het Kadaster. Gedetailleerde informatie over de maten van dit perceel kunt u vinden in het rapport Kadastrale kaart met maatvoering van Haaskoul 7.
De eigenaar van Haaskoul 7 is op te vragen op deze pagina.
De informatie over dit adres is afkomstig uit officiële overheidsregistraties, voornamelijk de Basisregistratie Adressen en Gebouwen (BAG) en de Basisregistratie Kadaster (BRK). Deze gegevens worden beheerd door respectievelijk gemeenten en het Kadaster, en worden regelmatig bijgewerkt. Energielabelgegevens komen uit de database van de Rijksdienst voor Ondernemend Nederland (RVO).
