
Prins Bernhardlaan 65 is gelegen in de plaats Borne, de gemeente Borne en de provincie Overijssel. De oppervlakte bedraagt 258 m², waarmee het adres groter dan gemiddeld is. De grootte van het perceel waarop het adres ligt is 7040 m². Vergeleken met de andere verblijfsobjecten in de straat is dit object groot. De oppervlakte van het grootste object in de straat is 761 m², die van het kleinste bedraagt 71 m². De meeste Nederlandse gebouwen zijn gebouwd in de periode 1965-1984. Zo ook het pand waarin Prins Bernhardlaan 65 ligt, dat gebouwd is in 1976. Veel andere gebouwen in de straat zijn ouder dan dit pand. Het oudste pand komt uit het jaar 1900 en het nieuwste uit 2010. Voor het verblijfsobject gelden deze gebruiksdoelen: 'woonfunctie'.
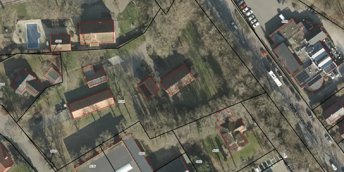
Het adres is gelegen op perceel 5154 in de sectie E en de kadastrale gemeente Borne. De kadastrale aanduiding is aldus BNE00-E-5154. Het perceel is met 7040 m² relatief groot. Het gemiddelde ligt in de kadastrale gemeente Borne op 1963,57 m². De grootste perceeloppervlakte in de kadastrale gemeente is 25,0 ha. De kleinste oppervlakte bedraagt 0 m². Op het perceel zijn 3 adressen aanwezig. De laatste wijziging in het de Basisregistratie Kadaster (BRK) was op 03-04-2012.
Er is geen energielabel geregistreerd voor het adres. Het hoogste energielabel in de straat is A+++; het laagste is G. Het gemiddelde energielabel is er C. Het adres Prins Bernhardlaan 65 heeft als status: 'verblijfsobject in gebruik'. Het pand waarin dit adres ligt heeft als status: 'pand in gebruik'.
Prins Bernhardlaan 65 is een adres gelegen in de gemeente Borne, provincie Overijssel. Dit adres is geregistreerd in de Basisregistratie Adressen en Gebouwen (BAG) met als unieke identificatie 0147010000000430.
Het pand op Prins Bernhardlaan 65 is gebouwd in 1976, wat betekent dat het 50 jaar oud is. Dit is een ouder pand. Het pand heeft mogelijk aanzienlijke renovaties nodig om aan de huidige standaarden te voldoen.
De woning op Prins Bernhardlaan 65 heeft een gebruiksoppervlakte van 258 m². Dit is ruim vergeleken met de gemiddelde Nederlandse woning, die een oppervlakte heeft van ongeveer 119 m². De gebruiksoppervlakte is de maat die wordt gebruikt in de BAG-registratie, de landelijke registratie van de Nederlandse overheid.
Prins Bernhardlaan 65 heeft als functie: wonen. Deze gebruiksfunctie(s) zijn vastgelegd in de BAG-registratie en geven aan waarvoor het adres officieel mag worden gebruikt.
Prins Bernhardlaan 65 is gelegen op kadastraal perceel BNE00E5154. Deze kadastrale aanduiding is uniek en wordt gebruikt door het Kadaster om eigendomsrechten en andere zakelijke rechten vast te leggen. Het perceel maakt onderdeel uit van de kadastrale gemeente Borne.
Het perceel waarop Prins Bernhardlaan 65 staat heeft een oppervlakte van 7040 m². Dit is een zeer groot perceel. De perceeloppervlakte wordt geregistreerd door het Kadaster. Gedetailleerde informatie over de maten van dit perceel kunt u vinden in het rapport Kadastrale kaart met maatvoering van Prins Bernhardlaan 65.
De eigenaar van Prins Bernhardlaan 65 is op te vragen op deze pagina.
De informatie over dit adres is afkomstig uit officiële overheidsregistraties, voornamelijk de Basisregistratie Adressen en Gebouwen (BAG) en de Basisregistratie Kadaster (BRK). Deze gegevens worden beheerd door respectievelijk gemeenten en het Kadaster, en worden regelmatig bijgewerkt. Energielabelgegevens komen uit de database van de Rijksdienst voor Ondernemend Nederland (RVO).
