
Wilhelminalaan 88 is gelegen in de plaats Boskoop, de gemeente Alphen aan den Rijn en de provincie Zuid-Holland. De oppervlakte van het object bedraagt 63 m². Dat is klein vergeleken met het Nederlandse gemiddelde. Het perceel waarop het adres ligt is 956 m² groot. Het adres is klein vergeleken met andere objecten in de straat. Het grootste object in de straat heeft een oppervlakte van 171 m², het kleinste is 8 m² groot. Het adres Wilhelminalaan 88 ligt in een relatief oud pand uit het jaar 1956. Panden van vóór het jaar 1965 hebben we hier geclassificeerd als oud. In de straat komt het nieuwste gebouw uit het jaar 1961 en het oudste uit 1934. Het bouwjaar van dit object is relatief oud. Het verblijfsobject heeft de volgende gebruiksdoelen: 'woonfunctie'.
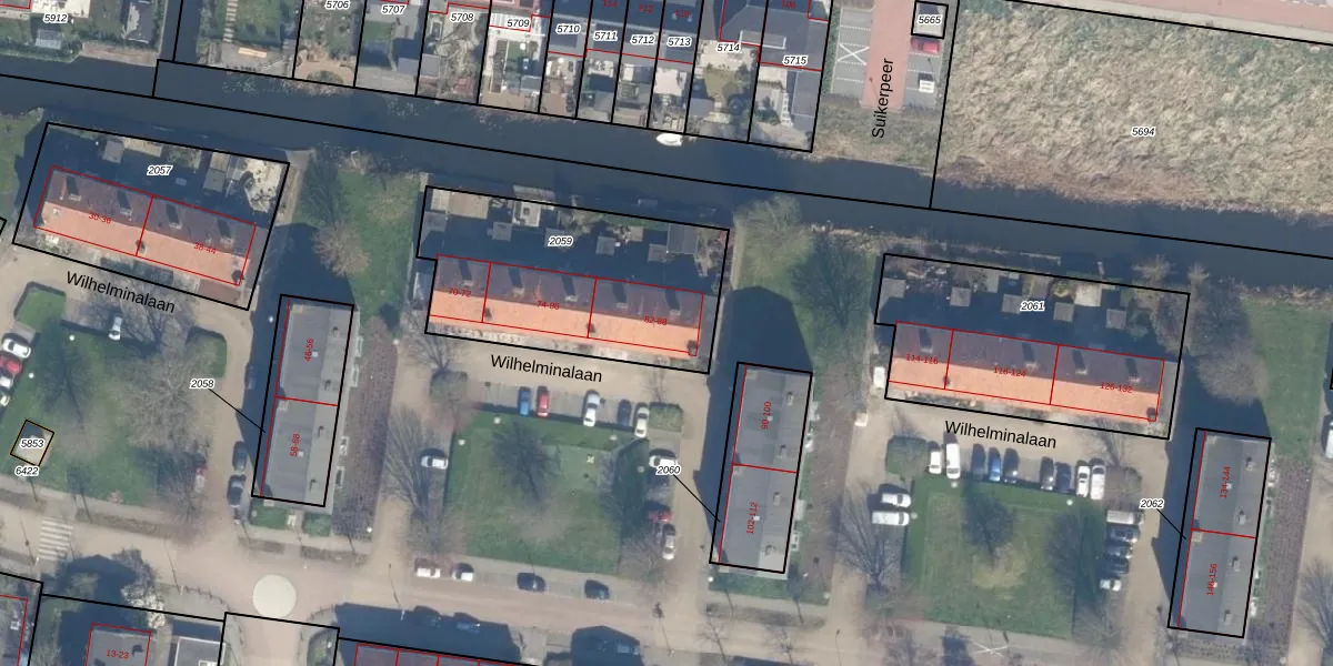
Het adres ligt op het perceel BKP00-D-2059, dat zich in de kadastrale gemeente Boskoop bevindt. Het perceel is kleiner dan gemiddeld in Boskoop. Het perceel is 956 m² groot, terwijl het gemiddelde ligt op 1874,79 m². De grootste perceeloppervlakte in de kadastrale gemeente is 20,7 ha. De kleinste oppervlakte bedraagt 0 m². Op het perceel zijn 10 adressen aanwezig. De laatste wijziging in het de Basisregistratie Kadaster (BRK) was op 31-07-2001.
Het adres ligt in een gebouw van het type 'flatwoning (overig) met het subtype hoekvloer'. Bij de laatste meting is voor het adres het energielabel D geregistreerd. Het hoogste energielabel in de straat is A; het laagste is G. Het gemiddelde energielabel is er C. Het adres Wilhelminalaan 88 heeft als status: 'verblijfsobject in gebruik'. Het pand waarin dit adres ligt heeft als status: 'pand in gebruik'.
Wilhelminalaan 88 is een adres gelegen in de gemeente Alphen aan den Rijn, provincie Zuid-Holland. Dit adres is geregistreerd in de Basisregistratie Adressen en Gebouwen (BAG) met als unieke identificatie 0499010002027591.
Het pand op Wilhelminalaan 88 is gebouwd in 1956, wat betekent dat het 70 jaar oud is. Dit is een ouder pand. Het pand heeft mogelijk aanzienlijke renovaties nodig om aan de huidige standaarden te voldoen.
De woning op Wilhelminalaan 88 heeft een gebruiksoppervlakte van 63 m². Dit is relatief klein vergeleken met de gemiddelde Nederlandse woning, die een oppervlakte heeft van ongeveer 119 m². De gebruiksoppervlakte is de maat die wordt gebruikt in de BAG-registratie, de landelijke registratie van de Nederlandse overheid.
Wilhelminalaan 88 heeft als functie: wonen. Deze gebruiksfunctie(s) zijn vastgelegd in de BAG-registratie en geven aan waarvoor het adres officieel mag worden gebruikt.
Wilhelminalaan 88 is gelegen op kadastraal perceel BKP00D2059. Deze kadastrale aanduiding is uniek en wordt gebruikt door het Kadaster om eigendomsrechten en andere zakelijke rechten vast te leggen. Het perceel maakt onderdeel uit van de kadastrale gemeente Boskoop.
Het perceel waarop Wilhelminalaan 88 staat heeft een oppervlakte van 956 m². Dit is een groot perceel. De perceeloppervlakte wordt geregistreerd door het Kadaster. Gedetailleerde informatie over de maten van dit perceel kunt u vinden in het rapport Kadastrale kaart met maatvoering van Wilhelminalaan 88.
De eigenaar van Wilhelminalaan 88 is op te vragen op deze pagina.
De informatie over dit adres is afkomstig uit officiële overheidsregistraties, voornamelijk de Basisregistratie Adressen en Gebouwen (BAG) en de Basisregistratie Kadaster (BRK). Deze gegevens worden beheerd door respectievelijk gemeenten en het Kadaster, en worden regelmatig bijgewerkt. Energielabelgegevens komen uit de database van de Rijksdienst voor Ondernemend Nederland (RVO).
