
Theemsweg 5 is een adres in Botlek Rotterdam, dat zich bevindt binnen de gemeentegrenzen van Botlek Rotterdam en de grenzen van de provincie Zuid-Holland. De oppervlakte van het verblijfsobject is met 2492 m² aan de grote kant. Het perceel heeft een oppervlakte van 1798 m². Het adres is klein vergeleken met andere objecten in de straat. Het grootste object in de straat heeft een oppervlakte van 8102 m², het kleinste is 13 m² groot. Het pand waarin Theemsweg 5 ligt is gebouwd in het jaar 2006. Panden die gebouwd zijn na het jaar 1984 noemen we hier relatief nieuw. Dit object is relatief nieuw in de straat. Het nieuwste gebouw komt er uit het jaar 2016 en het oudste uit het jaar 1964. De volgende gebruiksdoelen zijn geregistreerd voor dit adres: 'kantoorfunctie'.
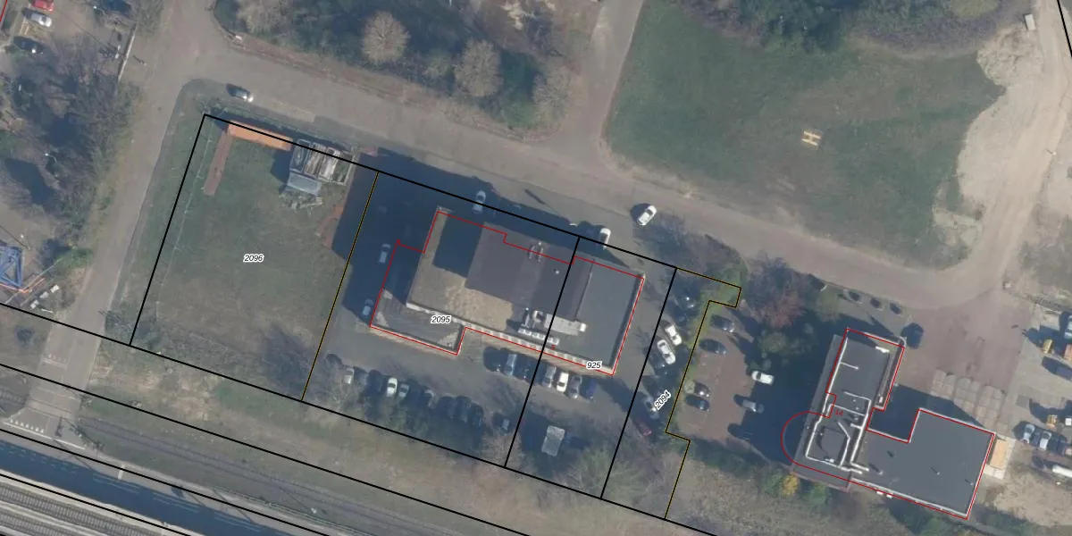
Het adres ligt op het perceel RTD12-AK-2095, dat zich in de kadastrale gemeente Rotterdam bevindt. Het perceel is 1798 m² groot. Dat is kleiner dan de gemiddelde perceeloppervlakte in Rotterdam, dat op 4,6 ha ligt. Het kleinste perceel in de kadastrale gemeente is 0 m² groot. De grootste perceeloppervlakte is 11,97 km². Op het perceel bevinden zich geen andere adressen. De huidige grenzen van het perceel zijn digitaal in de Basisregistratie Kadaster (BRK) geregistreerd op 19-11-2020.
Bij de laatste meting is voor het adres het energielabel A geregistreerd. Het hoogste energielabel in de straat is A+++++; het laagste is G. Het gemiddelde energielabel is er A+. Het adres Theemsweg 5 heeft als status: 'verblijfsobject in gebruik'. Het pand waarin dit adres ligt heeft als status: 'pand in gebruik'.
Theemsweg 5 is een adres gelegen in de gemeente Rotterdam, provincie Zuid-Holland. Dit adres is geregistreerd in de Basisregistratie Adressen en Gebouwen (BAG) met als unieke identificatie 0599010000460153.
Het pand op Theemsweg 5 is gebouwd in 2006, wat betekent dat het 20 jaar oud is. Dit is een relatief modern pand. Ten opzichte van de nationale woningvoorraad is het pand relatief modern, maar er kunnen enkele verouderde elementen zijn die aandacht nodig hebben.
De woning op Theemsweg 5 heeft een gebruiksoppervlakte van 2492 m². Dit is ruim vergeleken met de gemiddelde Nederlandse woning, die een oppervlakte heeft van ongeveer 119 m². De gebruiksoppervlakte is de maat die wordt gebruikt in de BAG-registratie, de landelijke registratie van de Nederlandse overheid.
Theemsweg 5 heeft als functie: kantoor. Deze gebruiksfunctie(s) zijn vastgelegd in de BAG-registratie en geven aan waarvoor het adres officieel mag worden gebruikt.
Theemsweg 5 is gelegen op kadastraal perceel RTD12AK2095. Deze kadastrale aanduiding is uniek en wordt gebruikt door het Kadaster om eigendomsrechten en andere zakelijke rechten vast te leggen. Het perceel maakt onderdeel uit van de kadastrale gemeente Rotterdam.
Het perceel waarop Theemsweg 5 staat heeft een oppervlakte van 1798 m². Dit is een zeer groot perceel. De perceeloppervlakte wordt geregistreerd door het Kadaster. Gedetailleerde informatie over de maten van dit perceel kunt u vinden in het rapport Kadastrale kaart met maatvoering van Theemsweg 5.
De eigenaar van Theemsweg 5 is op te vragen op deze pagina.
De informatie over dit adres is afkomstig uit officiële overheidsregistraties, voornamelijk de Basisregistratie Adressen en Gebouwen (BAG) en de Basisregistratie Kadaster (BRK). Deze gegevens worden beheerd door respectievelijk gemeenten en het Kadaster, en worden regelmatig bijgewerkt. Energielabelgegevens komen uit de database van de Rijksdienst voor Ondernemend Nederland (RVO).
