
Moddermanspad 3 is gelegen in de plaats Bourtange, de gemeente Westerwolde en de provincie Groningen. Het perceel waarop het verblijfsobject staat is 1110 m² groot. De oppervlakte van het adres is 101 m², wat zich rond het Nederlandse gemiddelde van 119 m² bevindt. Er zijn geen kleinere objecten in deze straat. De gemiddelde oppervlakte is er 139 m². Het grootste verblijfsobject is 212 m². De meeste Nederlandse gebouwen zijn gebouwd in de periode 1965-1984. Zo ook het pand waarin Moddermanspad 3 ligt, dat gebouwd is in 1980. In de straat komt het nieuwste gebouw uit het jaar 1992 en het oudste uit 1975. Het bouwjaar van dit object is relatief oud. Het verblijfsobject heeft de volgende gebruiksdoelen: 'woonfunctie'.
Deze woning is voor het laatst verkocht op 1 december 2005. Meer informatie over deze transactie? Bestel het Woningtransactierapport om de verkoopprijs en andere informatie te zien.
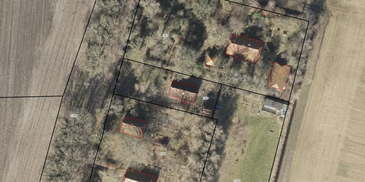
Het adres ligt op het perceel VWD02-V-768, dat zich in de kadastrale gemeente Vlagtwedde bevindt. Het perceel is kleiner dan gemiddeld in Vlagtwedde. Het perceel is 1110 m² groot, terwijl het gemiddelde ligt op 1,2 ha. De grootste perceeloppervlakte in de kadastrale gemeente is 1,11 km². De kleinste oppervlakte bedraagt 0 m². Er zijn geen andere adressen aanwezig op het perceel. De laatste wijziging in het de Basisregistratie Kadaster (BRK) was op 12-01-2004.
Er is geen energielabel geregistreerd voor het adres. Het hoogste energielabel in de straat is G; het laagste is G. Het gemiddelde energielabel is er G. Het adres Moddermanspad 3 heeft als status: 'verblijfsobject in gebruik'. Het pand waarin dit adres ligt heeft als status: 'pand in gebruik'.
Moddermanspad 3 is een adres gelegen in de gemeente Westerwolde, provincie Groningen. Dit adres is geregistreerd in de Basisregistratie Adressen en Gebouwen (BAG) met als unieke identificatie 0048010000004307.
Het pand op Moddermanspad 3 is gebouwd in 1980, wat betekent dat het 46 jaar oud is. Dit is een pand van middelbare leeftijd. Het pand is van gemiddelde leeftijd en zal waarschijnlijk verouderde elementen bevatten.
De woning op Moddermanspad 3 heeft een gebruiksoppervlakte van 101 m². Dit is onder het gemiddelde vergeleken met de gemiddelde Nederlandse woning, die een oppervlakte heeft van ongeveer 119 m². De gebruiksoppervlakte is de maat die wordt gebruikt in de BAG-registratie, de landelijke registratie van de Nederlandse overheid.
Moddermanspad 3 heeft als functie: wonen. Deze gebruiksfunctie(s) zijn vastgelegd in de BAG-registratie en geven aan waarvoor het adres officieel mag worden gebruikt.
Moddermanspad 3 is gelegen op kadastraal perceel VWD02V768. Deze kadastrale aanduiding is uniek en wordt gebruikt door het Kadaster om eigendomsrechten en andere zakelijke rechten vast te leggen. Het perceel maakt onderdeel uit van de kadastrale gemeente Vlagtwedde.
Het perceel waarop Moddermanspad 3 staat heeft een oppervlakte van 1110 m². Dit is een zeer groot perceel. De perceeloppervlakte wordt geregistreerd door het Kadaster. Gedetailleerde informatie over de maten van dit perceel kunt u vinden in het rapport Kadastrale kaart met maatvoering van Moddermanspad 3.
De eigenaar van Moddermanspad 3 is op te vragen op deze pagina.
De informatie over dit adres is afkomstig uit officiële overheidsregistraties, voornamelijk de Basisregistratie Adressen en Gebouwen (BAG) en de Basisregistratie Kadaster (BRK). Deze gegevens worden beheerd door respectievelijk gemeenten en het Kadaster, en worden regelmatig bijgewerkt. Energielabelgegevens komen uit de database van de Rijksdienst voor Ondernemend Nederland (RVO).
