
Koevoortseweg 2 is gelegen in de plaats Boxtel, de gemeente Boxtel en de provincie Noord-Brabant. De oppervlakte van het verblijfsobject is met 669 m² aan de grote kant. Het perceel heeft een oppervlakte van 8643 m². In de straat is dit het adres met de grootste oppervlakte. De objecten in de straat zijn gemiddeld 226 m² groot. Het kleinste verblijfsobject heeft een oppervlakte van 55 m². De meeste Nederlandse gebouwen zijn gebouwd in de periode 1965-1984. Zo ook het pand waarin Koevoortseweg 2 ligt, dat gebouwd is in 1971. Dit object is relatief nieuw in de straat. Het nieuwste gebouw komt er uit het jaar 2003 en het oudste uit het jaar 1905. Voor het verblijfsobject gelden deze gebruiksdoelen: 'woonfunctie'.
Deze woning is voor het laatst verkocht op 1 april 2022. Meer informatie over deze transactie? Bestel het Woningtransactierapport om de verkoopprijs en andere informatie te zien.
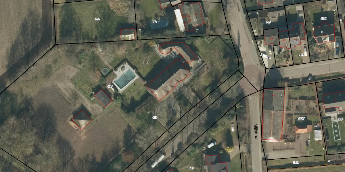
Het perceel waarop het adres ligt is BTL00-L-495. De afkorting 'BTL00' staat voor kadastrale gemeente Boxtel. Het perceel is met 8643 m² relatief groot. Het gemiddelde ligt in de kadastrale gemeente Boxtel op 3612,71 m². De grootste perceeloppervlakte in de kadastrale gemeente is 1,19 km². De kleinste oppervlakte bedraagt 0 m². Op het perceel bevinden zich geen andere adressen. De laatste wijziging in het de Basisregistratie Kadaster (BRK) was op 28-11-2011.
Er is geen energielabel geregistreerd voor het adres. Het hoogste energielabel in de straat is A++; het laagste is G. Het gemiddelde energielabel is er B. Het adres Koevoortseweg 2 heeft als status: 'verblijfsobject in gebruik'. Het pand waarin dit adres ligt heeft als status: 'pand in gebruik'.
Koevoortseweg 2 is een adres gelegen in de gemeente Boxtel, provincie Noord-Brabant. Dit adres is geregistreerd in de Basisregistratie Adressen en Gebouwen (BAG) met als unieke identificatie 0757010001468670.
Het pand op Koevoortseweg 2 is gebouwd in 1971, wat betekent dat het 55 jaar oud is. Dit is een ouder pand. Het pand heeft mogelijk aanzienlijke renovaties nodig om aan de huidige standaarden te voldoen.
De woning op Koevoortseweg 2 heeft een gebruiksoppervlakte van 669 m². Dit is ruim vergeleken met de gemiddelde Nederlandse woning, die een oppervlakte heeft van ongeveer 119 m². De gebruiksoppervlakte is de maat die wordt gebruikt in de BAG-registratie, de landelijke registratie van de Nederlandse overheid.
Koevoortseweg 2 heeft als functie: wonen. Deze gebruiksfunctie(s) zijn vastgelegd in de BAG-registratie en geven aan waarvoor het adres officieel mag worden gebruikt.
Koevoortseweg 2 is gelegen op kadastraal perceel BTL00L495. Deze kadastrale aanduiding is uniek en wordt gebruikt door het Kadaster om eigendomsrechten en andere zakelijke rechten vast te leggen. Het perceel maakt onderdeel uit van de kadastrale gemeente Boxtel.
Het perceel waarop Koevoortseweg 2 staat heeft een oppervlakte van 8643 m². Dit is een zeer groot perceel. De perceeloppervlakte wordt geregistreerd door het Kadaster. Gedetailleerde informatie over de maten van dit perceel kunt u vinden in het rapport Kadastrale kaart met maatvoering van Koevoortseweg 2.
De eigenaar van Koevoortseweg 2 is op te vragen op deze pagina.
De informatie over dit adres is afkomstig uit officiële overheidsregistraties, voornamelijk de Basisregistratie Adressen en Gebouwen (BAG) en de Basisregistratie Kadaster (BRK). Deze gegevens worden beheerd door respectievelijk gemeenten en het Kadaster, en worden regelmatig bijgewerkt. Energielabelgegevens komen uit de database van de Rijksdienst voor Ondernemend Nederland (RVO).
