
Het adres Gageldonksepad 3-A bevindt zich in de plaats Breda, in de gemeente Breda en de provincie Noord-Brabant. Het perceel waarop het verblijfsobject staat is 2431 m² groot. De oppervlakte van het adres is 146 m², wat zich rond het Nederlandse gemiddelde van 119 m² bevindt. Er zijn geen kleinere objecten in deze straat. De gemiddelde oppervlakte is er 310 m². Het grootste verblijfsobject is 627 m². De gemiddelde bouwperiode van gebouwen in Nederland ligt tussen de jaren 1965-1984. Dat geldt ook voor het bouwjaar van Gageldonksepad 3-A: het is gebouwd in het jaar 1982. In de straat is dit het nieuwste pand en stamt het oudste object uit het jaar 1600. Het gemiddelde bouwjaar in de straat is 1922. Voor het verblijfsobject gelden deze gebruiksdoelen: 'bijeenkomstfunctie'.
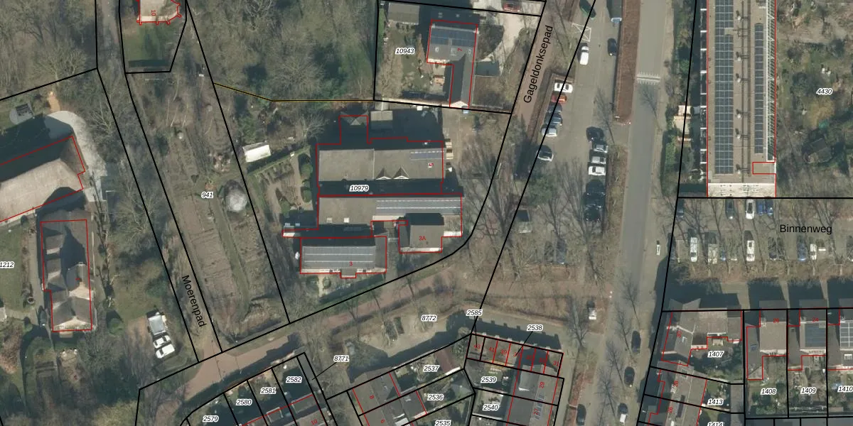
Het adres ligt op het perceel BDA00-H-10979, dat zich in de kadastrale gemeente Breda bevindt. Het perceel is met 2431 m² relatief groot. Het gemiddelde ligt in de kadastrale gemeente Breda op 1059,19 m². Het kleinste perceel in de kadastrale gemeente is 0 m² groot. De grootste perceeloppervlakte is 44,1 ha. Op het perceel zijn 3 adressen aanwezig. In de Basisregistratie Kadaster (BRK) werden de grenzen van het perceel geregistreerd op 27-12-2016.
Bij de laatste meting is voor het adres het energielabel A geregistreerd. Het hoogste energielabel in de straat is A+++; het laagste is G. Het gemiddelde energielabel is er A. Het adres Gageldonksepad 3-A heeft als status: 'verblijfsobject in gebruik'. Het pand waarin dit adres ligt heeft als status: 'pand in gebruik'.
Gageldonksepad 3-A is een adres gelegen in de gemeente Breda, provincie Noord-Brabant. Dit adres is geregistreerd in de Basisregistratie Adressen en Gebouwen (BAG) met als unieke identificatie 0758010000014315.
Het pand op Gageldonksepad 3-A is gebouwd in 1982, wat betekent dat het 44 jaar oud is. Dit is een pand van middelbare leeftijd. Het pand is van gemiddelde leeftijd en zal waarschijnlijk verouderde elementen bevatten.
De woning op Gageldonksepad 3-A heeft een gebruiksoppervlakte van 146 m². Dit is gemiddeld vergeleken met de gemiddelde Nederlandse woning, die een oppervlakte heeft van ongeveer 119 m². De gebruiksoppervlakte is de maat die wordt gebruikt in de BAG-registratie, de landelijke registratie van de Nederlandse overheid.
Gageldonksepad 3-A heeft als functie: bijeenkomsten. Deze gebruiksfunctie(s) zijn vastgelegd in de BAG-registratie en geven aan waarvoor het adres officieel mag worden gebruikt.
Gageldonksepad 3-A is gelegen op kadastraal perceel BDA00H10979. Deze kadastrale aanduiding is uniek en wordt gebruikt door het Kadaster om eigendomsrechten en andere zakelijke rechten vast te leggen. Het perceel maakt onderdeel uit van de kadastrale gemeente Breda.
Het perceel waarop Gageldonksepad 3-A staat heeft een oppervlakte van 2431 m². Dit is een zeer groot perceel. De perceeloppervlakte wordt geregistreerd door het Kadaster. Gedetailleerde informatie over de maten van dit perceel kunt u vinden in het rapport Kadastrale kaart met maatvoering van Gageldonksepad 3-A.
De eigenaar van Gageldonksepad 3-A is op te vragen op deze pagina.
De informatie over dit adres is afkomstig uit officiële overheidsregistraties, voornamelijk de Basisregistratie Adressen en Gebouwen (BAG) en de Basisregistratie Kadaster (BRK). Deze gegevens worden beheerd door respectievelijk gemeenten en het Kadaster, en worden regelmatig bijgewerkt. Energielabelgegevens komen uit de database van de Rijksdienst voor Ondernemend Nederland (RVO).
