Product Functies Prijzen Meer

Adressen

Gebruik de zoekbalk of klik op een perceel voor informatie over de adressen binnen dit perceel.
Locatie
Meten
Lagen
Download

Heerbaan 157

4817NK, Breda

1519312 Wat moet ik bieden voor deze woning?
178 m²
woonfunctie
850 m² perceeloppervlakte
?

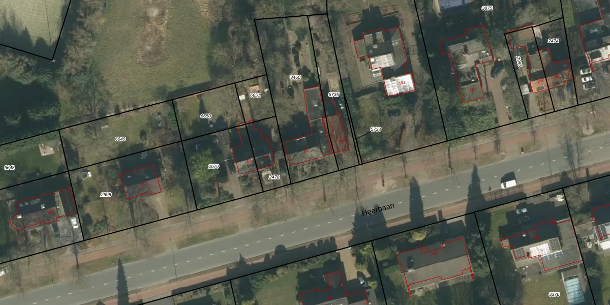
Heerbaan 157 is gelegen in de plaats Breda, de gemeente Breda en de provincie Noord-Brabant. De oppervlakte bedraagt 178 m², waarmee het adres groter dan gemiddeld is. De grootte van het perceel waarop het adres ligt is 850 m². Het object is klein ten opzichte van de andere adressen in de straat. Het grootste verblijfsobject is 5614 m² groot en het kleinste is 6 m². Heerbaan 157 bevindt zich in een pand uit het jaar 1916. Daarmee behoort het tot de groep relatief oude panden in Nederland die gebouwd zijn vóór 1965. Dit is het oudste object in de straat. Het nieuwste pand komt uit 2001 en het gemiddelde bouwjaar in de straat is 1973. Het verblijfsobject heeft de volgende gebruiksdoelen: 'woonfunctie'.

Perceel

Het perceel waarop het adres ligt is GNK02-A-3460. De afkorting 'GNK02' staat voor kadastrale gemeente Ginneken. Het perceel is kleiner dan gemiddeld in Ginneken. Het perceel is 850 m² groot, terwijl het gemiddelde ligt op 1251,02 m². Het grootste perceel in de kadastrale gemeente is 41,2 ha. Het kleinste perceel heeft een oppervlakte van 0 m². Er zijn geen andere adressen aanwezig op het perceel. De laatste wijziging in het de Basisregistratie Kadaster (BRK) was op 27-07-2010.

Energielabel en status

Er is geen energielabel geregistreerd voor het adres. Het hoogste energielabel in de straat is A+; het laagste is G. Het gemiddelde energielabel is er C. Het adres Heerbaan 157 heeft als status: 'verblijfsobject in gebruik'. Het pand waarin dit adres ligt heeft als status: 'pand in gebruik'.

Meer lezen

Adres

Gebruiksoppervlakte
178 m²
Bruto vloeroppervlakte
G0LHaqxdyUpgrade naar KadastraleKaart Pro
Gebruiksdoel(en)
Woonfunctie
Status
Verblijfsobject in gebruik
Type
Onbekend
Gasloos
o6 2RC vE E9eUpgrade naar KadastraleKaart Pro
Gebeurtenissen
Appartementsrechten
gV lux sUpgrade naar KadastraleKaart Pro
Eigenaar
Eigendomsinformatie 12,95
Adresinformatie bestellen
Adrespakket 34,95
VBO ID
0758010000020360

Pand

Bouwjaar pand
1916
Aantal adressen in dit gebouw
1 adres
Hoogte pand
lDQ PpY9WO Upgrade naar KadastraleKaart Pro
Aantal bouwlagen (schatting)
t2hrIY2l6kKa bx EUpgrade naar KadastraleKaart Pro
Volume
BmeG1J H2oQp fUpgrade naar KadastraleKaart Pro
Oppervlakte dak
foZSYhL2ju5Nd xyqbf slCUpgrade naar KadastraleKaart Pro
Oppervlakte buitenmuur
W 2j9Ob0 3aWTl8Upgrade naar KadastraleKaart Pro
Status pand
Pand in gebruik
Pand ID
0758100000017124

Perceel

Kadastrale aanduiding
Ginneken A 3460 (GNK02 A 3460)
Oppervlakte
850 m²
Maatvoering
Kadastrale kaart met maatvoering 59,95
Omtrek
141 meter
Datum laatst gewijzigd
27/07/2010
Aantal adressen op perceel
1
Hoogte boven N.A.P.
sOVUuTVDorH jUpgrade naar KadastraleKaart Pro

Veelgestelde vragen

Heerbaan 157 is een adres gelegen in de gemeente Breda, provincie Noord-Brabant. Dit adres is geregistreerd in de Basisregistratie Adressen en Gebouwen (BAG) met als unieke identificatie 0758010000020360.

Het pand op Heerbaan 157 is gebouwd in 1916, wat betekent dat het 110 jaar oud is. Dit is een ouder pand. Het pand heeft mogelijk aanzienlijke renovaties nodig om aan de huidige standaarden te voldoen.

De woning op Heerbaan 157 heeft een gebruiksoppervlakte van 178 m². Dit is ruim vergeleken met de gemiddelde Nederlandse woning, die een oppervlakte heeft van ongeveer 119 m². De gebruiksoppervlakte is de maat die wordt gebruikt in de BAG-registratie, de landelijke registratie van de Nederlandse overheid.

Heerbaan 157 heeft als functie: wonen. Deze gebruiksfunctie(s) zijn vastgelegd in de BAG-registratie en geven aan waarvoor het adres officieel mag worden gebruikt.

Heerbaan 157 is gelegen op kadastraal perceel GNK02A3460. Deze kadastrale aanduiding is uniek en wordt gebruikt door het Kadaster om eigendomsrechten en andere zakelijke rechten vast te leggen. Het perceel maakt onderdeel uit van de kadastrale gemeente Ginneken.

Het perceel waarop Heerbaan 157 staat heeft een oppervlakte van 850 m². Dit is een groot perceel. De perceeloppervlakte wordt geregistreerd door het Kadaster. Gedetailleerde informatie over de maten van dit perceel kunt u vinden in het rapport Kadastrale kaart met maatvoering van Heerbaan 157.

De eigenaar van Heerbaan 157 is op te vragen op deze pagina

De informatie over dit adres is afkomstig uit officiële overheidsregistraties, voornamelijk de Basisregistratie Adressen en Gebouwen (BAG) en de Basisregistratie Kadaster (BRK). Deze gegevens worden beheerd door respectievelijk gemeenten en het Kadaster, en worden regelmatig bijgewerkt. Energielabelgegevens komen uit de database van de Rijksdienst voor Ondernemend Nederland (RVO).

Maatvoeringsrapport

Biedadvies

Loop uw droomhuis niet mis met ons biedadvies.
Loop uw droomhuis niet mis met ons biedadvies.
Maatvoeringsrapport

Bestel het adrespakket

Kom alles te weten over Heerbaan 157 met het adrespakket.
Kom alles te weten over Heerbaan 157 met het adrespakket.

360°-foto's van de omgeving

Google Street View
Upgrade nu voor 360° Street View foto's

Zon en schaduw rondom adres

Buurt
Heusdenhout
Inwoners: 5.165
Woningen: 2.439
Wijk
Breda oost
Inwoners: 24.545
Woningen: 11.370
Gemeente
Breda
Inwoners: 188.078
Woningen: 85.869