
Heerbaan 165 is een adres in Breda, dat zich bevindt binnen de gemeentegrenzen van Breda en de grenzen van de provincie Noord-Brabant. Het object heeft een oppervlakte van 259 m², wat relatief groot is. Het perceel waarop het adres ligt is 1806 m² groot. De oppervlakte van het adres is klein vergeleken met de andere objecten in de straat. De oppervlakte van het kleinste object in de straat bedraagt 6 m², terwijl het grootste object 5614 m² groot is. In Nederland komt het grootste deel van de gebouwen uit de periode 1965-1984. Ook het bouwjaar van Heerbaan 165 is afkomstig uit die periode: het betreft namelijk een pand uit 1977. Vergeleken met de andere panden in de straat is dit gebouw nieuw. Het vroegste bouwjaar is er 1916 en het laatste is 2001. Voor het verblijfsobject gelden deze gebruiksdoelen: 'woonfunctie' en 'gezondheidszorgfunctie'.
Deze woning is voor het laatst verkocht op 1 april 2007. Meer informatie over deze transactie? Bestel het Woningtransactierapport om de verkoopprijs en andere informatie te zien.
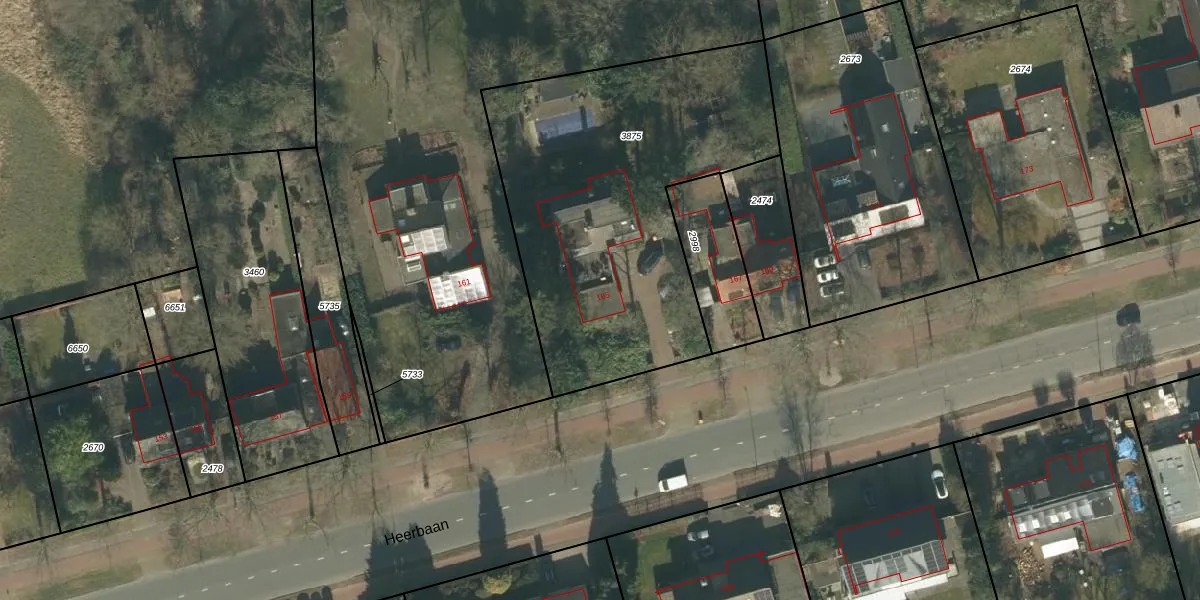
Het adres is gelegen op perceel 3875 in de sectie A en de kadastrale gemeente Ginneken. De kadastrale aanduiding is aldus GNK02-A-3875. Het perceel is met 1806 m² relatief groot. Het gemiddelde ligt in de kadastrale gemeente Ginneken op 1250,82 m². Het grootste perceel in de kadastrale gemeente is 41,2 ha. Het kleinste perceel heeft een oppervlakte van 0 m². Dit is het enige adres dat aanwezig is op het perceel. De huidige grenzen van het perceel zijn digitaal in de Basisregistratie Kadaster (BRK) geregistreerd op 17-11-2006.
Er is geen energielabel geregistreerd voor het adres. Het hoogste energielabel in de straat is A+; het laagste is G. Het gemiddelde energielabel is er C. Het adres Heerbaan 165 heeft als status: 'verblijfsobject in gebruik'. Het pand waarin dit adres ligt heeft als status: 'pand in gebruik'.
Heerbaan 165 is een adres gelegen in de gemeente Breda, provincie Noord-Brabant. Dit adres is geregistreerd in de Basisregistratie Adressen en Gebouwen (BAG) met als unieke identificatie 0758010000020367.
Het pand op Heerbaan 165 is gebouwd in 1977, wat betekent dat het 49 jaar oud is. Dit is een pand van middelbare leeftijd. Het pand is van gemiddelde leeftijd en zal waarschijnlijk verouderde elementen bevatten.
De woning op Heerbaan 165 heeft een gebruiksoppervlakte van 259 m². Dit is ruim vergeleken met de gemiddelde Nederlandse woning, die een oppervlakte heeft van ongeveer 119 m². De gebruiksoppervlakte is de maat die wordt gebruikt in de BAG-registratie, de landelijke registratie van de Nederlandse overheid.
Heerbaan 165 heeft als functie: wonen en gezondheidszorg. Deze gebruiksfunctie(s) zijn vastgelegd in de BAG-registratie en geven aan waarvoor het adres officieel mag worden gebruikt.
Heerbaan 165 is gelegen op kadastraal perceel GNK02A3875. Deze kadastrale aanduiding is uniek en wordt gebruikt door het Kadaster om eigendomsrechten en andere zakelijke rechten vast te leggen. Het perceel maakt onderdeel uit van de kadastrale gemeente Ginneken.
Het perceel waarop Heerbaan 165 staat heeft een oppervlakte van 1806 m². Dit is een zeer groot perceel. De perceeloppervlakte wordt geregistreerd door het Kadaster. Gedetailleerde informatie over de maten van dit perceel kunt u vinden in het rapport Kadastrale kaart met maatvoering van Heerbaan 165.
De eigenaar van Heerbaan 165 is op te vragen op deze pagina
De informatie over dit adres is afkomstig uit officiële overheidsregistraties, voornamelijk de Basisregistratie Adressen en Gebouwen (BAG) en de Basisregistratie Kadaster (BRK). Deze gegevens worden beheerd door respectievelijk gemeenten en het Kadaster, en worden regelmatig bijgewerkt. Energielabelgegevens komen uit de database van de Rijksdienst voor Ondernemend Nederland (RVO).
