Product Functies Prijzen Meer

Adressen

Gebruik de zoekbalk of klik op een perceel voor informatie over de adressen binnen dit perceel.
Locatie
Meten
Lagen
Download

Heilaarpark 24

4814NJ, Breda

1519312 Wat moet ik bieden voor deze woning?
205 m²
woonfunctie
7.587 m² perceeloppervlakte
A

Heilaarpark 24 is gelegen in de plaats Breda, de gemeente Breda en de provincie Noord-Brabant. De oppervlakte bedraagt 205 m², waarmee het adres groter dan gemiddeld is. De grootte van het perceel waarop het adres ligt is 7587 m². Het adres is klein vergeleken met andere objecten in de straat. Het grootste object in de straat heeft een oppervlakte van 608 m², het kleinste is 69 m² groot. In het jaar 2016 is het pand waarin Heilaarpark 24 ligt gebouwd. Dat is relatief recent: de meeste gebouwen in Nederland zijn gebouwd in de periode 1965-1984. Veel andere gebouwen in de straat zijn ouder dan dit pand. Het oudste pand komt uit het jaar 1801 en het nieuwste uit 2025. Voor het verblijfsobject gelden deze gebruiksdoelen: 'woonfunctie'.

Perceel

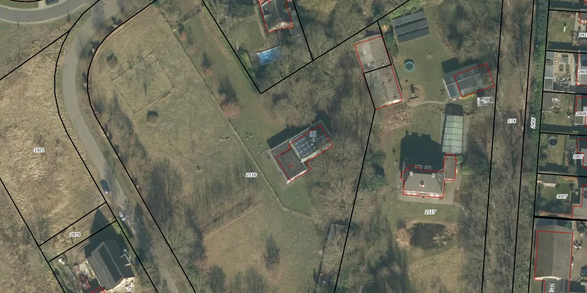
Het adres ligt op het perceel PCH00-P-2116, dat zich in de kadastrale gemeente Princenhage bevindt. Het perceel is met 7587 m² relatief groot. Het gemiddelde ligt in de kadastrale gemeente Princenhage op 2923,92 m². De grootste perceeloppervlakte in de kadastrale gemeente is 31,9 ha. De kleinste oppervlakte bedraagt 0 m². Er zijn geen andere adressen aanwezig op het perceel. De laatste wijziging in het de Basisregistratie Kadaster (BRK) was op 04-10-2006.

Energielabel en status

Het adres ligt in een gebouw van het type 'vrijstaande woning'. Bij de laatste meting is voor het adres het energielabel A geregistreerd. Het hoogste energielabel in de straat is A+; het laagste is G. Het gemiddelde energielabel is er B. Het adres Heilaarpark 24 heeft als status: 'verblijfsobject in gebruik'. Het pand waarin dit adres ligt heeft als status: 'pand in gebruik'.

Meer lezen

Adres

Gebruiksoppervlakte
205 m²
Bruto vloeroppervlakte
8TTNK7tzpm8NZUpgrade naar KadastraleKaart Pro
Gebruiksdoel(en)
Woonfunctie
Status
Verblijfsobject in gebruik
Type
Vrijstaande woning
Gasloos
4yIGuWPKe pLkx GwlsFSyUpgrade naar KadastraleKaart Pro
Gebeurtenissen
Appartementsrechten
irLAmrbe bUhcabyv7EUpgrade naar KadastraleKaart Pro
Eigenaar
Eigendomsinformatie 12,95
Adresinformatie bestellen
Adrespakket 34,95
VBO ID
0758010000098409

Pand

Bouwjaar pand
2016
Aantal adressen in dit gebouw
1 adres
Hoogte pand
NUG12cN zvz9A96 AaUpgrade naar KadastraleKaart Pro
Aantal bouwlagen (schatting)
00jTuQnqojlDj4DUpgrade naar KadastraleKaart Pro
Volume
9rfJgvvk7GPUlzTN ocgUpgrade naar KadastraleKaart Pro
Oppervlakte dak
n Vqv4i6 OPtgklYdqc35Upgrade naar KadastraleKaart Pro
Oppervlakte buitenmuur
RJ4R 3AtiSFuZPseXD1lUpgrade naar KadastraleKaart Pro
Status pand
Pand in gebruik
Pand ID
0758100000104924

Perceel

Kadastrale aanduiding
Princenhage P 2116 (PCH00 P 2116)
Oppervlakte
7.587 m²
Maatvoering
Kadastrale kaart met maatvoering 59,95
Omtrek
400 meter
Datum laatst gewijzigd
04/10/2006
Aantal adressen op perceel
1
Hoogte boven N.A.P.
r4paItA6vx7GEDIUpgrade naar KadastraleKaart Pro

Veelgestelde vragen

Heilaarpark 24 is een adres gelegen in de gemeente Breda, provincie Noord-Brabant. Dit adres is geregistreerd in de Basisregistratie Adressen en Gebouwen (BAG) met als unieke identificatie 0758010000098409.

Het pand op Heilaarpark 24 is gebouwd in 2016, wat betekent dat het 10 jaar oud is. Dit is een relatief modern pand. Ten opzichte van de nationale woningvoorraad is het pand relatief modern, maar er kunnen enkele verouderde elementen zijn die aandacht nodig hebben.

De woning op Heilaarpark 24 heeft een gebruiksoppervlakte van 205 m². Dit is ruim vergeleken met de gemiddelde Nederlandse woning, die een oppervlakte heeft van ongeveer 119 m². De gebruiksoppervlakte is de maat die wordt gebruikt in de BAG-registratie, de landelijke registratie van de Nederlandse overheid.

Heilaarpark 24 heeft als functie: wonen. Deze gebruiksfunctie(s) zijn vastgelegd in de BAG-registratie en geven aan waarvoor het adres officieel mag worden gebruikt.

Heilaarpark 24 is gelegen op kadastraal perceel PCH00P2116. Deze kadastrale aanduiding is uniek en wordt gebruikt door het Kadaster om eigendomsrechten en andere zakelijke rechten vast te leggen. Het perceel maakt onderdeel uit van de kadastrale gemeente Princenhage.

Het perceel waarop Heilaarpark 24 staat heeft een oppervlakte van 7587 m². Dit is een zeer groot perceel. De perceeloppervlakte wordt geregistreerd door het Kadaster. Gedetailleerde informatie over de maten van dit perceel kunt u vinden in het rapport Kadastrale kaart met maatvoering van Heilaarpark 24.

De eigenaar van Heilaarpark 24 is op te vragen op deze pagina.

De informatie over dit adres is afkomstig uit officiële overheidsregistraties, voornamelijk de Basisregistratie Adressen en Gebouwen (BAG) en de Basisregistratie Kadaster (BRK). Deze gegevens worden beheerd door respectievelijk gemeenten en het Kadaster, en worden regelmatig bijgewerkt. Energielabelgegevens komen uit de database van de Rijksdienst voor Ondernemend Nederland (RVO).

Maatvoeringsrapport

Wie is de eigenaar?

Bekijk de eigenaar van Heilaarpark 24 met de eigendomsinformatie.
Bekijk de eigenaar van dit adres.
Maatvoeringsrapport

Maatvoering van het perceel

Bestel de maatvoering voor Heilaarpark 24 met het maatvoeringsrapport.
Bestel de maatvoering voor dit adres.

360°-foto's van de omgeving

Google Street View
Upgrade nu voor 360° Street View foto's

Zon en schaduw rondom adres

Buurt
Heilaar
Inwoners: 630
Woningen: 208
Wijk
Breda west
Inwoners: 33.175
Woningen: 15.547
Gemeente
Breda
Inwoners: 188.078
Woningen: 85.869