
Hooilaan 88 is gelegen in de plaats Breda, de gemeente Breda en de provincie Noord-Brabant. De oppervlakte van het object bedraagt 16 m². Dat is klein vergeleken met het Nederlandse gemiddelde. Het perceel waarop het adres ligt is 412 m² groot. Er zijn geen kleinere objecten in deze straat. De gemiddelde oppervlakte is er 95 m². Het grootste verblijfsobject is 1625 m². Hooilaan 88 bevindt zich in een pand uit het jaar 1961. Daarmee behoort het tot de groep relatief oude panden in Nederland die gebouwd zijn vóór 1965. Dit is het oudste object in de straat. Het nieuwste pand komt uit 1982 en het gemiddelde bouwjaar in de straat is 1966. De volgende gebruiksdoelen zijn geregistreerd voor dit adres: 'overige gebruiksfunctie'.
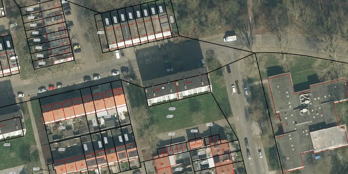
Het adres ligt op het perceel BDA00-G-4090, dat zich in de kadastrale gemeente Breda bevindt. Het perceel is 412 m² groot. Dat is kleiner dan de gemiddelde perceeloppervlakte in Breda, dat op 1059,13 m² ligt. Het grootste perceel in de kadastrale gemeente is 44,1 ha. Het kleinste perceel heeft een oppervlakte van 0 m². Op het perceel zijn 18 adressen aanwezig. De laatste wijziging in het de Basisregistratie Kadaster (BRK) was op 23-10-2006.
Er is geen energielabel geregistreerd voor het adres. Het hoogste energielabel in de straat is A+; het laagste is G. Het gemiddelde energielabel is er C. Het adres Hooilaan 88 heeft als status: 'verblijfsobject in gebruik'. Het pand waarin dit adres ligt heeft als status: 'pand in gebruik'.
Hooilaan 88 is een adres gelegen in de gemeente Breda, provincie Noord-Brabant. Dit adres is geregistreerd in de Basisregistratie Adressen en Gebouwen (BAG) met als unieke identificatie 0758010000028827.
Het pand op Hooilaan 88 is gebouwd in 1961, wat betekent dat het 65 jaar oud is. Dit is een ouder pand. Het pand heeft mogelijk aanzienlijke renovaties nodig om aan de huidige standaarden te voldoen.
De woning op Hooilaan 88 heeft een gebruiksoppervlakte van 16 m². Dit is relatief klein vergeleken met de gemiddelde Nederlandse woning, die een oppervlakte heeft van ongeveer 119 m². De gebruiksoppervlakte is de maat die wordt gebruikt in de BAG-registratie, de landelijke registratie van de Nederlandse overheid.
Hooilaan 88 heeft als functie: overige doeleinden. Deze gebruiksfunctie(s) zijn vastgelegd in de BAG-registratie en geven aan waarvoor het adres officieel mag worden gebruikt.
Hooilaan 88 is gelegen op kadastraal perceel BDA00G4090. Deze kadastrale aanduiding is uniek en wordt gebruikt door het Kadaster om eigendomsrechten en andere zakelijke rechten vast te leggen. Het perceel maakt onderdeel uit van de kadastrale gemeente Breda.
Het perceel waarop Hooilaan 88 staat heeft een oppervlakte van 412 m². Dit is een groot perceel. De perceeloppervlakte wordt geregistreerd door het Kadaster. Gedetailleerde informatie over de maten van dit perceel kunt u vinden in het rapport Kadastrale kaart met maatvoering van Hooilaan 88.
De eigenaar van Hooilaan 88 is op te vragen op deze pagina.
De informatie over dit adres is afkomstig uit officiële overheidsregistraties, voornamelijk de Basisregistratie Adressen en Gebouwen (BAG) en de Basisregistratie Kadaster (BRK). Deze gegevens worden beheerd door respectievelijk gemeenten en het Kadaster, en worden regelmatig bijgewerkt. Energielabelgegevens komen uit de database van de Rijksdienst voor Ondernemend Nederland (RVO).
