
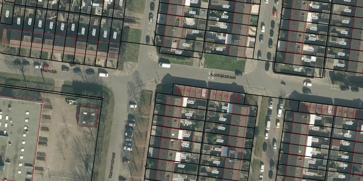
Kortrijkstraat 83 is gelegen in de plaats Breda, de gemeente Breda en de provincie Noord-Brabant. De oppervlakte van het object bedraagt 16 m². Dat is klein vergeleken met het Nederlandse gemiddelde. Het perceel waarop het adres ligt is 243 m² groot. Er zijn geen kleinere objecten in deze straat. De gemiddelde oppervlakte is er 48 m². Het grootste verblijfsobject is 140 m². De gemiddelde bouwperiode van gebouwen in Nederland ligt tussen de jaren 1965-1984. Dat geldt ook voor het bouwjaar van Kortrijkstraat 83: het is gebouwd in het jaar 1965. Dit is het oudste object in de straat. Het nieuwste pand komt uit 1966 en het gemiddelde bouwjaar in de straat is 1965. Voor het verblijfsobject gelden deze gebruiksdoelen: 'overige gebruiksfunctie'.
Het adres ligt op het perceel BDA00-G-2555, dat zich in de kadastrale gemeente Breda bevindt. De gemiddelde perceelgrootte in Breda is 1059,06 m². Dit perceel is kleiner: de perceeloppervlakte bedraagt 243 m². Het kleinste perceel in de kadastrale gemeente is 0 m² groot. De grootste perceeloppervlakte is 44,1 ha. Op het perceel zijn 12 adressen aanwezig. De laatste wijziging in het de Basisregistratie Kadaster (BRK) was op 21-06-2010.
Er is geen energielabel geregistreerd voor het adres. Het hoogste energielabel in de straat is A++; het laagste is G. Het gemiddelde energielabel is er B. Het adres Kortrijkstraat 83 heeft als status: 'verblijfsobject in gebruik'. Het pand waarin dit adres ligt heeft als status: 'pand in gebruik'.
Kortrijkstraat 83 is een adres gelegen in de gemeente Breda, provincie Noord-Brabant. Dit adres is geregistreerd in de Basisregistratie Adressen en Gebouwen (BAG) met als unieke identificatie 0758010000034728.
Het pand op Kortrijkstraat 83 is gebouwd in 1965, wat betekent dat het 61 jaar oud is. Dit is een ouder pand. Het pand heeft mogelijk aanzienlijke renovaties nodig om aan de huidige standaarden te voldoen.
De woning op Kortrijkstraat 83 heeft een gebruiksoppervlakte van 16 m². Dit is relatief klein vergeleken met de gemiddelde Nederlandse woning, die een oppervlakte heeft van ongeveer 119 m². De gebruiksoppervlakte is de maat die wordt gebruikt in de BAG-registratie, de landelijke registratie van de Nederlandse overheid.
Kortrijkstraat 83 heeft als functie: overige doeleinden. Deze gebruiksfunctie(s) zijn vastgelegd in de BAG-registratie en geven aan waarvoor het adres officieel mag worden gebruikt.
Kortrijkstraat 83 is gelegen op kadastraal perceel BDA00G2555. Deze kadastrale aanduiding is uniek en wordt gebruikt door het Kadaster om eigendomsrechten en andere zakelijke rechten vast te leggen. Het perceel maakt onderdeel uit van de kadastrale gemeente Breda.
Het perceel waarop Kortrijkstraat 83 staat heeft een oppervlakte van 243 m². Dit is een middelgroot perceel. De perceeloppervlakte wordt geregistreerd door het Kadaster. Gedetailleerde informatie over de maten van dit perceel kunt u vinden in het rapport Kadastrale kaart met maatvoering van Kortrijkstraat 83.
De eigenaar van Kortrijkstraat 83 is op te vragen op deze pagina.
De informatie over dit adres is afkomstig uit officiële overheidsregistraties, voornamelijk de Basisregistratie Adressen en Gebouwen (BAG) en de Basisregistratie Kadaster (BRK). Deze gegevens worden beheerd door respectievelijk gemeenten en het Kadaster, en worden regelmatig bijgewerkt. Energielabelgegevens komen uit de database van de Rijksdienst voor Ondernemend Nederland (RVO).
