
Montenspark 6 is een adres in Breda, dat zich bevindt binnen de gemeentegrenzen van Breda en de grenzen van de provincie Noord-Brabant. Het object heeft een oppervlakte van 279 m², wat relatief groot is. Het perceel waarop het adres ligt is 1560 m² groot. Het object is klein ten opzichte van de andere adressen in de straat. Het grootste verblijfsobject is 715 m² groot en het kleinste is 209 m². Het adres Montenspark 6 ligt in een relatief oud pand uit het jaar 1933. Panden van vóór het jaar 1965 hebben we hier geclassificeerd als oud. Het bouwjaar is oud vergeleken met dat van de andere panden in de straat. Het oudste bouwjaar is er 1927 en de nieuwste is 2013. Het verblijfsobject heeft de volgende gebruiksdoelen: 'woonfunctie'.
Deze woning is voor het laatst verkocht op 1 oktober 2004. Meer informatie over deze transactie? Bestel het Woningtransactierapport om de verkoopprijs en andere informatie te zien.
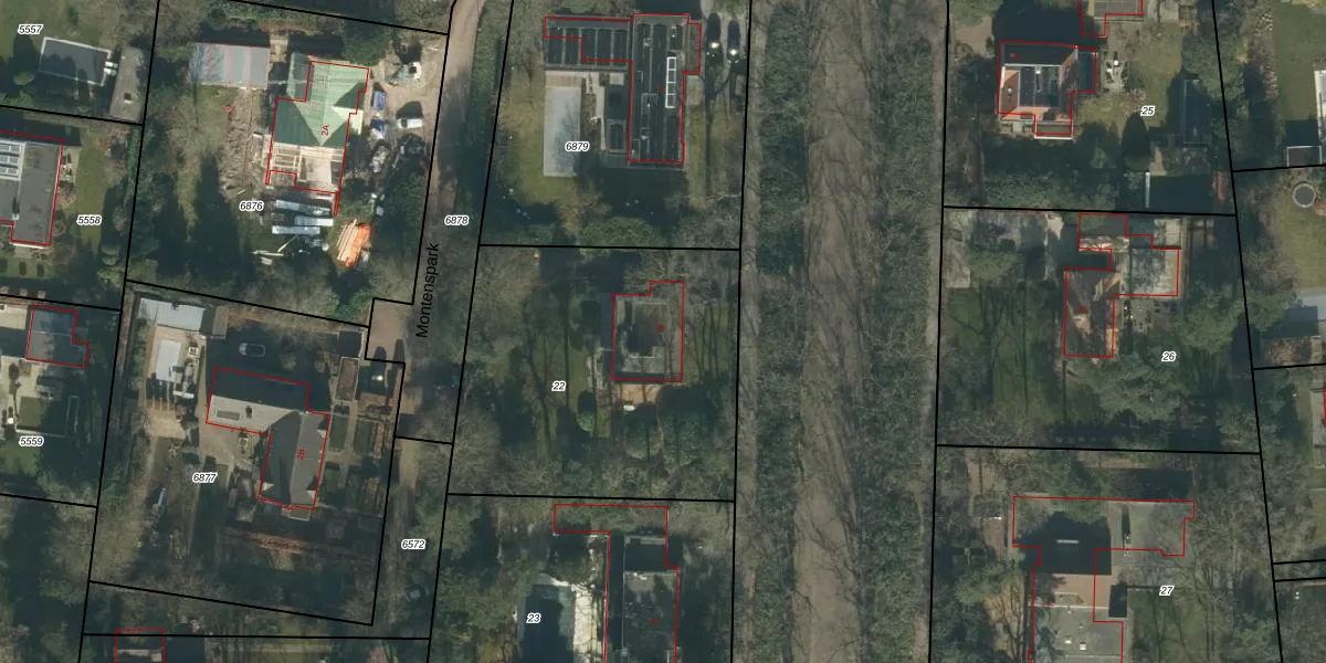
Het perceel waarop het adres ligt is BDA00-E-22. De afkorting 'BDA00' staat voor kadastrale gemeente Breda. De gemiddelde perceeloppervlakte in de kadastrale gemeente Breda is 1059,06 m². Dit perceel is met zijn 1560 m² dus groter dan gemiddeld. De grootste perceeloppervlakte in de kadastrale gemeente is 44,1 ha. De kleinste oppervlakte bedraagt 0 m². Dit is het enige adres dat aanwezig is op het perceel. De huidige grenzen van het perceel zijn digitaal in de Basisregistratie Kadaster (BRK) geregistreerd op 25-10-2006.
Het adres ligt in een gebouw van het type 'vrijstaande woning'. Bij de laatste meting is voor het adres het energielabel D geregistreerd. Het hoogste energielabel in de straat is A; het laagste is G. Het gemiddelde energielabel is er C. Het adres Montenspark 6 heeft als status: 'verblijfsobject in gebruik'. Het pand waarin dit adres ligt heeft als status: 'pand in gebruik'.
Montenspark 6 is een adres gelegen in de gemeente Breda, provincie Noord-Brabant. Dit adres is geregistreerd in de Basisregistratie Adressen en Gebouwen (BAG) met als unieke identificatie 0758010000041390.
Het pand op Montenspark 6 is gebouwd in 1933, wat betekent dat het 93 jaar oud is. Dit is een ouder pand. Het pand heeft mogelijk aanzienlijke renovaties nodig om aan de huidige standaarden te voldoen.
De woning op Montenspark 6 heeft een gebruiksoppervlakte van 279 m². Dit is ruim vergeleken met de gemiddelde Nederlandse woning, die een oppervlakte heeft van ongeveer 119 m². De gebruiksoppervlakte is de maat die wordt gebruikt in de BAG-registratie, de landelijke registratie van de Nederlandse overheid.
Montenspark 6 heeft als functie: wonen. Deze gebruiksfunctie(s) zijn vastgelegd in de BAG-registratie en geven aan waarvoor het adres officieel mag worden gebruikt.
Montenspark 6 is gelegen op kadastraal perceel BDA00E22. Deze kadastrale aanduiding is uniek en wordt gebruikt door het Kadaster om eigendomsrechten en andere zakelijke rechten vast te leggen. Het perceel maakt onderdeel uit van de kadastrale gemeente Breda.
Het perceel waarop Montenspark 6 staat heeft een oppervlakte van 1560 m². Dit is een zeer groot perceel. De perceeloppervlakte wordt geregistreerd door het Kadaster. Gedetailleerde informatie over de maten van dit perceel kunt u vinden in het rapport Kadastrale kaart met maatvoering van Montenspark 6.
De eigenaar van Montenspark 6 is op te vragen op deze pagina.
De informatie over dit adres is afkomstig uit officiële overheidsregistraties, voornamelijk de Basisregistratie Adressen en Gebouwen (BAG) en de Basisregistratie Kadaster (BRK). Deze gegevens worden beheerd door respectievelijk gemeenten en het Kadaster, en worden regelmatig bijgewerkt. Energielabelgegevens komen uit de database van de Rijksdienst voor Ondernemend Nederland (RVO).
