
Roeselarestraat 342 is gelegen in de plaats Breda, de gemeente Breda en de provincie Noord-Brabant. Het perceel waarop het adres gelegen is heeft een oppervlakte van 5102 m². Het verblijfsobject is met 64 m² relatief klein. De oppervlakte van het adres is klein vergeleken met de andere objecten in de straat. De oppervlakte van het kleinste object in de straat bedraagt 16 m², terwijl het grootste object 168 m² groot is. De gemiddelde bouwperiode van gebouwen in Nederland ligt tussen de jaren 1965-1984. Dat geldt ook voor het bouwjaar van Roeselarestraat 342: het is gebouwd in het jaar 1975. Het gemiddelde bouwjaar in de straat is 1972 en dat van het oudste pand is 1800. Dit is het nieuwste object in de straat. De volgende gebruiksdoelen zijn geregistreerd voor dit adres: 'woonfunctie'.
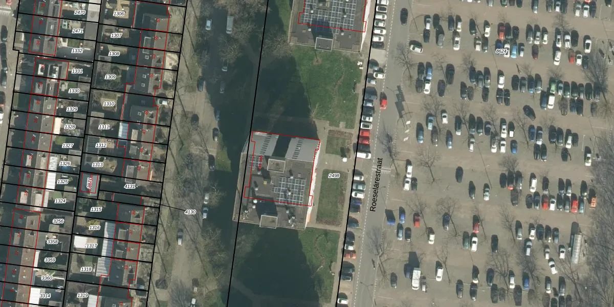
Het adres is gelegen op perceel 2498 in de sectie G en de kadastrale gemeente Breda. De kadastrale aanduiding is aldus BDA00-G-2498. De oppervlakte van het perceel is 5102 m². Dat is groter dan gemiddeld in Breda, waar de gemiddelde perceeloppervlakte op 1059,06 m² ligt. Het kleinste perceel in de kadastrale gemeente is 0 m² groot. De grootste perceeloppervlakte is 44,1 ha. Er zijn 180 adressen aanwezig op het perceel. De laatste wijziging in het de Basisregistratie Kadaster (BRK) was op 17-01-2008.
Het adres ligt in een gebouw van het type 'appartement met het subtype hoekmidden'. Bij de laatste meting is voor het adres het energielabel C geregistreerd. Het hoogste energielabel in de straat is A; het laagste is G. Het gemiddelde energielabel is er C. Het adres Roeselarestraat 342 heeft als status: 'verblijfsobject in gebruik'. Het pand waarin dit adres ligt heeft als status: 'pand in gebruik'.
Roeselarestraat 342 is een adres gelegen in de gemeente Breda, provincie Noord-Brabant. Dit adres is geregistreerd in de Basisregistratie Adressen en Gebouwen (BAG) met als unieke identificatie 0758010000043841.
Het pand op Roeselarestraat 342 is gebouwd in 1975, wat betekent dat het 51 jaar oud is. Dit is een ouder pand. Het pand heeft mogelijk aanzienlijke renovaties nodig om aan de huidige standaarden te voldoen.
De woning op Roeselarestraat 342 heeft een gebruiksoppervlakte van 64 m². Dit is relatief klein vergeleken met de gemiddelde Nederlandse woning, die een oppervlakte heeft van ongeveer 119 m². De gebruiksoppervlakte is de maat die wordt gebruikt in de BAG-registratie, de landelijke registratie van de Nederlandse overheid.
Roeselarestraat 342 heeft als functie: wonen. Deze gebruiksfunctie(s) zijn vastgelegd in de BAG-registratie en geven aan waarvoor het adres officieel mag worden gebruikt.
Roeselarestraat 342 is gelegen op kadastraal perceel BDA00G2498. Deze kadastrale aanduiding is uniek en wordt gebruikt door het Kadaster om eigendomsrechten en andere zakelijke rechten vast te leggen. Het perceel maakt onderdeel uit van de kadastrale gemeente Breda.
Het perceel waarop Roeselarestraat 342 staat heeft een oppervlakte van 5102 m². Dit is een zeer groot perceel. De perceeloppervlakte wordt geregistreerd door het Kadaster. Gedetailleerde informatie over de maten van dit perceel kunt u vinden in het rapport Kadastrale kaart met maatvoering van Roeselarestraat 342.
De eigenaar van Roeselarestraat 342 is op te vragen op deze pagina.
De informatie over dit adres is afkomstig uit officiële overheidsregistraties, voornamelijk de Basisregistratie Adressen en Gebouwen (BAG) en de Basisregistratie Kadaster (BRK). Deze gegevens worden beheerd door respectievelijk gemeenten en het Kadaster, en worden regelmatig bijgewerkt. Energielabelgegevens komen uit de database van de Rijksdienst voor Ondernemend Nederland (RVO).
