
Het adres Knoevenoordstraat 69 bevindt zich in de plaats Brummen, in de gemeente Brummen en de provincie Gelderland. Het verblijfsobject is 128 m² groot en bevindt zich op een perceel met een oppervlakte van 2150 m². Gemiddeld hebben adressen in Nederland een oppervlakte van 119 m². Het adres is klein vergeleken met andere objecten in de straat. Het grootste object in de straat heeft een oppervlakte van 736 m², het kleinste is 5 m² groot. Knoevenoordstraat 69 bevindt zich in een pand uit het jaar 1867. Daarmee behoort het tot de groep relatief oude panden in Nederland die gebouwd zijn vóór 1965. Het bouwjaar is oud vergeleken met dat van de andere panden in de straat. Het oudste bouwjaar is er 1856 en de nieuwste is 2022. Voor het verblijfsobject gelden deze gebruiksdoelen: 'woonfunctie'.
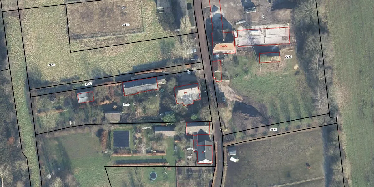
Het adres ligt op het perceel BMN01-E-2257, dat zich in de kadastrale gemeente Brummen bevindt. De gemiddelde perceelgrootte in Brummen is 8101,64 m². Dit perceel is kleiner: de perceeloppervlakte bedraagt 2150 m². Het grootste perceel in de kadastrale gemeente is 63,5 ha. Het kleinste perceel heeft een oppervlakte van 0 m². Dit is het enige adres dat aanwezig is op het perceel. In de Basisregistratie Kadaster (BRK) werden de grenzen van het perceel geregistreerd op 23-11-2004.
Het adres ligt in een gebouw van het type 'vrijstaande woning'. Bij de laatste meting is voor het adres het energielabel G geregistreerd. Het hoogste energielabel in de straat is A+++; het laagste is G. Het gemiddelde energielabel is er C. Het adres Knoevenoordstraat 69 heeft als status: 'verblijfsobject in gebruik'. Het pand waarin dit adres ligt heeft als status: 'pand in gebruik'.
Knoevenoordstraat 69 is een adres gelegen in de gemeente Brummen, provincie Gelderland. Dit adres is geregistreerd in de Basisregistratie Adressen en Gebouwen (BAG) met als unieke identificatie 0213010000005189.
Het pand op Knoevenoordstraat 69 is gebouwd in 1867, wat betekent dat het 159 jaar oud is. Dit is een ouder pand. Het pand heeft mogelijk aanzienlijke renovaties nodig om aan de huidige standaarden te voldoen.
De woning op Knoevenoordstraat 69 heeft een gebruiksoppervlakte van 128 m². Dit is gemiddeld vergeleken met de gemiddelde Nederlandse woning, die een oppervlakte heeft van ongeveer 119 m². De gebruiksoppervlakte is de maat die wordt gebruikt in de BAG-registratie, de landelijke registratie van de Nederlandse overheid.
Knoevenoordstraat 69 heeft als functie: wonen. Deze gebruiksfunctie(s) zijn vastgelegd in de BAG-registratie en geven aan waarvoor het adres officieel mag worden gebruikt.
Knoevenoordstraat 69 is gelegen op kadastraal perceel BMN01E2257. Deze kadastrale aanduiding is uniek en wordt gebruikt door het Kadaster om eigendomsrechten en andere zakelijke rechten vast te leggen. Het perceel maakt onderdeel uit van de kadastrale gemeente Brummen.
Het perceel waarop Knoevenoordstraat 69 staat heeft een oppervlakte van 2150 m². Dit is een zeer groot perceel. De perceeloppervlakte wordt geregistreerd door het Kadaster. Gedetailleerde informatie over de maten van dit perceel kunt u vinden in het rapport Kadastrale kaart met maatvoering van Knoevenoordstraat 69.
De eigenaar van Knoevenoordstraat 69 is op te vragen op deze pagina.
De informatie over dit adres is afkomstig uit officiële overheidsregistraties, voornamelijk de Basisregistratie Adressen en Gebouwen (BAG) en de Basisregistratie Kadaster (BRK). Deze gegevens worden beheerd door respectievelijk gemeenten en het Kadaster, en worden regelmatig bijgewerkt. Energielabelgegevens komen uit de database van de Rijksdienst voor Ondernemend Nederland (RVO).
