
Akerstraat 141 is een adres in Brunssum, dat zich bevindt binnen de gemeentegrenzen van Brunssum en de grenzen van de provincie Limburg. De oppervlakte van het verblijfsobject is met 250 m² aan de grote kant. Het perceel heeft een oppervlakte van 2215 m². In vergelijking met de andere adressen in de straat is de oppervlakte van dit object relatief groot. Het grootste verblijfsobject heeft een oppervlakte van 1341 m², de oppervlakte van het kleinste object bedraagt 8 m². Akerstraat 141 bevindt zich in een pand uit het jaar 1961. Daarmee behoort het tot de groep relatief oude panden in Nederland die gebouwd zijn vóór 1965. Het nieuwste gebouw in de straat komt uit 2025 en het oudste uit 1915. Dit object is relatief oud. Voor het verblijfsobject gelden deze gebruiksdoelen: 'woonfunctie'.
Deze woning is voor het laatst verkocht op 1 maart 2000. Meer informatie over deze transactie? Bestel het Woningtransactierapport om de verkoopprijs en andere informatie te zien.
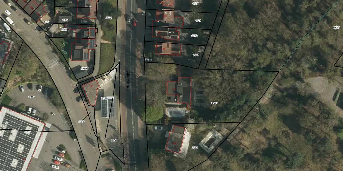
Het perceel waarop het adres ligt is BSM02-B-3562. De afkorting 'BSM02' staat voor kadastrale gemeente Brunssum. Het perceel is met 2215 m² relatief groot. Het gemiddelde ligt in de kadastrale gemeente Brunssum op 1350,21 m². Het grootste perceel in de kadastrale gemeente is 75,6 ha. Het kleinste perceel heeft een oppervlakte van 0 m². Op het perceel bevinden zich geen andere adressen. De huidige grenzen van het perceel zijn digitaal in de Basisregistratie Kadaster (BRK) geregistreerd op 13-12-2010.
Er is geen energielabel geregistreerd voor het adres. Het hoogste energielabel in de straat is A++++; het laagste is G. Het gemiddelde energielabel is er C. Het adres Akerstraat 141 heeft als status: 'verblijfsobject in gebruik'. Het pand waarin dit adres ligt heeft als status: 'pand in gebruik'.
Akerstraat 141 is een adres gelegen in de gemeente Brunssum, provincie Limburg. Dit adres is geregistreerd in de Basisregistratie Adressen en Gebouwen (BAG) met als unieke identificatie 0899010000283009.
Het pand op Akerstraat 141 is gebouwd in 1961, wat betekent dat het 65 jaar oud is. Dit is een ouder pand. Het pand heeft mogelijk aanzienlijke renovaties nodig om aan de huidige standaarden te voldoen.
De woning op Akerstraat 141 heeft een gebruiksoppervlakte van 250 m². Dit is ruim vergeleken met de gemiddelde Nederlandse woning, die een oppervlakte heeft van ongeveer 119 m². De gebruiksoppervlakte is de maat die wordt gebruikt in de BAG-registratie, de landelijke registratie van de Nederlandse overheid.
Akerstraat 141 heeft als functie: wonen. Deze gebruiksfunctie(s) zijn vastgelegd in de BAG-registratie en geven aan waarvoor het adres officieel mag worden gebruikt.
Akerstraat 141 is gelegen op kadastraal perceel BSM02B3562. Deze kadastrale aanduiding is uniek en wordt gebruikt door het Kadaster om eigendomsrechten en andere zakelijke rechten vast te leggen. Het perceel maakt onderdeel uit van de kadastrale gemeente Brunssum.
Het perceel waarop Akerstraat 141 staat heeft een oppervlakte van 2215 m². Dit is een zeer groot perceel. De perceeloppervlakte wordt geregistreerd door het Kadaster. Gedetailleerde informatie over de maten van dit perceel kunt u vinden in het rapport Kadastrale kaart met maatvoering van Akerstraat 141.
De eigenaar van Akerstraat 141 is op te vragen op deze pagina.
De informatie over dit adres is afkomstig uit officiële overheidsregistraties, voornamelijk de Basisregistratie Adressen en Gebouwen (BAG) en de Basisregistratie Kadaster (BRK). Deze gegevens worden beheerd door respectievelijk gemeenten en het Kadaster, en worden regelmatig bijgewerkt. Energielabelgegevens komen uit de database van de Rijksdienst voor Ondernemend Nederland (RVO).
