
Dr. L. Th. Wietenstraat 21 is een adres in Brunssum, dat zich bevindt binnen de gemeentegrenzen van Brunssum en de grenzen van de provincie Limburg. De oppervlakte van het verblijfsobject is met 176 m² aan de grote kant. Het perceel heeft een oppervlakte van 303 m². Vergeleken met de andere verblijfsobjecten in de straat is dit object groot. De oppervlakte van het grootste object in de straat is 188 m², die van het kleinste bedraagt 107 m². Het gebouw waarin Dr. L. Th. Wietenstraat 21 ligt komt uit het jaar 1918. Objecten die gebouwd zijn vóór 1965 classificeren we hier als oud. Het nieuwste gebouw in de straat komt uit 1951 en het oudste uit 1915. Dit object is relatief oud. Het verblijfsobject heeft de volgende gebruiksdoelen: 'woonfunctie'.
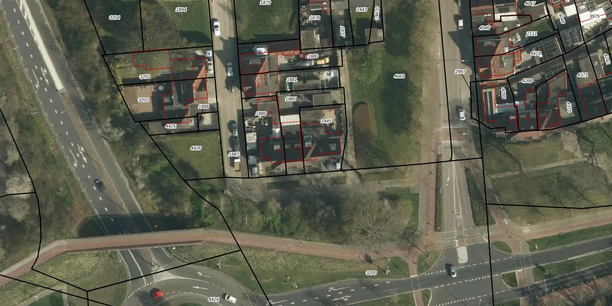
Het adres is gelegen op perceel 2445 in de sectie D en de kadastrale gemeente Brunssum. De kadastrale aanduiding is aldus BSM02-D-2445. Het perceel is kleiner dan gemiddeld in Brunssum. Het perceel is 303 m² groot, terwijl het gemiddelde ligt op 1350,21 m². Het kleinste perceel in de kadastrale gemeente is 0 m² groot. De grootste perceeloppervlakte is 75,6 ha. Op het perceel bevinden zich geen andere adressen. De huidige grenzen van het perceel zijn digitaal in de Basisregistratie Kadaster (BRK) geregistreerd op 02-04-2009.
Er is geen energielabel geregistreerd voor het adres. Het hoogste energielabel in de straat is C; het laagste is G. Het gemiddelde energielabel is er E. Het adres Dr. L. Th. Wietenstraat 21 heeft als status: 'verblijfsobject in gebruik'. Het pand waarin dit adres ligt heeft als status: 'pand in gebruik'.
Dr. L. Th. Wietenstraat 21 is een adres gelegen in de gemeente Brunssum, provincie Limburg. Dit adres is geregistreerd in de Basisregistratie Adressen en Gebouwen (BAG) met als unieke identificatie 0899010000267609.
Het pand op Dr. L. Th. Wietenstraat 21 is gebouwd in 1918, wat betekent dat het 108 jaar oud is. Dit is een ouder pand. Het pand heeft mogelijk aanzienlijke renovaties nodig om aan de huidige standaarden te voldoen.
De woning op Dr. L. Th. Wietenstraat 21 heeft een gebruiksoppervlakte van 176 m². Dit is ruim vergeleken met de gemiddelde Nederlandse woning, die een oppervlakte heeft van ongeveer 119 m². De gebruiksoppervlakte is de maat die wordt gebruikt in de BAG-registratie, de landelijke registratie van de Nederlandse overheid.
Dr. L. Th. Wietenstraat 21 heeft als functie: wonen. Deze gebruiksfunctie(s) zijn vastgelegd in de BAG-registratie en geven aan waarvoor het adres officieel mag worden gebruikt.
Dr. L. Th. Wietenstraat 21 is gelegen op kadastraal perceel BSM02D2445. Deze kadastrale aanduiding is uniek en wordt gebruikt door het Kadaster om eigendomsrechten en andere zakelijke rechten vast te leggen. Het perceel maakt onderdeel uit van de kadastrale gemeente Brunssum.
Het perceel waarop Dr. L. Th. Wietenstraat 21 staat heeft een oppervlakte van 303 m². Dit is een groot perceel. De perceeloppervlakte wordt geregistreerd door het Kadaster. Gedetailleerde informatie over de maten van dit perceel kunt u vinden in het rapport Kadastrale kaart met maatvoering van Dr. L. Th. Wietenstraat 21.
De eigenaar van Dr. L. Th. Wietenstraat 21 is op te vragen op deze pagina.
De informatie over dit adres is afkomstig uit officiële overheidsregistraties, voornamelijk de Basisregistratie Adressen en Gebouwen (BAG) en de Basisregistratie Kadaster (BRK). Deze gegevens worden beheerd door respectievelijk gemeenten en het Kadaster, en worden regelmatig bijgewerkt. Energielabelgegevens komen uit de database van de Rijksdienst voor Ondernemend Nederland (RVO).
