Product Functies Prijzen Meer

Adressen

Gebruik de zoekbalk of klik op een perceel voor informatie over de adressen binnen dit perceel.
Locatie
Meten
Lagen
Download

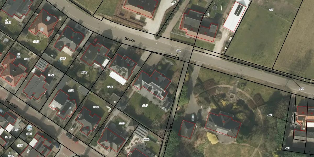
Bosch 32

6021AP, Budel

€ 1519312 Wat moet ik bieden voor deze woning?
377 m²
woonfunctie
1.337 m² perceeloppervlakte
A

Bosch 32 is gelegen in de plaats Budel, de gemeente Cranendonck en de provincie Noord-Brabant. De oppervlakte bedraagt 377 m², waarmee het adres groter dan gemiddeld is. De grootte van het perceel waarop het adres ligt is 1337 m². In vergelijking met de andere adressen in de straat is de oppervlakte van dit object relatief groot. Het grootste verblijfsobject heeft een oppervlakte van 3709 m², de oppervlakte van het kleinste object bedraagt 56 m². Het pand waarin Bosch 32 ligt is gebouwd in het jaar 1999. Panden die gebouwd zijn na het jaar 1984 noemen we hier relatief nieuw. Veel andere gebouwen in de straat zijn ouder dan dit pand. Het oudste pand komt uit het jaar 1832 en het nieuwste uit 2024. Het verblijfsobject heeft de volgende gebruiksdoelen: 'woonfunctie'.

Verkoopdata beschikbaar

Deze woning is voor het laatst verkocht op 1 oktober 2014. Meer informatie over deze transactie? Bestel het Woningtransactierapport om de verkoopprijs en andere informatie te zien.

Perceel

Het perceel waarop het adres ligt is BDL02-K-1047. De afkorting 'BDL02' staat voor kadastrale gemeente Budel. Het perceel is kleiner dan gemiddeld in Budel. Het perceel is 1337 m² groot, terwijl het gemiddelde ligt op 4698,32 m². Het kleinste perceel in de kadastrale gemeente is 0 m² groot. De grootste perceeloppervlakte is 1,97 km². Er zijn geen andere adressen aanwezig op het perceel. De laatste wijziging in het de Basisregistratie Kadaster (BRK) was op 15-01-2008.

Energielabel en status

Het adres ligt in een gebouw van het type 'vrijstaande woning'. Bij de laatste meting is voor het adres het energielabel A geregistreerd. Het hoogste energielabel in de straat is A; het laagste is G. Het gemiddelde energielabel is er C. Het adres Bosch 32 heeft als status: 'verblijfsobject in gebruik'. Het pand waarin dit adres ligt heeft als status: 'pand in gebruik'.

Meer lezen

Adres

Gebruiksoppervlakte
377 m²
Bruto vloeroppervlakte
qH BKmNuUpgrade naar KadastraleKaart Pro
Gebruiksdoel(en)
Woonfunctie
Status
Verblijfsobject in gebruik
Type
Vrijstaande woning
Gasloos
mwXD03Bt6bRpMmOrgx2 BGUpgrade naar KadastraleKaart Pro
Gebeurtenissen
Appartementsrechten
in4U3YNgaccVXHKUpgrade naar KadastraleKaart Pro
Eigenaar
Eigendomsinformatie 12,95
Adresinformatie bestellen
Adrespakket 34,95
VBO ID
1706010000010442
Woning laatst verkocht in
2014 -
Verkoopprijs opvragen 8,95

Pand

Bouwjaar pand
1999
Aantal adressen in dit gebouw
1 adres
Hoogte pand
UZ26z73d 1tnY94bMJbeDHUpgrade naar KadastraleKaart Pro
Aantal bouwlagen (schatting)
HMmW9zw8hhUpgrade naar KadastraleKaart Pro
Volume
F6R9ZxbOzALuz c5U o4Upgrade naar KadastraleKaart Pro
Oppervlakte dak
H5BFr q5PgIX aa 8Upgrade naar KadastraleKaart Pro
Oppervlakte buitenmuur
swqthrXor AAylPWUpgrade naar KadastraleKaart Pro
Status pand
Pand in gebruik
Pand ID
1706100000056935

Perceel

Kadastrale aanduiding
Budel K 1047 (BDL02 K 1047)
Oppervlakte
1.337 m²
Maatvoering
Kadastrale kaart met maatvoering 59,95
Omtrek
152 meter
Datum laatst gewijzigd
15/01/2008
Aantal adressen op perceel
1
Hoogte boven N.A.P.
1bXfy3x6j Gt HUpgrade naar KadastraleKaart Pro

Veelgestelde vragen

Bosch 32 is een adres gelegen in de gemeente Cranendonck, provincie Noord-Brabant. Dit adres is geregistreerd in de Basisregistratie Adressen en Gebouwen (BAG) met als unieke identificatie 1706010000010442.

Het pand op Bosch 32 is gebouwd in 1999, wat betekent dat het 27 jaar oud is. Dit is een pand van middelbare leeftijd. Het pand is van gemiddelde leeftijd en zal waarschijnlijk verouderde elementen bevatten.

De woning op Bosch 32 heeft een gebruiksoppervlakte van 377 m². Dit is ruim vergeleken met de gemiddelde Nederlandse woning, die een oppervlakte heeft van ongeveer 119 m². De gebruiksoppervlakte is de maat die wordt gebruikt in de BAG-registratie, de landelijke registratie van de Nederlandse overheid.

Bosch 32 heeft als functie: wonen. Deze gebruiksfunctie(s) zijn vastgelegd in de BAG-registratie en geven aan waarvoor het adres officieel mag worden gebruikt.

Bosch 32 is gelegen op kadastraal perceel BDL02K1047. Deze kadastrale aanduiding is uniek en wordt gebruikt door het Kadaster om eigendomsrechten en andere zakelijke rechten vast te leggen. Het perceel maakt onderdeel uit van de kadastrale gemeente Budel.

Het perceel waarop Bosch 32 staat heeft een oppervlakte van 1337 m². Dit is een zeer groot perceel. De perceeloppervlakte wordt geregistreerd door het Kadaster. Gedetailleerde informatie over de maten van dit perceel kunt u vinden in het rapport Kadastrale kaart met maatvoering van Bosch 32.

De eigenaar van Bosch 32 is op te vragen op deze pagina.

De informatie over dit adres is afkomstig uit officiële overheidsregistraties, voornamelijk de Basisregistratie Adressen en Gebouwen (BAG) en de Basisregistratie Kadaster (BRK). Deze gegevens worden beheerd door respectievelijk gemeenten en het Kadaster, en worden regelmatig bijgewerkt. Energielabelgegevens komen uit de database van de Rijksdienst voor Ondernemend Nederland (RVO).

Maatvoeringsrapport

Wie is de eigenaar?

Bekijk de eigenaar van Bosch 32 met de eigendomsinformatie.
Bekijk de eigenaar van dit adres.
Maatvoeringsrapport

Maatvoering van het perceel

Bestel de maatvoering voor Bosch 32 met het maatvoeringsrapport.
Bestel de maatvoering voor dit adres.

360°-foto's van de omgeving

Google Street View
Upgrade nu voor 360° Street View foto's

Zon en schaduw rondom adres

Buurt
Verspreide huizen in het Oosten
Inwoners: 415
Woningen: 51
Wijk
Wijk 00 Budel
Inwoners: 9.520
Woningen: 4.237
Gemeente
Cranendonck
Inwoners: 20.841
Woningen: 9.113