
Het adres Nieuwedijk 13 bevindt zich in de plaats Budel, in de gemeente Budel en de provincie Noord-Brabant. Het object heeft een oppervlakte van 178 m², wat relatief groot is. Het perceel waarop het adres ligt is 2215 m² groot. Het object is klein ten opzichte van de andere adressen in de straat. Het grootste verblijfsobject is 2792 m² groot en het kleinste is 51 m². Het adres Nieuwedijk 13 ligt in een relatief oud pand uit het jaar 1920. Panden van vóór het jaar 1965 hebben we hier geclassificeerd als oud. Het bouwjaar is oud vergeleken met dat van de andere panden in de straat. Het oudste bouwjaar is er 1884 en de nieuwste is 2011. De volgende gebruiksdoelen zijn geregistreerd voor dit adres: 'woonfunctie'.
Deze woning is voor het laatst verkocht op 1 oktober 2013. Meer informatie over deze transactie? Bestel het Woningtransactierapport om de verkoopprijs en andere informatie te zien.
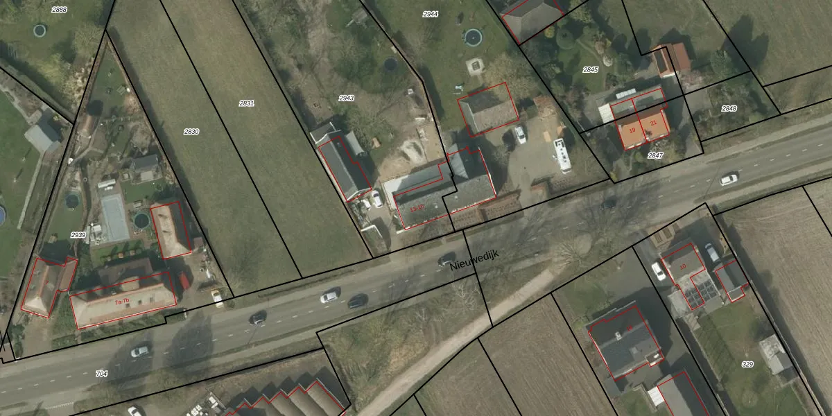
Het perceel waarop het adres ligt is BDL02-A-2943. De afkorting 'BDL02' staat voor kadastrale gemeente Budel. Het perceel is 2215 m² groot. Dat is kleiner dan de gemiddelde perceeloppervlakte in Budel, dat op 4697,23 m² ligt. De grootste perceeloppervlakte in de kadastrale gemeente is 1,97 km². De kleinste oppervlakte bedraagt 0 m². Dit is het enige adres dat aanwezig is op het perceel. In de Basisregistratie Kadaster (BRK) werden de grenzen van het perceel geregistreerd op 09-07-2012.
Er is geen energielabel geregistreerd voor het adres. Het hoogste energielabel in de straat is A+; het laagste is G. Het gemiddelde energielabel is er C. Het adres Nieuwedijk 13 heeft als status: 'verblijfsobject in gebruik'. Het pand waarin dit adres ligt heeft als status: 'pand in gebruik'.
Nieuwedijk 13 is een adres gelegen in de gemeente Cranendonck, provincie Noord-Brabant. Dit adres is geregistreerd in de Basisregistratie Adressen en Gebouwen (BAG) met als unieke identificatie 1706010000015979.
Het pand op Nieuwedijk 13 is gebouwd in 1920, wat betekent dat het 106 jaar oud is. Dit is een ouder pand. Het pand heeft mogelijk aanzienlijke renovaties nodig om aan de huidige standaarden te voldoen.
De woning op Nieuwedijk 13 heeft een gebruiksoppervlakte van 178 m². Dit is ruim vergeleken met de gemiddelde Nederlandse woning, die een oppervlakte heeft van ongeveer 119 m². De gebruiksoppervlakte is de maat die wordt gebruikt in de BAG-registratie, de landelijke registratie van de Nederlandse overheid.
Nieuwedijk 13 heeft als functie: wonen. Deze gebruiksfunctie(s) zijn vastgelegd in de BAG-registratie en geven aan waarvoor het adres officieel mag worden gebruikt.
Nieuwedijk 13 is gelegen op kadastraal perceel BDL02A2943. Deze kadastrale aanduiding is uniek en wordt gebruikt door het Kadaster om eigendomsrechten en andere zakelijke rechten vast te leggen. Het perceel maakt onderdeel uit van de kadastrale gemeente Budel.
Het perceel waarop Nieuwedijk 13 staat heeft een oppervlakte van 2215 m². Dit is een zeer groot perceel. De perceeloppervlakte wordt geregistreerd door het Kadaster. Gedetailleerde informatie over de maten van dit perceel kunt u vinden in het rapport Kadastrale kaart met maatvoering van Nieuwedijk 13.
De eigenaar van Nieuwedijk 13 is op te vragen op deze pagina.
De informatie over dit adres is afkomstig uit officiële overheidsregistraties, voornamelijk de Basisregistratie Adressen en Gebouwen (BAG) en de Basisregistratie Kadaster (BRK). Deze gegevens worden beheerd door respectievelijk gemeenten en het Kadaster, en worden regelmatig bijgewerkt. Energielabelgegevens komen uit de database van de Rijksdienst voor Ondernemend Nederland (RVO).
