
Het adres Bosrand 35-b bevindt zich in de plaats Buren, in de gemeente Buren en de provincie Friesland. Het perceel waarop het adres gelegen is heeft een oppervlakte van 1253 m². Het verblijfsobject is met 9 m² relatief klein. In de straat is dit het kleinste object. Het grootste verblijfsobject heeft een oppervlakte van 282 m². De gemiddelde grootte is er 143 m². Het adres Bosrand 35-b ligt in een relatief oud pand uit het jaar 1961. Panden van vóór het jaar 1965 hebben we hier geclassificeerd als oud. Het bouwjaar is oud vergeleken met dat van de andere panden in de straat. Het oudste bouwjaar is er 1952 en de nieuwste is 2026. Voor het verblijfsobject gelden deze gebruiksdoelen: 'overige gebruiksfunctie'.
Deze woning is voor het laatst verkocht op 1 april 2014. Meer informatie over deze transactie? Bestel het Woningtransactierapport om de verkoopprijs en andere informatie te zien.
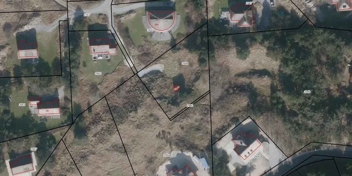
Het perceel waarop het adres ligt is NES01-B-2644. De afkorting 'NES01' staat voor kadastrale gemeente Nes Ameland. De gemiddelde perceelgrootte in Nes Ameland is 7,0 ha. Dit perceel is kleiner: de perceeloppervlakte bedraagt 1253 m². De grootste perceeloppervlakte in de kadastrale gemeente is 58,73 km². De kleinste oppervlakte bedraagt 1 m². Dit is het enige adres dat aanwezig is op het perceel. In de Basisregistratie Kadaster (BRK) werden de grenzen van het perceel geregistreerd op 07-12-2017.
Er is geen energielabel geregistreerd voor het adres. Het hoogste energielabel in de straat is A++; het laagste is G. Het gemiddelde energielabel is er C. Het adres Bosrand 35-b heeft als status: 'verblijfsobject in gebruik'. Het pand waarin dit adres ligt heeft als status: 'pand in gebruik'.
Bosrand 35-b is een adres gelegen in de gemeente Ameland, provincie Friesland. Dit adres is geregistreerd in de Basisregistratie Adressen en Gebouwen (BAG) met als unieke identificatie 0060010000135920.
Het pand op Bosrand 35-b is gebouwd in 1961, wat betekent dat het 65 jaar oud is. Dit is een ouder pand. Het pand heeft mogelijk aanzienlijke renovaties nodig om aan de huidige standaarden te voldoen.
De woning op Bosrand 35-b heeft een gebruiksoppervlakte van 9 m². Dit is relatief klein vergeleken met de gemiddelde Nederlandse woning, die een oppervlakte heeft van ongeveer 119 m². De gebruiksoppervlakte is de maat die wordt gebruikt in de BAG-registratie, de landelijke registratie van de Nederlandse overheid.
Bosrand 35-b heeft als functie: overige doeleinden. Deze gebruiksfunctie(s) zijn vastgelegd in de BAG-registratie en geven aan waarvoor het adres officieel mag worden gebruikt.
Bosrand 35-b is gelegen op kadastraal perceel NES01B2644. Deze kadastrale aanduiding is uniek en wordt gebruikt door het Kadaster om eigendomsrechten en andere zakelijke rechten vast te leggen. Het perceel maakt onderdeel uit van de kadastrale gemeente Nes Ameland.
Het perceel waarop Bosrand 35-b staat heeft een oppervlakte van 1253 m². Dit is een zeer groot perceel. De perceeloppervlakte wordt geregistreerd door het Kadaster. Gedetailleerde informatie over de maten van dit perceel kunt u vinden in het rapport Kadastrale kaart met maatvoering van Bosrand 35-b.
De eigenaar van Bosrand 35-b is op te vragen op deze pagina.
De informatie over dit adres is afkomstig uit officiële overheidsregistraties, voornamelijk de Basisregistratie Adressen en Gebouwen (BAG) en de Basisregistratie Kadaster (BRK). Deze gegevens worden beheerd door respectievelijk gemeenten en het Kadaster, en worden regelmatig bijgewerkt. Energielabelgegevens komen uit de database van de Rijksdienst voor Ondernemend Nederland (RVO).
