
Willemspad 4 is gelegen in de plaats Buren, de gemeente Ameland en de provincie Friesland. De oppervlakte van het adres is 122 m². Dat is vergelijkbaar met het gemiddelde Nederlandse oppervlakte van 119 m². De oppervlakte van het perceel waarin het adres ligt is 1060 m². Het object is klein ten opzichte van de andere adressen in de straat. Het grootste verblijfsobject is 251 m² groot en het kleinste is 61 m². De meeste Nederlandse gebouwen zijn gebouwd in de periode 1965-1984. Zo ook het pand waarin Willemspad 4 ligt, dat gebouwd is in 1970. Het nieuwste gebouw in de straat komt uit 2022 en het oudste uit 1955. Dit object is relatief oud. Voor het verblijfsobject gelden deze gebruiksdoelen: 'logiesfunctie'.
Deze woning is voor het laatst verkocht op 1 december 2007. Meer informatie over deze transactie? Bestel het Woningtransactierapport om de verkoopprijs en andere informatie te zien.
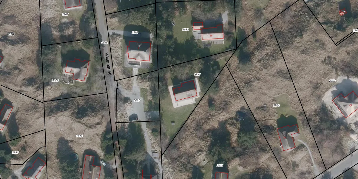
Het perceel waarop het adres ligt is NES01-B-2447. De afkorting 'NES01' staat voor kadastrale gemeente Nes Ameland. De gemiddelde perceelgrootte in Nes Ameland is 7,0 ha. Dit perceel is kleiner: de perceeloppervlakte bedraagt 1060 m². De grootste perceeloppervlakte in de kadastrale gemeente is 58,73 km². De kleinste oppervlakte bedraagt 1 m². Op het perceel bevinden zich geen andere adressen. De laatste wijziging in het de Basisregistratie Kadaster (BRK) was op 05-05-2022.
Er is geen energielabel geregistreerd voor het adres. Het hoogste energielabel in de straat is F; het laagste is G. Het gemiddelde energielabel is er F. Het adres Willemspad 4 heeft als status: 'verblijfsobject in gebruik'. Het pand waarin dit adres ligt heeft als status: 'pand in gebruik'.
Willemspad 4 is een adres gelegen in de gemeente Ameland, provincie Friesland. Dit adres is geregistreerd in de Basisregistratie Adressen en Gebouwen (BAG) met als unieke identificatie 0060010000135394.
Het pand op Willemspad 4 is gebouwd in 1970, wat betekent dat het 56 jaar oud is. Dit is een ouder pand. Het pand heeft mogelijk aanzienlijke renovaties nodig om aan de huidige standaarden te voldoen.
De woning op Willemspad 4 heeft een gebruiksoppervlakte van 122 m². Dit is gemiddeld vergeleken met de gemiddelde Nederlandse woning, die een oppervlakte heeft van ongeveer 119 m². De gebruiksoppervlakte is de maat die wordt gebruikt in de BAG-registratie, de landelijke registratie van de Nederlandse overheid.
Willemspad 4 heeft als functie: logies/verblijf. Deze gebruiksfunctie(s) zijn vastgelegd in de BAG-registratie en geven aan waarvoor het adres officieel mag worden gebruikt.
Willemspad 4 is gelegen op kadastraal perceel NES01B2447. Deze kadastrale aanduiding is uniek en wordt gebruikt door het Kadaster om eigendomsrechten en andere zakelijke rechten vast te leggen. Het perceel maakt onderdeel uit van de kadastrale gemeente Nes Ameland.
Het perceel waarop Willemspad 4 staat heeft een oppervlakte van 1060 m². Dit is een zeer groot perceel. De perceeloppervlakte wordt geregistreerd door het Kadaster. Gedetailleerde informatie over de maten van dit perceel kunt u vinden in het rapport Kadastrale kaart met maatvoering van Willemspad 4.
De eigenaar van Willemspad 4 is op te vragen op deze pagina.
De informatie over dit adres is afkomstig uit officiële overheidsregistraties, voornamelijk de Basisregistratie Adressen en Gebouwen (BAG) en de Basisregistratie Kadaster (BRK). Deze gegevens worden beheerd door respectievelijk gemeenten en het Kadaster, en worden regelmatig bijgewerkt. Energielabelgegevens komen uit de database van de Rijksdienst voor Ondernemend Nederland (RVO).
