
Het adres Meester Bollplein 11 bevindt zich in de plaats Burgerbrug, in de gemeente Burgerbrug en de provincie Noord-Holland. De oppervlakte bedraagt 421 m², waarmee het adres groter dan gemiddeld is. De grootte van het perceel waarop het adres ligt is 5387 m². Dit is het grootste verblijfsobject. Gemiddeld hebben de objecten in de straat een oppervlakte van 219 m². Het kleinste verblijfsobject is er 129 m². In Nederland komt het grootste deel van de gebouwen uit de periode 1965-1984. Ook het bouwjaar van Meester Bollplein 11 is afkomstig uit die periode: het betreft namelijk een pand uit 1970. Dit is het oudste object in de straat. Het nieuwste pand komt uit 1999 en het gemiddelde bouwjaar in de straat is 1994. Voor het verblijfsobject gelden deze gebruiksdoelen: 'bijeenkomstfunctie' en 'sportfunctie'.
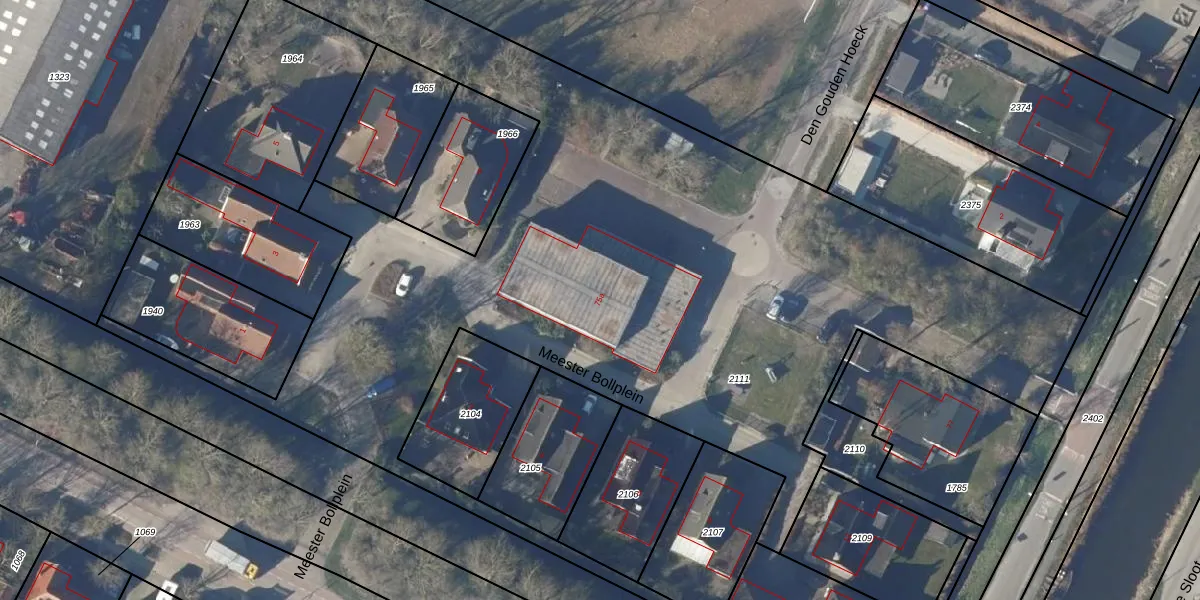
Het adres is gelegen op perceel 2111 in de sectie F en de kadastrale gemeente Zijpe. De kadastrale aanduiding is aldus ZPE00-F-2111. De gemiddelde perceelgrootte in Zijpe is 8442,09 m². Dit perceel is kleiner: de perceeloppervlakte bedraagt 5387 m². Het grootste perceel in de kadastrale gemeente is 9,43 km². Het kleinste perceel heeft een oppervlakte van 0 m². Er zijn geen andere adressen aanwezig op het perceel. In de Basisregistratie Kadaster (BRK) werden de grenzen van het perceel geregistreerd op 23-05-2017.
Er is geen energielabel geregistreerd voor het adres. Het hoogste energielabel in de straat is A; het laagste is G. Het gemiddelde energielabel is er B. Het adres Meester Bollplein 11 heeft als status: 'verblijfsobject in gebruik'. Het pand waarin dit adres ligt heeft als status: 'pand in gebruik'.
Meester Bollplein 11 is een adres gelegen in de gemeente Schagen, provincie Noord-Holland. Dit adres is geregistreerd in de Basisregistratie Adressen en Gebouwen (BAG) met als unieke identificatie 0476010000004728.
Het pand op Meester Bollplein 11 is gebouwd in 1970, wat betekent dat het 56 jaar oud is. Dit is een ouder pand. Het pand heeft mogelijk aanzienlijke renovaties nodig om aan de huidige standaarden te voldoen.
De woning op Meester Bollplein 11 heeft een gebruiksoppervlakte van 421 m². Dit is ruim vergeleken met de gemiddelde Nederlandse woning, die een oppervlakte heeft van ongeveer 119 m². De gebruiksoppervlakte is de maat die wordt gebruikt in de BAG-registratie, de landelijke registratie van de Nederlandse overheid.
Meester Bollplein 11 heeft als functie: bijeenkomsten en sport. Deze gebruiksfunctie(s) zijn vastgelegd in de BAG-registratie en geven aan waarvoor het adres officieel mag worden gebruikt.
Meester Bollplein 11 is gelegen op kadastraal perceel ZPE00F2111. Deze kadastrale aanduiding is uniek en wordt gebruikt door het Kadaster om eigendomsrechten en andere zakelijke rechten vast te leggen. Het perceel maakt onderdeel uit van de kadastrale gemeente Zijpe.
Het perceel waarop Meester Bollplein 11 staat heeft een oppervlakte van 5387 m². Dit is een zeer groot perceel. De perceeloppervlakte wordt geregistreerd door het Kadaster. Gedetailleerde informatie over de maten van dit perceel kunt u vinden in het rapport Kadastrale kaart met maatvoering van Meester Bollplein 11.
De eigenaar van Meester Bollplein 11 is op te vragen op deze pagina.
De informatie over dit adres is afkomstig uit officiële overheidsregistraties, voornamelijk de Basisregistratie Adressen en Gebouwen (BAG) en de Basisregistratie Kadaster (BRK). Deze gegevens worden beheerd door respectievelijk gemeenten en het Kadaster, en worden regelmatig bijgewerkt. Energielabelgegevens komen uit de database van de Rijksdienst voor Ondernemend Nederland (RVO).
