Product Functies Prijzen Meer

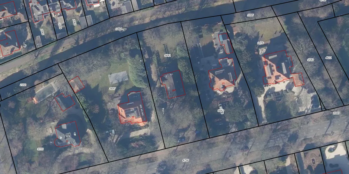
Adressen

Gebruik de zoekbalk of klik op een perceel voor informatie over de adressen binnen dit perceel.
Locatie
Meten
Lagen
Download

Brediusweg 39-A

1401AC, Bussum

€ 1519312 Wat moet ik bieden voor deze woning?
320 m²
woonfunctie
1.780 m² perceeloppervlakte
?

Brediusweg 39-A is gelegen in de plaats Bussum, de gemeente Gooise Meren en de provincie Noord-Holland. De oppervlakte van het verblijfsobject is met 320 m² aan de grote kant. Het perceel heeft een oppervlakte van 1780 m². In vergelijking met de andere adressen in de straat is de oppervlakte van dit object relatief groot. Het grootste verblijfsobject heeft een oppervlakte van 1373 m², de oppervlakte van het kleinste object bedraagt 3 m². In Nederland komt het grootste deel van de gebouwen uit de periode 1965-1984. Ook het bouwjaar van Brediusweg 39-A is afkomstig uit die periode: het betreft namelijk een pand uit 1978. Dit object is relatief nieuw in de straat. Het nieuwste gebouw komt er uit het jaar 2024 en het oudste uit het jaar 1909. Voor het verblijfsobject gelden deze gebruiksdoelen: 'woonfunctie'.

Verkoopdata beschikbaar

Deze woning is voor het laatst verkocht op 1 september 2011. Meer informatie over deze transactie? Bestel het Woningtransactierapport om de verkoopprijs en andere informatie te zien.

Perceel

Het perceel waarop het adres ligt is BSM01-B-5641. De afkorting 'BSM01' staat voor kadastrale gemeente Bussum. Het perceel is met 1780 m² relatief groot. Het gemiddelde ligt in de kadastrale gemeente Bussum op 594,06 m². Het grootste perceel in de kadastrale gemeente is 38,9 ha. Het kleinste perceel heeft een oppervlakte van 0 m². Op het perceel bevinden zich geen andere adressen. De laatste wijziging in het de Basisregistratie Kadaster (BRK) was op 13-08-2024.

Energielabel en status

Er is geen energielabel geregistreerd voor het adres. Het hoogste energielabel in de straat is A+++; het laagste is G. Het gemiddelde energielabel is er D. Het adres Brediusweg 39-A heeft als status: 'verblijfsobject in gebruik'. Het pand waarin dit adres ligt heeft als status: 'pand in gebruik'.

Meer lezen

Adres

Gebruiksoppervlakte
320 m²
Bruto vloeroppervlakte
5mKU4Vg6BzrmoEdR2qtUpgrade naar KadastraleKaart Pro
Gebruiksdoel(en)
Woonfunctie
Status
Verblijfsobject in gebruik
Type
Onbekend
Gasloos
E0S3LRzzx Upgrade naar KadastraleKaart Pro
Gebeurtenissen
Appartementsrechten
8KmB7Yqja4BKRZ7KIZZo9HUpgrade naar KadastraleKaart Pro
Eigenaar
Eigendomsinformatie 12,95
Adresinformatie bestellen
Adrespakket 34,95
VBO ID
0381010000022755
Woning laatst verkocht in
2011 -
Verkoopprijs opvragen 8,95

Pand

Bouwjaar pand
1978
Aantal adressen in dit gebouw
1 adres
Hoogte pand
aP dcFCaUpgrade naar KadastraleKaart Pro
Aantal bouwlagen (schatting)
DHO IfCBm Upgrade naar KadastraleKaart Pro
Volume
pNcXjzJr4vk9 8gePKwNnUpgrade naar KadastraleKaart Pro
Oppervlakte dak
2IPAQiFn6FPVXExsPdS Upgrade naar KadastraleKaart Pro
Oppervlakte buitenmuur
DW LZy NyQ3afxcb ZpoIUpgrade naar KadastraleKaart Pro
Status pand
Pand in gebruik
Pand ID
0381100000115019

Perceel

Kadastrale aanduiding
Bussum B 5641 (BSM01 B 5641)
Oppervlakte
1.780 m²
Maatvoering
Kadastrale kaart met maatvoering 59,95
Omtrek
190 meter
Datum laatst gewijzigd
13/08/2024
Aantal adressen op perceel
1
Hoogte boven N.A.P.
bPC wxO4Upgrade naar KadastraleKaart Pro

Veelgestelde vragen

Brediusweg 39-A is een adres gelegen in de gemeente Gooise Meren, provincie Noord-Holland. Dit adres is geregistreerd in de Basisregistratie Adressen en Gebouwen (BAG) met als unieke identificatie 0381010000022755.

Het pand op Brediusweg 39-A is gebouwd in 1978, wat betekent dat het 48 jaar oud is. Dit is een pand van middelbare leeftijd. Het pand is van gemiddelde leeftijd en zal waarschijnlijk verouderde elementen bevatten.

De woning op Brediusweg 39-A heeft een gebruiksoppervlakte van 320 m². Dit is ruim vergeleken met de gemiddelde Nederlandse woning, die een oppervlakte heeft van ongeveer 119 m². De gebruiksoppervlakte is de maat die wordt gebruikt in de BAG-registratie, de landelijke registratie van de Nederlandse overheid.

Brediusweg 39-A heeft als functie: wonen. Deze gebruiksfunctie(s) zijn vastgelegd in de BAG-registratie en geven aan waarvoor het adres officieel mag worden gebruikt.

Brediusweg 39-A is gelegen op kadastraal perceel BSM01B5641. Deze kadastrale aanduiding is uniek en wordt gebruikt door het Kadaster om eigendomsrechten en andere zakelijke rechten vast te leggen. Het perceel maakt onderdeel uit van de kadastrale gemeente Bussum.

Het perceel waarop Brediusweg 39-A staat heeft een oppervlakte van 1780 m². Dit is een zeer groot perceel. De perceeloppervlakte wordt geregistreerd door het Kadaster. Gedetailleerde informatie over de maten van dit perceel kunt u vinden in het rapport Kadastrale kaart met maatvoering van Brediusweg 39-A.

De eigenaar van Brediusweg 39-A is op te vragen op deze pagina.

De informatie over dit adres is afkomstig uit officiële overheidsregistraties, voornamelijk de Basisregistratie Adressen en Gebouwen (BAG) en de Basisregistratie Kadaster (BRK). Deze gegevens worden beheerd door respectievelijk gemeenten en het Kadaster, en worden regelmatig bijgewerkt. Energielabelgegevens komen uit de database van de Rijksdienst voor Ondernemend Nederland (RVO).

Maatvoeringsrapport

Wie is de eigenaar?

Bekijk de eigenaar van Brediusweg 39-A met de eigendomsinformatie.
Bekijk de eigenaar van dit adres.
Maatvoeringsrapport

Maatvoering van het perceel

Bestel de maatvoering voor Brediusweg 39-A met het maatvoeringsrapport.
Bestel de maatvoering voor dit adres.

360°-foto's van de omgeving

Google Street View
Upgrade nu voor 360° Street View foto's

Zon en schaduw rondom adres

Buurt
Bredius-Oost
Inwoners: 950
Woningen: 430
Wijk
Brediuskwartier
Inwoners: 3.925
Woningen: 1.635
Gemeente
Gooise Meren
Inwoners: 60.370
Woningen: 27.037