
Claudiagaarde 100 is een adres in Bussum, dat zich bevindt binnen de gemeentegrenzen van Bussum en de grenzen van de provincie Noord-Holland. Het verblijfsobject is vergeleken met het Nederlandse gemiddelde aan de kleine kant: de oppervlakte is 41 m². Het perceel waarop het adres zich bevindt heeft een oppervlakte van 866 m². Het object is klein ten opzichte van de andere adressen in de straat. Het grootste verblijfsobject is 165 m² groot en het kleinste is 16 m². De gemiddelde bouwperiode van gebouwen in Nederland ligt tussen de jaren 1965-1984. Dat geldt ook voor het bouwjaar van Claudiagaarde 100: het is gebouwd in het jaar 1969. Dit pand is het meest recent exemplaar in de straat. Het oudste object komt er uit 1964 en het gemiddelde bouwjaar is 1967. De volgende gebruiksdoelen zijn geregistreerd voor dit adres: 'woonfunctie'.
Deze woning is voor het laatst verkocht op 1 oktober 2014. Meer informatie over deze transactie? Bestel het Woningtransactierapport om de verkoopprijs en andere informatie te zien.
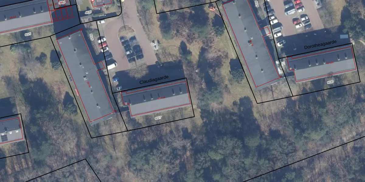
Het perceel waarop het adres ligt is BSM01-D-6027. De afkorting 'BSM01' staat voor kadastrale gemeente Bussum. De oppervlakte van het perceel is 866 m². Dat is groter dan gemiddeld in Bussum, waar de gemiddelde perceeloppervlakte op 593,97 m² ligt. Het kleinste perceel in de kadastrale gemeente is 0 m² groot. De grootste perceeloppervlakte is 38,9 ha. Op het perceel liggen in totaal 20 adressen. De huidige grenzen van het perceel zijn digitaal in de Basisregistratie Kadaster (BRK) geregistreerd op 29-11-2005.
Er is geen energielabel geregistreerd voor het adres. Het hoogste energielabel in de straat is A; het laagste is G. Het gemiddelde energielabel is er D. Het adres Claudiagaarde 100 heeft als status: 'verblijfsobject in gebruik'. Het pand waarin dit adres ligt heeft als status: 'pand in gebruik'.
Claudiagaarde 100 is een adres gelegen in de gemeente Gooise Meren, provincie Noord-Holland. Dit adres is geregistreerd in de Basisregistratie Adressen en Gebouwen (BAG) met als unieke identificatie 0381010000023440.
Het pand op Claudiagaarde 100 is gebouwd in 1969, wat betekent dat het 57 jaar oud is. Dit is een ouder pand. Het pand heeft mogelijk aanzienlijke renovaties nodig om aan de huidige standaarden te voldoen.
De woning op Claudiagaarde 100 heeft een gebruiksoppervlakte van 41 m². Dit is relatief klein vergeleken met de gemiddelde Nederlandse woning, die een oppervlakte heeft van ongeveer 119 m². De gebruiksoppervlakte is de maat die wordt gebruikt in de BAG-registratie, de landelijke registratie van de Nederlandse overheid.
Claudiagaarde 100 heeft als functie: wonen. Deze gebruiksfunctie(s) zijn vastgelegd in de BAG-registratie en geven aan waarvoor het adres officieel mag worden gebruikt.
Claudiagaarde 100 is gelegen op kadastraal perceel BSM01D6027. Deze kadastrale aanduiding is uniek en wordt gebruikt door het Kadaster om eigendomsrechten en andere zakelijke rechten vast te leggen. Het perceel maakt onderdeel uit van de kadastrale gemeente Bussum.
Het perceel waarop Claudiagaarde 100 staat heeft een oppervlakte van 866 m². Dit is een groot perceel. De perceeloppervlakte wordt geregistreerd door het Kadaster. Gedetailleerde informatie over de maten van dit perceel kunt u vinden in het rapport Kadastrale kaart met maatvoering van Claudiagaarde 100.
De eigenaar van Claudiagaarde 100 is op te vragen op deze pagina.
De informatie over dit adres is afkomstig uit officiële overheidsregistraties, voornamelijk de Basisregistratie Adressen en Gebouwen (BAG) en de Basisregistratie Kadaster (BRK). Deze gegevens worden beheerd door respectievelijk gemeenten en het Kadaster, en worden regelmatig bijgewerkt. Energielabelgegevens komen uit de database van de Rijksdienst voor Ondernemend Nederland (RVO).
