
Dorotheagaarde 98 is een adres in Bussum, dat zich bevindt binnen de gemeentegrenzen van Bussum en de grenzen van de provincie Noord-Holland. De oppervlakte van het object bedraagt 41 m². Dat is klein vergeleken met het Nederlandse gemiddelde. Het perceel waarop het adres ligt is 866 m² groot. Het object is klein ten opzichte van de andere adressen in de straat. Het grootste verblijfsobject is 164 m² groot en het kleinste is 16 m². In Nederland komt het grootste deel van de gebouwen uit de periode 1965-1984. Ook het bouwjaar van Dorotheagaarde 98 is afkomstig uit die periode: het betreft namelijk een pand uit 1969. In de straat komt het nieuwste gebouw uit het jaar 2005 en het oudste uit 1968. Het bouwjaar van dit object is relatief oud. De volgende gebruiksdoelen zijn geregistreerd voor dit adres: 'woonfunctie'.
Deze woning is voor het laatst verkocht op 1 april 2020. Meer informatie over deze transactie? Bestel het Woningtransactierapport om de verkoopprijs en andere informatie te zien.
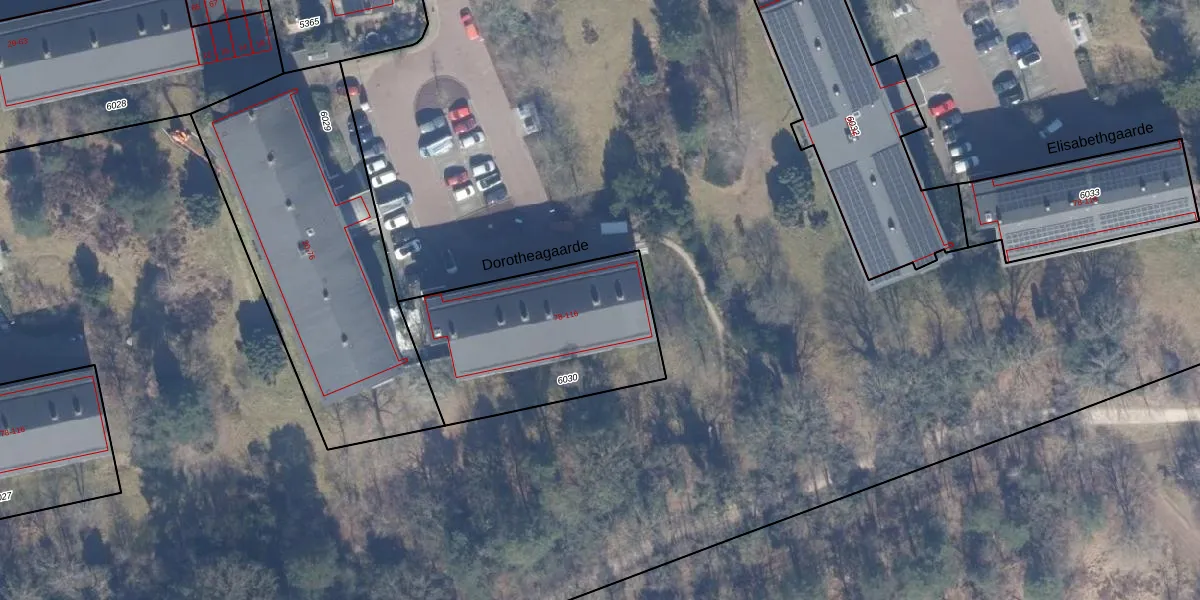
Het perceel waarop het adres ligt is BSM01-D-6030. De afkorting 'BSM01' staat voor kadastrale gemeente Bussum. De oppervlakte van het perceel is 866 m². Dat is groter dan gemiddeld in Bussum, waar de gemiddelde perceeloppervlakte op 593,92 m² ligt. Het grootste perceel in de kadastrale gemeente is 38,9 ha. Het kleinste perceel heeft een oppervlakte van 0 m². Op het perceel zijn 20 adressen aanwezig. De huidige grenzen van het perceel zijn digitaal in de Basisregistratie Kadaster (BRK) geregistreerd op 29-11-2005.
Het adres ligt in een gebouw van het type 'flatwoning (overig) met het subtype tussendak'. Bij de laatste meting is voor het adres het energielabel E geregistreerd. Het hoogste energielabel in de straat is A; het laagste is G. Het gemiddelde energielabel is er C. Het adres Dorotheagaarde 98 heeft als status: 'verblijfsobject in gebruik'. Het pand waarin dit adres ligt heeft als status: 'pand in gebruik'.
Dorotheagaarde 98 is een adres gelegen in de gemeente Gooise Meren, provincie Noord-Holland. Dit adres is geregistreerd in de Basisregistratie Adressen en Gebouwen (BAG) met als unieke identificatie 0381010000024462.
Het pand op Dorotheagaarde 98 is gebouwd in 1969, wat betekent dat het 57 jaar oud is. Dit is een ouder pand. Het pand heeft mogelijk aanzienlijke renovaties nodig om aan de huidige standaarden te voldoen.
De woning op Dorotheagaarde 98 heeft een gebruiksoppervlakte van 41 m². Dit is relatief klein vergeleken met de gemiddelde Nederlandse woning, die een oppervlakte heeft van ongeveer 119 m². De gebruiksoppervlakte is de maat die wordt gebruikt in de BAG-registratie, de landelijke registratie van de Nederlandse overheid.
Dorotheagaarde 98 heeft als functie: wonen. Deze gebruiksfunctie(s) zijn vastgelegd in de BAG-registratie en geven aan waarvoor het adres officieel mag worden gebruikt.
Dorotheagaarde 98 is gelegen op kadastraal perceel BSM01D6030. Deze kadastrale aanduiding is uniek en wordt gebruikt door het Kadaster om eigendomsrechten en andere zakelijke rechten vast te leggen. Het perceel maakt onderdeel uit van de kadastrale gemeente Bussum.
Het perceel waarop Dorotheagaarde 98 staat heeft een oppervlakte van 866 m². Dit is een groot perceel. De perceeloppervlakte wordt geregistreerd door het Kadaster. Gedetailleerde informatie over de maten van dit perceel kunt u vinden in het rapport Kadastrale kaart met maatvoering van Dorotheagaarde 98.
De eigenaar van Dorotheagaarde 98 is op te vragen op deze pagina.
De informatie over dit adres is afkomstig uit officiële overheidsregistraties, voornamelijk de Basisregistratie Adressen en Gebouwen (BAG) en de Basisregistratie Kadaster (BRK). Deze gegevens worden beheerd door respectievelijk gemeenten en het Kadaster, en worden regelmatig bijgewerkt. Energielabelgegevens komen uit de database van de Rijksdienst voor Ondernemend Nederland (RVO).
