
Elisabethgaarde 110 is gelegen in de plaats Bussum, de gemeente Gooise Meren en de provincie Noord-Holland. Het verblijfsobject is vergeleken met het Nederlandse gemiddelde aan de kleine kant: de oppervlakte is 23 m². Het perceel waarop het adres zich bevindt heeft een oppervlakte van 520 m². Het object is klein ten opzichte van de andere adressen in de straat. Het grootste verblijfsobject is 195 m² groot en het kleinste is 16 m². De gemiddelde bouwperiode van gebouwen in Nederland ligt tussen de jaren 1965-1984. Dat geldt ook voor het bouwjaar van Elisabethgaarde 110: het is gebouwd in het jaar 1969. Het nieuwste gebouw in de straat komt uit 1970 en het oudste uit 1968. Dit object is relatief oud. Het verblijfsobject heeft de volgende gebruiksdoelen: 'overige gebruiksfunctie'.
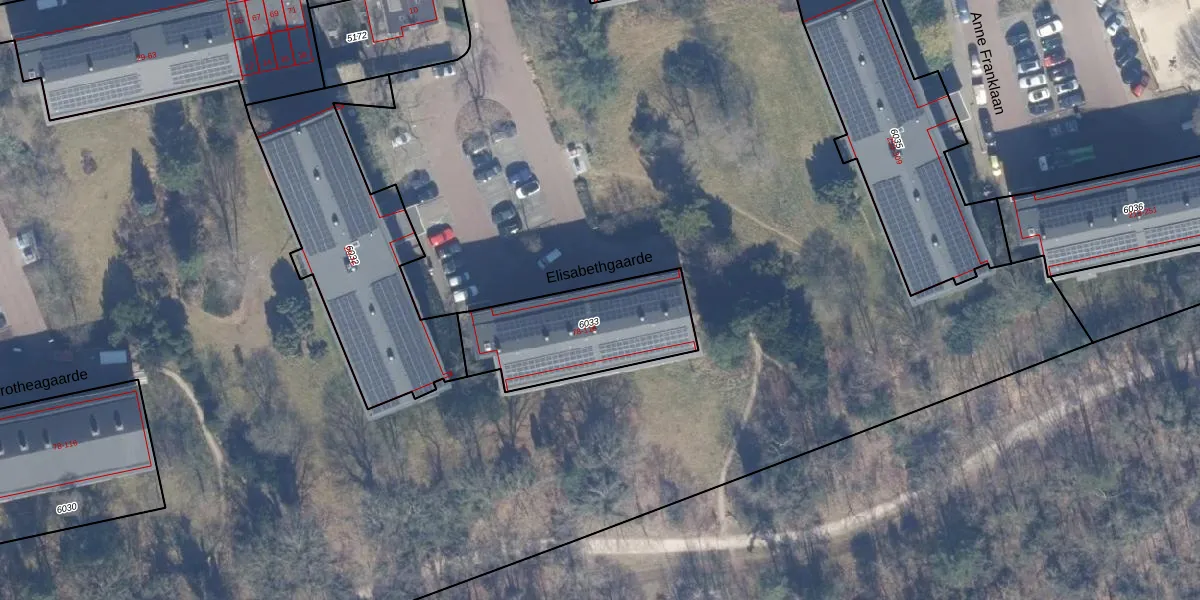
Het perceel waarop het adres ligt is BSM01-D-6033. De afkorting 'BSM01' staat voor kadastrale gemeente Bussum. Het perceel is kleiner dan gemiddeld in Bussum. Het perceel is 520 m² groot, terwijl het gemiddelde ligt op 593,97 m². Het kleinste perceel in de kadastrale gemeente is 0 m² groot. De grootste perceeloppervlakte is 38,9 ha. Op het perceel liggen in totaal 20 adressen. De laatste wijziging in het de Basisregistratie Kadaster (BRK) was op 29-11-2005.
Er is geen energielabel geregistreerd voor het adres. Het hoogste energielabel in de straat is A+; het laagste is G. Het gemiddelde energielabel is er B. Het adres Elisabethgaarde 110 heeft als status: 'verblijfsobject in gebruik'. Het pand waarin dit adres ligt heeft als status: 'pand in gebruik'.
Elisabethgaarde 110 is een adres gelegen in de gemeente Gooise Meren, provincie Noord-Holland. Dit adres is geregistreerd in de Basisregistratie Adressen en Gebouwen (BAG) met als unieke identificatie 0381010000028424.
Het pand op Elisabethgaarde 110 is gebouwd in 1969, wat betekent dat het 57 jaar oud is. Dit is een ouder pand. Het pand heeft mogelijk aanzienlijke renovaties nodig om aan de huidige standaarden te voldoen.
De woning op Elisabethgaarde 110 heeft een gebruiksoppervlakte van 23 m². Dit is relatief klein vergeleken met de gemiddelde Nederlandse woning, die een oppervlakte heeft van ongeveer 119 m². De gebruiksoppervlakte is de maat die wordt gebruikt in de BAG-registratie, de landelijke registratie van de Nederlandse overheid.
Elisabethgaarde 110 heeft als functie: overige doeleinden. Deze gebruiksfunctie(s) zijn vastgelegd in de BAG-registratie en geven aan waarvoor het adres officieel mag worden gebruikt.
Elisabethgaarde 110 is gelegen op kadastraal perceel BSM01D6033. Deze kadastrale aanduiding is uniek en wordt gebruikt door het Kadaster om eigendomsrechten en andere zakelijke rechten vast te leggen. Het perceel maakt onderdeel uit van de kadastrale gemeente Bussum.
Het perceel waarop Elisabethgaarde 110 staat heeft een oppervlakte van 520 m². Dit is een groot perceel. De perceeloppervlakte wordt geregistreerd door het Kadaster. Gedetailleerde informatie over de maten van dit perceel kunt u vinden in het rapport Kadastrale kaart met maatvoering van Elisabethgaarde 110.
De eigenaar van Elisabethgaarde 110 is op te vragen op deze pagina.
De informatie over dit adres is afkomstig uit officiële overheidsregistraties, voornamelijk de Basisregistratie Adressen en Gebouwen (BAG) en de Basisregistratie Kadaster (BRK). Deze gegevens worden beheerd door respectievelijk gemeenten en het Kadaster, en worden regelmatig bijgewerkt. Energielabelgegevens komen uit de database van de Rijksdienst voor Ondernemend Nederland (RVO).
