
Het adres Lindelaan 10-A bevindt zich in de plaats Bussum, in de gemeente Bussum en de provincie Noord-Holland. De oppervlakte van het verblijfsobject is met 152 m² aan de grote kant. Het perceel heeft een oppervlakte van 685 m². Het object is klein ten opzichte van de andere adressen in de straat. Het grootste verblijfsobject is 527 m² groot en het kleinste is 30 m². De meeste Nederlandse gebouwen zijn gebouwd in de periode 1965-1984. Zo ook het pand waarin Lindelaan 10-A ligt, dat gebouwd is in 1967. Dit object is relatief nieuw in de straat. Het nieuwste gebouw komt er uit het jaar 1989 en het oudste uit het jaar 1880. Voor het verblijfsobject gelden deze gebruiksdoelen: 'woonfunctie'.
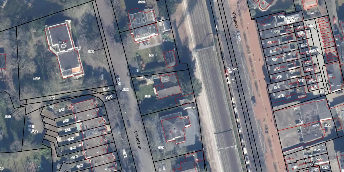
Het perceel waarop het adres ligt is BSM01-F-1913. De afkorting 'BSM01' staat voor kadastrale gemeente Bussum. Het perceel is met 685 m² relatief groot. Het gemiddelde ligt in de kadastrale gemeente Bussum op 593,7 m². De grootste perceeloppervlakte in de kadastrale gemeente is 38,9 ha. De kleinste oppervlakte bedraagt 0 m². Op het perceel bevinden zich geen andere adressen. In de Basisregistratie Kadaster (BRK) werden de grenzen van het perceel geregistreerd op 31-07-2000.
Er is geen energielabel geregistreerd voor het adres. Het hoogste energielabel in de straat is A+; het laagste is G. Het gemiddelde energielabel is er C. Het adres Lindelaan 10-A heeft als status: 'verblijfsobject in gebruik'. Het pand waarin dit adres ligt heeft als status: 'pand in gebruik'.
Lindelaan 10-A is een adres gelegen in de gemeente Gooise Meren, provincie Noord-Holland. Dit adres is geregistreerd in de Basisregistratie Adressen en Gebouwen (BAG) met als unieke identificatie 0381010000033738.
Het pand op Lindelaan 10-A is gebouwd in 1967, wat betekent dat het 59 jaar oud is. Dit is een ouder pand. Het pand heeft mogelijk aanzienlijke renovaties nodig om aan de huidige standaarden te voldoen.
De woning op Lindelaan 10-A heeft een gebruiksoppervlakte van 152 m². Dit is ruim vergeleken met de gemiddelde Nederlandse woning, die een oppervlakte heeft van ongeveer 119 m². De gebruiksoppervlakte is de maat die wordt gebruikt in de BAG-registratie, de landelijke registratie van de Nederlandse overheid.
Lindelaan 10-A heeft als functie: wonen. Deze gebruiksfunctie(s) zijn vastgelegd in de BAG-registratie en geven aan waarvoor het adres officieel mag worden gebruikt.
Lindelaan 10-A is gelegen op kadastraal perceel BSM01F1913. Deze kadastrale aanduiding is uniek en wordt gebruikt door het Kadaster om eigendomsrechten en andere zakelijke rechten vast te leggen. Het perceel maakt onderdeel uit van de kadastrale gemeente Bussum.
Het perceel waarop Lindelaan 10-A staat heeft een oppervlakte van 685 m². Dit is een groot perceel. De perceeloppervlakte wordt geregistreerd door het Kadaster. Gedetailleerde informatie over de maten van dit perceel kunt u vinden in het rapport Kadastrale kaart met maatvoering van Lindelaan 10-A.
De eigenaar van Lindelaan 10-A is op te vragen op deze pagina.
De informatie over dit adres is afkomstig uit officiële overheidsregistraties, voornamelijk de Basisregistratie Adressen en Gebouwen (BAG) en de Basisregistratie Kadaster (BRK). Deze gegevens worden beheerd door respectievelijk gemeenten en het Kadaster, en worden regelmatig bijgewerkt. Energielabelgegevens komen uit de database van de Rijksdienst voor Ondernemend Nederland (RVO).
