
Ruiterweg 28 is gelegen in de plaats Castricum, de gemeente Castricum en de provincie Noord-Holland. De oppervlakte bedraagt 2658 m², waarmee het adres groter dan gemiddeld is. De grootte van het perceel waarop het adres ligt is 1062 m². In de straat is dit het adres met de grootste oppervlakte. De objecten in de straat zijn gemiddeld 173 m² groot. Het kleinste verblijfsobject heeft een oppervlakte van 50 m². De meeste Nederlandse gebouwen zijn gebouwd in de periode 1965-1984. Zo ook het pand waarin Ruiterweg 28 ligt, dat gebouwd is in 1965. Veel andere gebouwen in de straat zijn ouder dan dit pand. Het oudste pand komt uit het jaar 1920 en het nieuwste uit 1992. De volgende gebruiksdoelen zijn geregistreerd voor dit adres: 'overige gebruiksfunctie'.
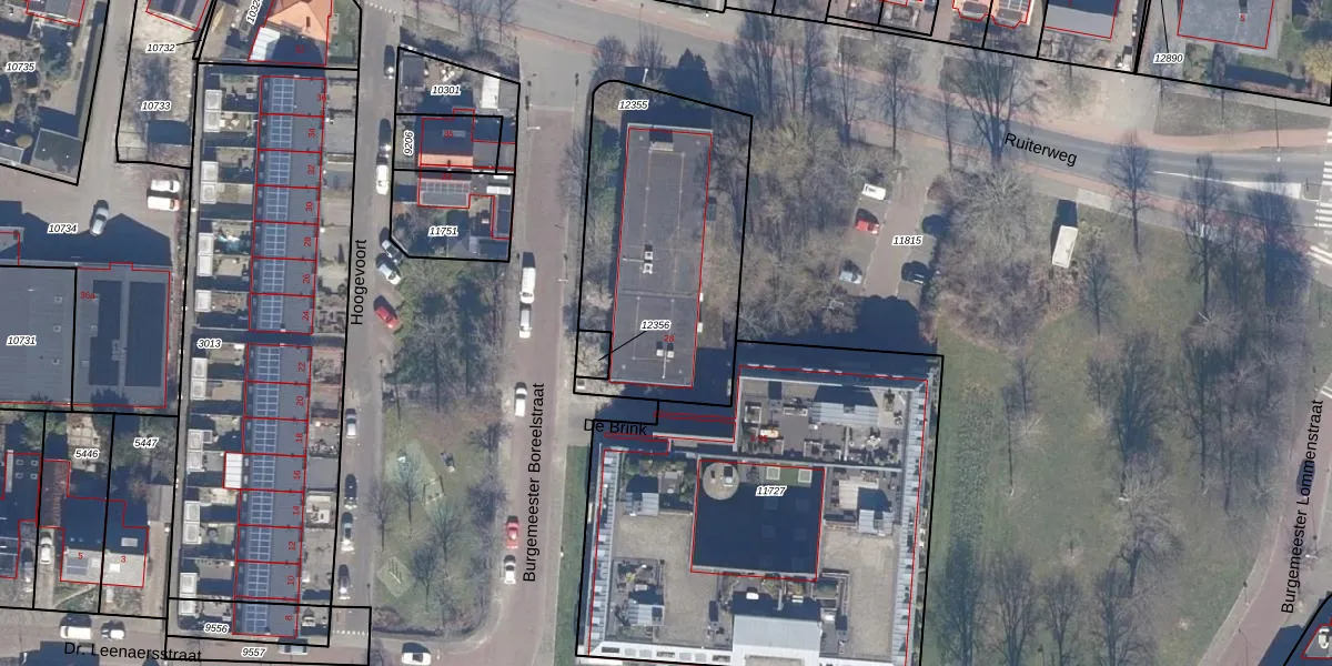
Het perceel waarop het adres ligt is CTC00-B-12355. De afkorting 'CTC00' staat voor kadastrale gemeente Castricum. Het perceel is 1062 m² groot. Dat is kleiner dan de gemiddelde perceeloppervlakte in Castricum, dat op 3246,13 m² ligt. De grootste perceeloppervlakte in de kadastrale gemeente is 5,30 km². De kleinste oppervlakte bedraagt 0 m². Er zijn geen andere adressen aanwezig op het perceel. De laatste wijziging in het de Basisregistratie Kadaster (BRK) was op 21-06-2013.
Er is geen energielabel geregistreerd voor het adres. Het hoogste energielabel in de straat is A+++; het laagste is G. Het gemiddelde energielabel is er C. Het adres Ruiterweg 28 heeft als status: 'verblijfsobject in gebruik'. Het pand waarin dit adres ligt heeft als status: 'pand in gebruik'.
Ruiterweg 28 is een adres gelegen in de gemeente Castricum, provincie Noord-Holland. Dit adres is geregistreerd in de Basisregistratie Adressen en Gebouwen (BAG) met als unieke identificatie 0383010001015957.
Het pand op Ruiterweg 28 is gebouwd in 1965, wat betekent dat het 61 jaar oud is. Dit is een ouder pand. Het pand heeft mogelijk aanzienlijke renovaties nodig om aan de huidige standaarden te voldoen.
De woning op Ruiterweg 28 heeft een gebruiksoppervlakte van 2658 m². Dit is ruim vergeleken met de gemiddelde Nederlandse woning, die een oppervlakte heeft van ongeveer 119 m². De gebruiksoppervlakte is de maat die wordt gebruikt in de BAG-registratie, de landelijke registratie van de Nederlandse overheid.
Ruiterweg 28 heeft als functie: overige doeleinden. Deze gebruiksfunctie(s) zijn vastgelegd in de BAG-registratie en geven aan waarvoor het adres officieel mag worden gebruikt.
Ruiterweg 28 is gelegen op kadastraal perceel CTC00B12355. Deze kadastrale aanduiding is uniek en wordt gebruikt door het Kadaster om eigendomsrechten en andere zakelijke rechten vast te leggen. Het perceel maakt onderdeel uit van de kadastrale gemeente Castricum.
Het perceel waarop Ruiterweg 28 staat heeft een oppervlakte van 1062 m². Dit is een zeer groot perceel. De perceeloppervlakte wordt geregistreerd door het Kadaster. Gedetailleerde informatie over de maten van dit perceel kunt u vinden in het rapport Kadastrale kaart met maatvoering van Ruiterweg 28.
De eigenaar van Ruiterweg 28 is op te vragen op deze pagina.
De informatie over dit adres is afkomstig uit officiële overheidsregistraties, voornamelijk de Basisregistratie Adressen en Gebouwen (BAG) en de Basisregistratie Kadaster (BRK). Deze gegevens worden beheerd door respectievelijk gemeenten en het Kadaster, en worden regelmatig bijgewerkt. Energielabelgegevens komen uit de database van de Rijksdienst voor Ondernemend Nederland (RVO).
