
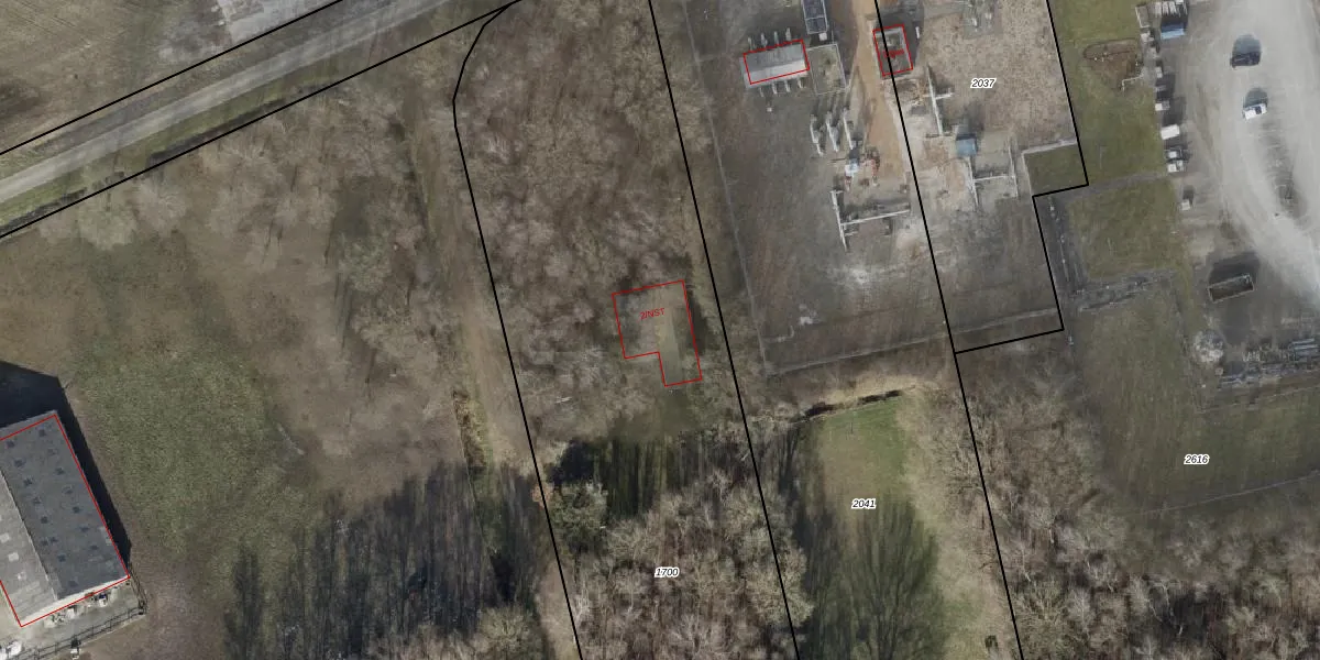
Katshaarweg 2-NST is gelegen in de plaats Coevorden, de gemeente Coevorden en de provincie Drenthe. De oppervlakte van het adres is 102 m². Dat is vergelijkbaar met het gemiddelde Nederlandse oppervlakte van 119 m². De oppervlakte van het perceel waarin het adres ligt is 5224 m². Het adres is klein vergeleken met andere objecten in de straat. Het grootste object in de straat heeft een oppervlakte van 277 m², het kleinste is 35 m² groot. In Nederland komt het grootste deel van de gebouwen uit de periode 1965-1984. Ook het bouwjaar van Katshaarweg 2-NST is afkomstig uit die periode: het betreft namelijk een pand uit 1970. Dit object is relatief nieuw in de straat. Het nieuwste gebouw komt er uit het jaar 1987 en het oudste uit het jaar 1953. Het verblijfsobject heeft de volgende gebruiksdoelen: 'bijeenkomstfunctie'.
Het adres ligt op het perceel CVD00-I-1700, dat zich in de kadastrale gemeente Coevorden bevindt. De gemiddelde perceeloppervlakte in de kadastrale gemeente Coevorden is 4059,38 m². Dit perceel is met zijn 5224 m² dus groter dan gemiddeld. Het grootste perceel in de kadastrale gemeente is 48,3 ha. Het kleinste perceel heeft een oppervlakte van 0 m². Op het perceel bevinden zich geen andere adressen. De laatste wijziging in het de Basisregistratie Kadaster (BRK) was op 31-01-2000.
Er is geen energielabel geregistreerd voor het adres. Het hoogste energielabel in de straat is B; het laagste is G. Het gemiddelde energielabel is er B. Het adres Katshaarweg 2-NST heeft als status: 'verblijfsobject in gebruik'. Het pand waarin dit adres ligt heeft als status: 'pand in gebruik'.
Katshaarweg 2-NST is een adres gelegen in de gemeente Coevorden, provincie Drenthe. Dit adres is geregistreerd in de Basisregistratie Adressen en Gebouwen (BAG) met als unieke identificatie 0109010000001408.
Het pand op Katshaarweg 2-NST is gebouwd in 1970, wat betekent dat het 56 jaar oud is. Dit is een ouder pand. Het pand heeft mogelijk aanzienlijke renovaties nodig om aan de huidige standaarden te voldoen.
De woning op Katshaarweg 2-NST heeft een gebruiksoppervlakte van 102 m². Dit is onder het gemiddelde vergeleken met de gemiddelde Nederlandse woning, die een oppervlakte heeft van ongeveer 119 m². De gebruiksoppervlakte is de maat die wordt gebruikt in de BAG-registratie, de landelijke registratie van de Nederlandse overheid.
Katshaarweg 2-NST heeft als functie: bijeenkomsten. Deze gebruiksfunctie(s) zijn vastgelegd in de BAG-registratie en geven aan waarvoor het adres officieel mag worden gebruikt.
Katshaarweg 2-NST is gelegen op kadastraal perceel CVD00I1700. Deze kadastrale aanduiding is uniek en wordt gebruikt door het Kadaster om eigendomsrechten en andere zakelijke rechten vast te leggen. Het perceel maakt onderdeel uit van de kadastrale gemeente Coevorden.
Het perceel waarop Katshaarweg 2-NST staat heeft een oppervlakte van 5224 m². Dit is een zeer groot perceel. De perceeloppervlakte wordt geregistreerd door het Kadaster. Gedetailleerde informatie over de maten van dit perceel kunt u vinden in het rapport Kadastrale kaart met maatvoering van Katshaarweg 2-NST.
De eigenaar van Katshaarweg 2-NST is op te vragen op deze pagina.
De informatie over dit adres is afkomstig uit officiële overheidsregistraties, voornamelijk de Basisregistratie Adressen en Gebouwen (BAG) en de Basisregistratie Kadaster (BRK). Deze gegevens worden beheerd door respectievelijk gemeenten en het Kadaster, en worden regelmatig bijgewerkt. Energielabelgegevens komen uit de database van de Rijksdienst voor Ondernemend Nederland (RVO).
