Product Functies Prijzen Meer

Adressen

Gebruik de zoekbalk of klik op een perceel voor informatie over de adressen binnen dit perceel.
Locatie
Meten
Lagen
Download

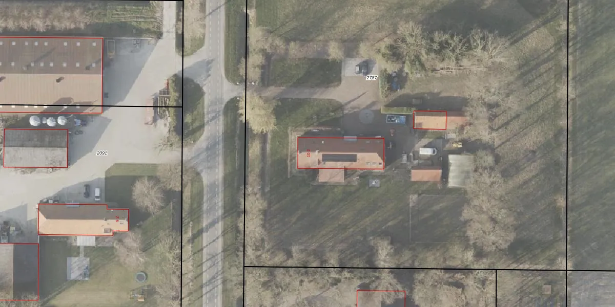
Weg van Ongenade 10-2

8312PB, Creil

€ 1519312 Wat moet ik bieden voor deze woning?
362 m²
woonfunctie
10.132 m² perceeloppervlakte
C

Weg van Ongenade 10-2 is een adres in Creil, dat zich bevindt binnen de gemeentegrenzen van Creil en de grenzen van de provincie Flevoland. Het object heeft een oppervlakte van 362 m², wat relatief groot is. Het perceel waarop het adres ligt is 1,0 ha groot. De oppervlakte van dit adres is groot vergeleken met de oppervlaktes van andere adressen in de straat. De kleinste oppervlakte bedraagt er 4 m², de grootste 493 m². Het adres Weg van Ongenade 10-2 ligt in een relatief oud pand uit het jaar 1956. Panden van vóór het jaar 1965 hebben we hier geclassificeerd als oud. Het bouwjaar is oud vergeleken met dat van de andere panden in de straat. Het oudste bouwjaar is er 1953 en de nieuwste is 2025. Voor het verblijfsobject gelden deze gebruiksdoelen: 'woonfunctie'.

Verkoopdata beschikbaar

Deze woning is voor het laatst verkocht op 1 september 2019. Meer informatie over deze transactie? Bestel het Woningtransactierapport om de verkoopprijs en andere informatie te zien.

Perceel

Het adres ligt op het perceel NOP00-F-2787, dat zich in de kadastrale gemeente Noordoostpolder bevindt. De gemiddelde perceelgrootte in Noordoostpolder is 2,1 ha. Dit perceel is kleiner: de perceeloppervlakte bedraagt 1,0 ha. De grootste perceeloppervlakte in de kadastrale gemeente is 47,42 km². De kleinste oppervlakte bedraagt 0 m². Dit is het enige adres dat aanwezig is op het perceel. De huidige grenzen van het perceel zijn digitaal in de Basisregistratie Kadaster (BRK) geregistreerd op 10-02-2010.

Energielabel en status

Het adres ligt in een gebouw van het type 'vrijstaande woning'. Bij de laatste meting is voor het adres het energielabel C geregistreerd. Het hoogste energielabel in de straat is A; het laagste is G. Het gemiddelde energielabel is er C. Het adres Weg van Ongenade 10-2 heeft als status: 'verblijfsobject in gebruik'. Het pand waarin dit adres ligt heeft als status: 'pand in gebruik'.

Meer lezen

Adres

Gebruiksoppervlakte
362 m²
Bruto vloeroppervlakte
EfMNegUI ot AmgUpgrade naar KadastraleKaart Pro
Gebruiksdoel(en)
Woonfunctie
Status
Verblijfsobject in gebruik
Type
Vrijstaande woning
Gasloos
KficYsltADgHebrSMALUpgrade naar KadastraleKaart Pro
Gebeurtenissen
Appartementsrechten
tcym6 WrGl ecqNUpgrade naar KadastraleKaart Pro
Eigenaar
Eigendomsinformatie 12,95
Adresinformatie bestellen
Adrespakket 34,95
VBO ID
0171010000032014
Woning laatst verkocht in
2019 -
Verkoopprijs opvragen 8,95

Pand

Bouwjaar pand
1956
Aantal adressen in dit gebouw
1 adres
Hoogte pand
5Lu1ON xg ydopJ1Wf2ROhUpgrade naar KadastraleKaart Pro
Aantal bouwlagen (schatting)
yTwzN iixjNzAU5EVZRUpgrade naar KadastraleKaart Pro
Volume
GJoVeWzJkNGndNtXKXYCTrUpgrade naar KadastraleKaart Pro
Oppervlakte dak
E d RHWtuumqN12GEasKvZUpgrade naar KadastraleKaart Pro
Oppervlakte buitenmuur
EjUAggW8iUpgrade naar KadastraleKaart Pro
Status pand
Pand in gebruik
Pand ID
0171100000023014

Perceel

Kadastrale aanduiding
Oppervlakte
10.132 m²
Maatvoering
Kadastrale kaart met maatvoering 59,95
Omtrek
403 meter
Datum laatst gewijzigd
10/02/2010
Aantal adressen op perceel
1
Hoogte boven N.A.P.
gcs1UyZQUpgrade naar KadastraleKaart Pro

Veelgestelde vragen

Weg van Ongenade 10-2 is een adres gelegen in de gemeente Noordoostpolder, provincie Flevoland. Dit adres is geregistreerd in de Basisregistratie Adressen en Gebouwen (BAG) met als unieke identificatie 0171010000032014.

Het pand op Weg van Ongenade 10-2 is gebouwd in 1956, wat betekent dat het 70 jaar oud is. Dit is een ouder pand. Het pand heeft mogelijk aanzienlijke renovaties nodig om aan de huidige standaarden te voldoen.

De woning op Weg van Ongenade 10-2 heeft een gebruiksoppervlakte van 362 m². Dit is ruim vergeleken met de gemiddelde Nederlandse woning, die een oppervlakte heeft van ongeveer 119 m². De gebruiksoppervlakte is de maat die wordt gebruikt in de BAG-registratie, de landelijke registratie van de Nederlandse overheid.

Weg van Ongenade 10-2 heeft als functie: wonen. Deze gebruiksfunctie(s) zijn vastgelegd in de BAG-registratie en geven aan waarvoor het adres officieel mag worden gebruikt.

Weg van Ongenade 10-2 is gelegen op kadastraal perceel NOP00F2787. Deze kadastrale aanduiding is uniek en wordt gebruikt door het Kadaster om eigendomsrechten en andere zakelijke rechten vast te leggen. Het perceel maakt onderdeel uit van de kadastrale gemeente Noordoostpolder.

Het perceel waarop Weg van Ongenade 10-2 staat heeft een oppervlakte van 1,0 ha. Dit is een zeer groot perceel. De perceeloppervlakte wordt geregistreerd door het Kadaster. Gedetailleerde informatie over de maten van dit perceel kunt u vinden in het rapport Kadastrale kaart met maatvoering van Weg van Ongenade 10-2.

De eigenaar van Weg van Ongenade 10-2 is op te vragen op deze pagina

De informatie over dit adres is afkomstig uit officiële overheidsregistraties, voornamelijk de Basisregistratie Adressen en Gebouwen (BAG) en de Basisregistratie Kadaster (BRK). Deze gegevens worden beheerd door respectievelijk gemeenten en het Kadaster, en worden regelmatig bijgewerkt. Energielabelgegevens komen uit de database van de Rijksdienst voor Ondernemend Nederland (RVO).

Maatvoeringsrapport

Biedadvies

Loop uw droomhuis niet mis met ons biedadvies.
Loop uw droomhuis niet mis met ons biedadvies.
Maatvoeringsrapport

Bestel het adrespakket

Kom alles te weten over Weg van Ongenade 10-2 met het adrespakket.
Kom alles te weten over Weg van Ongenade 10-2 met het adrespakket.

360°-foto's van de omgeving

Google Street View
Upgrade nu voor 360° Street View foto's

Zon en schaduw rondom adres

Buurt
Creil-landelijk gebied
Inwoners: 635
Woningen: 216
Wijk
Wijk 10 Creil
Inwoners: 1.780
Woningen: 686
Gemeente
Noordoostpolder
Inwoners: 50.035
Woningen: 20.498