
Het adres St.-Lambertusstraat 67 bevindt zich in de plaats Cromvoirt, in de gemeente Cromvoirt en de provincie Noord-Brabant. De oppervlakte van het verblijfsobject is met 157 m² aan de grote kant. Het perceel heeft een oppervlakte van 320 m². Het adres is klein vergeleken met andere objecten in de straat. Het grootste object in de straat heeft een oppervlakte van 2072 m², het kleinste is 15 m² groot. De gemiddelde bouwperiode van gebouwen in Nederland ligt tussen de jaren 1965-1984. Dat geldt ook voor het bouwjaar van St.-Lambertusstraat 67: het is gebouwd in het jaar 1969. Dit object is relatief nieuw in de straat. Het nieuwste gebouw komt er uit het jaar 2025 en het oudste uit het jaar 1838. Het verblijfsobject heeft de volgende gebruiksdoelen: 'woonfunctie'.
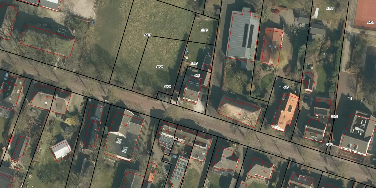
Het adres ligt op het perceel VUG00-I-504, dat zich in de kadastrale gemeente Vught bevindt. Het perceel is kleiner dan gemiddeld in Vught. Het perceel is 320 m² groot, terwijl het gemiddelde ligt op 2683,78 m². Het kleinste perceel in de kadastrale gemeente is 0 m² groot. De grootste perceeloppervlakte is 65,7 ha. Op het perceel bevinden zich geen andere adressen. In de Basisregistratie Kadaster (BRK) werden de grenzen van het perceel geregistreerd op 25-02-2008.
Er is geen energielabel geregistreerd voor het adres. Het hoogste energielabel in de straat is A+++++; het laagste is G. Het gemiddelde energielabel is er C. Het adres St.-Lambertusstraat 67 heeft als status: 'verblijfsobject in gebruik'. Het pand waarin dit adres ligt heeft als status: 'pand in gebruik'.
St.-Lambertusstraat 67 is een adres gelegen in de gemeente Vught, provincie Noord-Brabant. Dit adres is geregistreerd in de Basisregistratie Adressen en Gebouwen (BAG) met als unieke identificatie 0865010000005228.
Het pand op St.-Lambertusstraat 67 is gebouwd in 1969, wat betekent dat het 57 jaar oud is. Dit is een ouder pand. Het pand heeft mogelijk aanzienlijke renovaties nodig om aan de huidige standaarden te voldoen.
De woning op St.-Lambertusstraat 67 heeft een gebruiksoppervlakte van 157 m². Dit is ruim vergeleken met de gemiddelde Nederlandse woning, die een oppervlakte heeft van ongeveer 119 m². De gebruiksoppervlakte is de maat die wordt gebruikt in de BAG-registratie, de landelijke registratie van de Nederlandse overheid.
St.-Lambertusstraat 67 heeft als functie: wonen. Deze gebruiksfunctie(s) zijn vastgelegd in de BAG-registratie en geven aan waarvoor het adres officieel mag worden gebruikt.
St.-Lambertusstraat 67 is gelegen op kadastraal perceel VUG00I504. Deze kadastrale aanduiding is uniek en wordt gebruikt door het Kadaster om eigendomsrechten en andere zakelijke rechten vast te leggen. Het perceel maakt onderdeel uit van de kadastrale gemeente Vught.
Het perceel waarop St.-Lambertusstraat 67 staat heeft een oppervlakte van 320 m². Dit is een groot perceel. De perceeloppervlakte wordt geregistreerd door het Kadaster. Gedetailleerde informatie over de maten van dit perceel kunt u vinden in het rapport Kadastrale kaart met maatvoering van St.-Lambertusstraat 67.
De eigenaar van St.-Lambertusstraat 67 is op te vragen op deze pagina.
De informatie over dit adres is afkomstig uit officiële overheidsregistraties, voornamelijk de Basisregistratie Adressen en Gebouwen (BAG) en de Basisregistratie Kadaster (BRK). Deze gegevens worden beheerd door respectievelijk gemeenten en het Kadaster, en worden regelmatig bijgewerkt. Energielabelgegevens komen uit de database van de Rijksdienst voor Ondernemend Nederland (RVO).
