
Kruisweg 1619 is een adres in Cruquius, dat zich bevindt binnen de gemeentegrenzen van Cruquius en de grenzen van de provincie Noord-Holland. De oppervlakte van het verblijfsobject is met 156 m² aan de grote kant. Het perceel heeft een oppervlakte van 435 m². Het adres is klein vergeleken met andere objecten in de straat. Het grootste object in de straat heeft een oppervlakte van 946 m², het kleinste is 60 m² groot. In het jaar 1987 is het pand waarin Kruisweg 1619 ligt gebouwd. Dat is relatief recent: de meeste gebouwen in Nederland zijn gebouwd in de periode 1965-1984. Dit object is relatief nieuw in de straat. Het nieuwste gebouw komt er uit het jaar 2025 en het oudste uit het jaar 1900. De volgende gebruiksdoelen zijn geregistreerd voor dit adres: 'woonfunctie'.
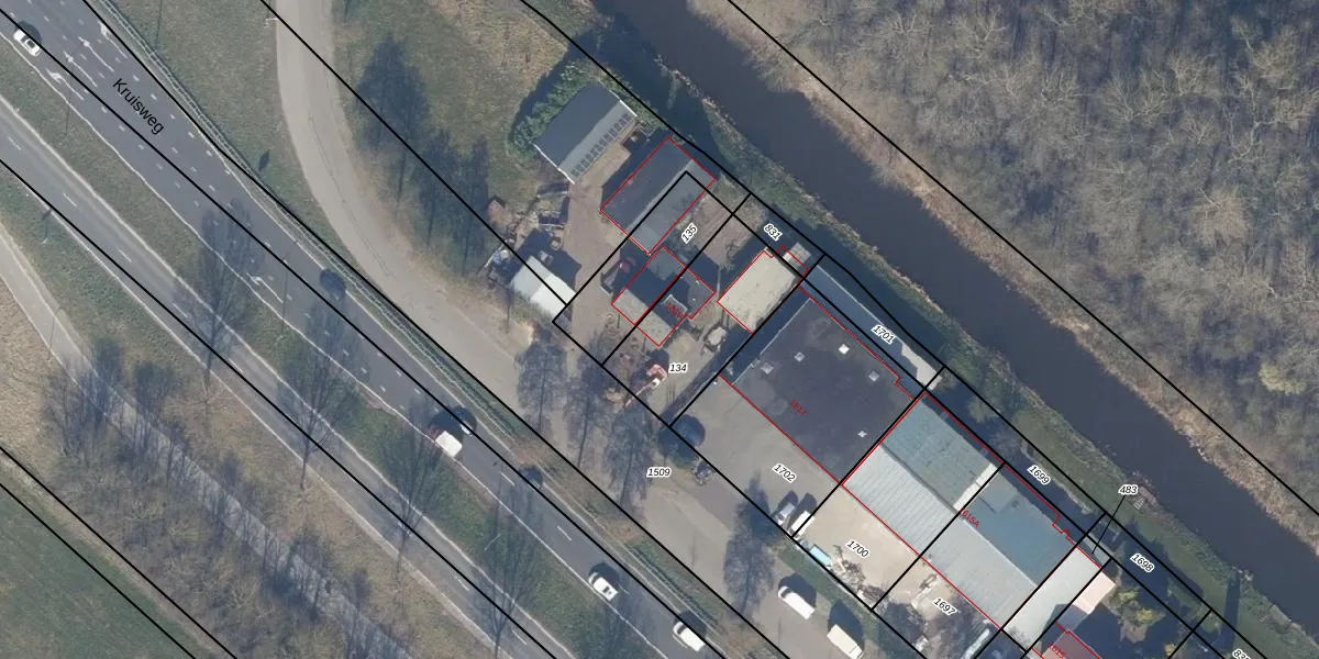
Het adres ligt op het perceel HLM03-AC-134, dat zich in de kadastrale gemeente Haarlemmermeer bevindt. Het perceel is 435 m² groot. Dat is kleiner dan de gemiddelde perceeloppervlakte in Haarlemmermeer, dat op 2854,63 m² ligt. De grootste perceeloppervlakte in de kadastrale gemeente is 1,58 km². De kleinste oppervlakte bedraagt 0 m². Op het perceel bevinden zich geen andere adressen. De huidige grenzen van het perceel zijn digitaal in de Basisregistratie Kadaster (BRK) geregistreerd op 14-10-2010.
Er is geen energielabel geregistreerd voor het adres. Het hoogste energielabel in de straat is A+; het laagste is G. Het gemiddelde energielabel is er C. Het adres Kruisweg 1619 heeft als status: 'verblijfsobject in gebruik'. Het pand waarin dit adres ligt heeft als status: 'pand in gebruik'.
Kruisweg 1619 is een adres gelegen in de gemeente Haarlemmermeer, provincie Noord-Holland. Dit adres is geregistreerd in de Basisregistratie Adressen en Gebouwen (BAG) met als unieke identificatie 0394010000343406.
Het pand op Kruisweg 1619 is gebouwd in 1987, wat betekent dat het 39 jaar oud is. Dit is een pand van middelbare leeftijd. Het pand is van gemiddelde leeftijd en zal waarschijnlijk verouderde elementen bevatten.
De woning op Kruisweg 1619 heeft een gebruiksoppervlakte van 156 m². Dit is ruim vergeleken met de gemiddelde Nederlandse woning, die een oppervlakte heeft van ongeveer 119 m². De gebruiksoppervlakte is de maat die wordt gebruikt in de BAG-registratie, de landelijke registratie van de Nederlandse overheid.
Kruisweg 1619 heeft als functie: wonen. Deze gebruiksfunctie(s) zijn vastgelegd in de BAG-registratie en geven aan waarvoor het adres officieel mag worden gebruikt.
Kruisweg 1619 is gelegen op kadastraal perceel HLM03AC134. Deze kadastrale aanduiding is uniek en wordt gebruikt door het Kadaster om eigendomsrechten en andere zakelijke rechten vast te leggen. Het perceel maakt onderdeel uit van de kadastrale gemeente Haarlemmermeer.
Het perceel waarop Kruisweg 1619 staat heeft een oppervlakte van 435 m². Dit is een groot perceel. De perceeloppervlakte wordt geregistreerd door het Kadaster. Gedetailleerde informatie over de maten van dit perceel kunt u vinden in het rapport Kadastrale kaart met maatvoering van Kruisweg 1619.
De eigenaar van Kruisweg 1619 is op te vragen op deze pagina.
De informatie over dit adres is afkomstig uit officiële overheidsregistraties, voornamelijk de Basisregistratie Adressen en Gebouwen (BAG) en de Basisregistratie Kadaster (BRK). Deze gegevens worden beheerd door respectievelijk gemeenten en het Kadaster, en worden regelmatig bijgewerkt. Energielabelgegevens komen uit de database van de Rijksdienst voor Ondernemend Nederland (RVO).
