
Beversestraat 10 is een adres in Cuijk, dat zich bevindt binnen de gemeentegrenzen van Cuijk en de grenzen van de provincie Noord-Brabant. De oppervlakte van het verblijfsobject is met 309 m² aan de grote kant. Het perceel heeft een oppervlakte van 7070 m². Het object is klein ten opzichte van de andere adressen in de straat. Het grootste verblijfsobject is 1,2 ha groot en het kleinste is 21 m². De gemiddelde bouwperiode van gebouwen in Nederland ligt tussen de jaren 1965-1984. Dat geldt ook voor het bouwjaar van Beversestraat 10: het is gebouwd in het jaar 1965. Het nieuwste gebouw in de straat komt uit 2026 en het oudste uit 1920. Dit object is relatief oud. De volgende gebruiksdoelen zijn geregistreerd voor dit adres: 'industriefunctie'.
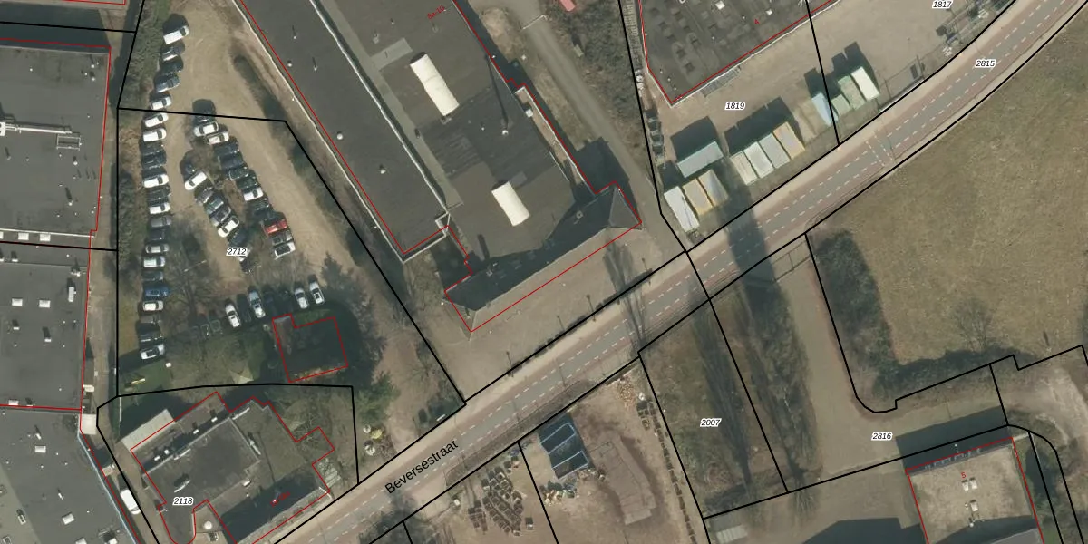
Het perceel waarop het adres ligt is CUI00-B-2713. De afkorting 'CUI00' staat voor kadastrale gemeente Cuijk. De oppervlakte van het perceel is 7070 m². Dat is groter dan gemiddeld in Cuijk, waar de gemiddelde perceeloppervlakte op 3857,29 m² ligt. Het kleinste perceel in de kadastrale gemeente is 0 m² groot. De grootste perceeloppervlakte is 72,5 ha. Op het perceel liggen in totaal 4 adressen. De huidige grenzen van het perceel zijn digitaal in de Basisregistratie Kadaster (BRK) geregistreerd op 17-02-2006.
Bij de laatste meting is voor het adres het energielabel D geregistreerd. Het hoogste energielabel in de straat is A; het laagste is G. Het gemiddelde energielabel is er C. Het adres Beversestraat 10 heeft als status: 'verblijfsobject in gebruik'. Het pand waarin dit adres ligt heeft als status: 'pand in gebruik'.
Beversestraat 10 is een adres gelegen in de gemeente Land van Cuijk, provincie Noord-Brabant. Dit adres is geregistreerd in de Basisregistratie Adressen en Gebouwen (BAG) met als unieke identificatie 1684010000012260.
Het pand op Beversestraat 10 is gebouwd in 1965, wat betekent dat het 61 jaar oud is. Dit is een ouder pand. Het pand heeft mogelijk aanzienlijke renovaties nodig om aan de huidige standaarden te voldoen.
De woning op Beversestraat 10 heeft een gebruiksoppervlakte van 309 m². Dit is ruim vergeleken met de gemiddelde Nederlandse woning, die een oppervlakte heeft van ongeveer 119 m². De gebruiksoppervlakte is de maat die wordt gebruikt in de BAG-registratie, de landelijke registratie van de Nederlandse overheid.
Beversestraat 10 heeft als functie: industrie. Deze gebruiksfunctie(s) zijn vastgelegd in de BAG-registratie en geven aan waarvoor het adres officieel mag worden gebruikt.
Beversestraat 10 is gelegen op kadastraal perceel CUI00B2713. Deze kadastrale aanduiding is uniek en wordt gebruikt door het Kadaster om eigendomsrechten en andere zakelijke rechten vast te leggen. Het perceel maakt onderdeel uit van de kadastrale gemeente Cuijk.
Het perceel waarop Beversestraat 10 staat heeft een oppervlakte van 7070 m². Dit is een zeer groot perceel. De perceeloppervlakte wordt geregistreerd door het Kadaster. Gedetailleerde informatie over de maten van dit perceel kunt u vinden in het rapport Kadastrale kaart met maatvoering van Beversestraat 10.
De eigenaar van Beversestraat 10 is op te vragen op deze pagina.
De informatie over dit adres is afkomstig uit officiële overheidsregistraties, voornamelijk de Basisregistratie Adressen en Gebouwen (BAG) en de Basisregistratie Kadaster (BRK). Deze gegevens worden beheerd door respectievelijk gemeenten en het Kadaster, en worden regelmatig bijgewerkt. Energielabelgegevens komen uit de database van de Rijksdienst voor Ondernemend Nederland (RVO).
