
Hazeleger 212 is gelegen in de plaats Cuijk, de gemeente Land van Cuijk en de provincie Noord-Brabant. De oppervlakte van het adres is 126 m². Dat is vergelijkbaar met het gemiddelde Nederlandse oppervlakte van 119 m². De oppervlakte van het perceel waarin het adres ligt is 169 m². Het adres is klein vergeleken met andere objecten in de straat. Het grootste object in de straat heeft een oppervlakte van 272 m², het kleinste is 7 m² groot. In Nederland komt het grootste deel van de gebouwen uit de periode 1965-1984. Ook het bouwjaar van Hazeleger 212 is afkomstig uit die periode: het betreft namelijk een pand uit 1974. Het nieuwste gebouw in de straat komt uit 1978 en het oudste uit 1973. Dit object is relatief oud. Het verblijfsobject heeft de volgende gebruiksdoelen: 'woonfunctie'.
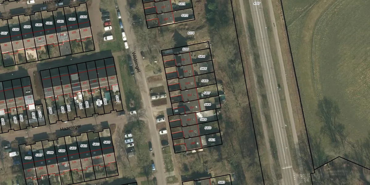
Het adres ligt op het perceel CUI00-C-5407, dat zich in de kadastrale gemeente Cuijk bevindt. Het perceel is kleiner dan gemiddeld in Cuijk. Het perceel is 169 m² groot, terwijl het gemiddelde ligt op 3860,42 m². Het grootste perceel in de kadastrale gemeente is 72,5 ha. Het kleinste perceel heeft een oppervlakte van 0 m². Op het perceel bevinden zich geen andere adressen. De laatste wijziging in het de Basisregistratie Kadaster (BRK) was op 28-10-2010.
Het adres ligt in een gebouw van het type 'rijwoning hoek'. Bij de laatste meting is voor het adres het energielabel C geregistreerd. Het hoogste energielabel in de straat is A++; het laagste is G. Het gemiddelde energielabel is er C. Het adres Hazeleger 212 heeft als status: 'verblijfsobject in gebruik'. Het pand waarin dit adres ligt heeft als status: 'pand in gebruik'.
Hazeleger 212 is een adres gelegen in de gemeente Land van Cuijk, provincie Noord-Brabant. Dit adres is geregistreerd in de Basisregistratie Adressen en Gebouwen (BAG) met als unieke identificatie 1684010000004842.
Het pand op Hazeleger 212 is gebouwd in 1974, wat betekent dat het 52 jaar oud is. Dit is een ouder pand. Het pand heeft mogelijk aanzienlijke renovaties nodig om aan de huidige standaarden te voldoen.
De woning op Hazeleger 212 heeft een gebruiksoppervlakte van 126 m². Dit is gemiddeld vergeleken met de gemiddelde Nederlandse woning, die een oppervlakte heeft van ongeveer 119 m². De gebruiksoppervlakte is de maat die wordt gebruikt in de BAG-registratie, de landelijke registratie van de Nederlandse overheid.
Hazeleger 212 heeft als functie: wonen. Deze gebruiksfunctie(s) zijn vastgelegd in de BAG-registratie en geven aan waarvoor het adres officieel mag worden gebruikt.
Hazeleger 212 is gelegen op kadastraal perceel CUI00C5407. Deze kadastrale aanduiding is uniek en wordt gebruikt door het Kadaster om eigendomsrechten en andere zakelijke rechten vast te leggen. Het perceel maakt onderdeel uit van de kadastrale gemeente Cuijk.
Het perceel waarop Hazeleger 212 staat heeft een oppervlakte van 169 m². Dit is een middelgroot perceel. De perceeloppervlakte wordt geregistreerd door het Kadaster. Gedetailleerde informatie over de maten van dit perceel kunt u vinden in het rapport Kadastrale kaart met maatvoering van Hazeleger 212.
De eigenaar van Hazeleger 212 is op te vragen op deze pagina
De informatie over dit adres is afkomstig uit officiële overheidsregistraties, voornamelijk de Basisregistratie Adressen en Gebouwen (BAG) en de Basisregistratie Kadaster (BRK). Deze gegevens worden beheerd door respectievelijk gemeenten en het Kadaster, en worden regelmatig bijgewerkt. Energielabelgegevens komen uit de database van de Rijksdienst voor Ondernemend Nederland (RVO).
