
Merwededijk 47 is gelegen in de plaats Dalem, de gemeente Gorinchem en de provincie Zuid-Holland. Het object heeft een oppervlakte van 155 m², wat relatief groot is. Het perceel waarop het adres ligt is 205 m² groot. Dit is het kleinste object van de straat. De gemiddelde oppervlakte van verblijfsobjecten is er 273 m². De grootste oppervlakte in de straat is 514 m². Het pand waarin Merwededijk 47 ligt is gebouwd in het jaar 1999. Panden die gebouwd zijn na het jaar 1984 noemen we hier relatief nieuw. Het bouwjaar is oud vergeleken met dat van de andere panden in de straat. Het oudste bouwjaar is er 1993 en de nieuwste is 2013. Voor het verblijfsobject gelden deze gebruiksdoelen: 'woonfunctie'.
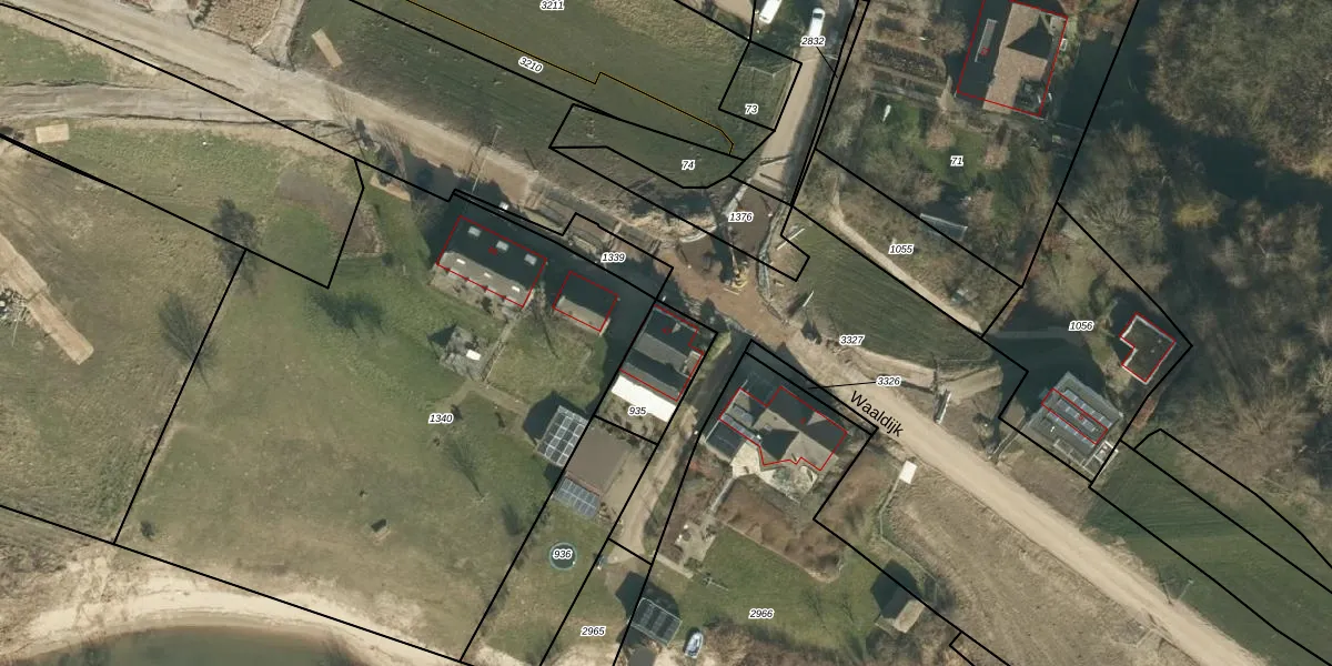
Het adres is gelegen op perceel 935 in de sectie P en de kadastrale gemeente Gorinchem. De kadastrale aanduiding is aldus GRC00-P-935. De gemiddelde perceelgrootte in Gorinchem is 1663,18 m². Dit perceel is kleiner: de perceeloppervlakte bedraagt 205 m². Het kleinste perceel in de kadastrale gemeente is 0 m² groot. De grootste perceeloppervlakte is 44,0 ha. Dit is het enige adres dat aanwezig is op het perceel. De laatste wijziging in het de Basisregistratie Kadaster (BRK) was op 20-04-2001.
Er is geen energielabel geregistreerd voor het adres. Het hoogste energielabel in de straat is B; het laagste is G. Het gemiddelde energielabel is er B. Het adres Merwededijk 47 heeft als status: 'verblijfsobject in gebruik'. Het pand waarin dit adres ligt heeft als status: 'pand in gebruik'.
Merwededijk 47 is een adres gelegen in de gemeente Gorinchem, provincie Zuid-Holland. Dit adres is geregistreerd in de Basisregistratie Adressen en Gebouwen (BAG) met als unieke identificatie 0512010000000990.
Het pand op Merwededijk 47 is gebouwd in 1999, wat betekent dat het 27 jaar oud is. Dit is een pand van middelbare leeftijd. Het pand is van gemiddelde leeftijd en zal waarschijnlijk verouderde elementen bevatten.
De woning op Merwededijk 47 heeft een gebruiksoppervlakte van 155 m². Dit is ruim vergeleken met de gemiddelde Nederlandse woning, die een oppervlakte heeft van ongeveer 119 m². De gebruiksoppervlakte is de maat die wordt gebruikt in de BAG-registratie, de landelijke registratie van de Nederlandse overheid.
Merwededijk 47 heeft als functie: wonen. Deze gebruiksfunctie(s) zijn vastgelegd in de BAG-registratie en geven aan waarvoor het adres officieel mag worden gebruikt.
Merwededijk 47 is gelegen op kadastraal perceel GRC00P935. Deze kadastrale aanduiding is uniek en wordt gebruikt door het Kadaster om eigendomsrechten en andere zakelijke rechten vast te leggen. Het perceel maakt onderdeel uit van de kadastrale gemeente Gorinchem.
Het perceel waarop Merwededijk 47 staat heeft een oppervlakte van 205 m². Dit is een middelgroot perceel. De perceeloppervlakte wordt geregistreerd door het Kadaster. Gedetailleerde informatie over de maten van dit perceel kunt u vinden in het rapport Kadastrale kaart met maatvoering van Merwededijk 47.
De eigenaar van Merwededijk 47 is op te vragen op deze pagina.
De informatie over dit adres is afkomstig uit officiële overheidsregistraties, voornamelijk de Basisregistratie Adressen en Gebouwen (BAG) en de Basisregistratie Kadaster (BRK). Deze gegevens worden beheerd door respectievelijk gemeenten en het Kadaster, en worden regelmatig bijgewerkt. Energielabelgegevens komen uit de database van de Rijksdienst voor Ondernemend Nederland (RVO).
