
Reindersdijk 55-147 is gelegen in de plaats Dalen, de gemeente Coevorden en de provincie Drenthe. Het verblijfsobject is vergeleken met het Nederlandse gemiddelde aan de kleine kant: de oppervlakte is 56 m². Het perceel waarop het adres zich bevindt heeft een oppervlakte van 66,9 ha. Het object is klein ten opzichte van de andere adressen in de straat. Het grootste verblijfsobject is 9590 m² groot en het kleinste is 32 m². De gemiddelde bouwperiode van gebouwen in Nederland ligt tussen de jaren 1965-1984. Dat geldt ook voor het bouwjaar van Reindersdijk 55-147: het is gebouwd in het jaar 1978. Het nieuwste gebouw in de straat komt uit 2013 en het oudste uit 1878. Dit object is relatief oud. De volgende gebruiksdoelen zijn geregistreerd voor dit adres: 'logiesfunctie'.
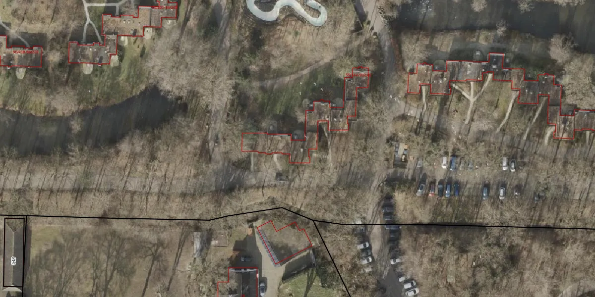
Het perceel waarop het adres ligt is DLN00-K-716. De afkorting 'DLN00' staat voor kadastrale gemeente Dalen. De oppervlakte van het perceel is 66,9 ha. Dat is groter dan gemiddeld in Dalen, waar de gemiddelde perceeloppervlakte op 1,2 ha ligt. Het kleinste perceel in de kadastrale gemeente is 0 m² groot. De grootste perceeloppervlakte is 66,8 ha. Op het perceel liggen in totaal 580 adressen. De laatste wijziging in het de Basisregistratie Kadaster (BRK) was op 14-11-2024.
Het adres ligt in een gebouw van het type 'logieswoning'. Bij de laatste meting is voor het adres het energielabel E geregistreerd. Het hoogste energielabel in de straat is A+; het laagste is G. Het gemiddelde energielabel is er D. Het adres Reindersdijk 55-147 heeft als status: 'verblijfsobject in gebruik'. Het pand waarin dit adres ligt heeft als status: 'pand in gebruik'.
Reindersdijk 55-147 is een adres gelegen in de gemeente Coevorden, provincie Drenthe. Dit adres is geregistreerd in de Basisregistratie Adressen en Gebouwen (BAG) met als unieke identificatie 0109010000018879.
Het pand op Reindersdijk 55-147 is gebouwd in 1978, wat betekent dat het 48 jaar oud is. Dit is een pand van middelbare leeftijd. Het pand is van gemiddelde leeftijd en zal waarschijnlijk verouderde elementen bevatten.
De woning op Reindersdijk 55-147 heeft een gebruiksoppervlakte van 56 m². Dit is relatief klein vergeleken met de gemiddelde Nederlandse woning, die een oppervlakte heeft van ongeveer 119 m². De gebruiksoppervlakte is de maat die wordt gebruikt in de BAG-registratie, de landelijke registratie van de Nederlandse overheid.
Reindersdijk 55-147 heeft als functie: logies/verblijf. Deze gebruiksfunctie(s) zijn vastgelegd in de BAG-registratie en geven aan waarvoor het adres officieel mag worden gebruikt.
Reindersdijk 55-147 is gelegen op kadastraal perceel DLN00K716. Deze kadastrale aanduiding is uniek en wordt gebruikt door het Kadaster om eigendomsrechten en andere zakelijke rechten vast te leggen. Het perceel maakt onderdeel uit van de kadastrale gemeente Dalen.
Het perceel waarop Reindersdijk 55-147 staat heeft een oppervlakte van 66,9 ha. Dit is een zeer groot perceel. De perceeloppervlakte wordt geregistreerd door het Kadaster. Gedetailleerde informatie over de maten van dit perceel kunt u vinden in het rapport Kadastrale kaart met maatvoering van Reindersdijk 55-147.
De eigenaar van Reindersdijk 55-147 is op te vragen op deze pagina.
De informatie over dit adres is afkomstig uit officiële overheidsregistraties, voornamelijk de Basisregistratie Adressen en Gebouwen (BAG) en de Basisregistratie Kadaster (BRK). Deze gegevens worden beheerd door respectievelijk gemeenten en het Kadaster, en worden regelmatig bijgewerkt. Energielabelgegevens komen uit de database van de Rijksdienst voor Ondernemend Nederland (RVO).
