
Het adres Haersolteweg 17-G-218 bevindt zich in de plaats Dalfsen, in de gemeente Dalfsen en de provincie Overijssel. Het verblijfsobject is vergeleken met het Nederlandse gemiddelde aan de kleine kant: de oppervlakte is 61 m². Het perceel waarop het adres zich bevindt heeft een oppervlakte van 1,4 ha. Het adres is klein vergeleken met andere objecten in de straat. Het grootste object in de straat heeft een oppervlakte van 2010 m², het kleinste is 4 m² groot. Haersolteweg 17-G-218 ligt in een gebouw uit het jaar 2007. Daarmee behoort het tot de groep panden van na 1984, die we als relatief nieuw bestempelen. Dit object is relatief nieuw in de straat. Het nieuwste gebouw komt er uit het jaar 2025 en het oudste uit het jaar 1800. De volgende gebruiksdoelen zijn geregistreerd voor dit adres: 'logiesfunctie'.
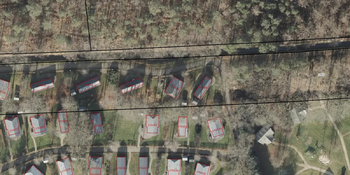
Het adres ligt op het perceel DSN01-Q-1453, dat zich in de kadastrale gemeente Dalfsen bevindt. De oppervlakte van het perceel is 1,4 ha. Dat is groter dan gemiddeld in Dalfsen, waar de gemiddelde perceeloppervlakte op 8538,1 m² ligt. Het grootste perceel in de kadastrale gemeente is 83,3 ha. Het kleinste perceel heeft een oppervlakte van 0 m². Op het perceel liggen in totaal 8 adressen. In de Basisregistratie Kadaster (BRK) werden de grenzen van het perceel geregistreerd op 05-07-2005.
Het adres ligt in een gebouw van het type 'logieswoning'. Bij de laatste meting is voor het adres het energielabel C geregistreerd. Het hoogste energielabel in de straat is A+; het laagste is G. Het gemiddelde energielabel is er D. Het adres Haersolteweg 17-G-218 heeft als status: 'verblijfsobject in gebruik'. Het pand waarin dit adres ligt heeft als status: 'pand in gebruik'.
Haersolteweg 17-G-218 is een adres gelegen in de gemeente Dalfsen, provincie Overijssel. Dit adres is geregistreerd in de Basisregistratie Adressen en Gebouwen (BAG) met als unieke identificatie 0148010000090604.
Het pand op Haersolteweg 17-G-218 is gebouwd in 2007, wat betekent dat het 19 jaar oud is. Dit is een relatief modern pand. Ten opzichte van de nationale woningvoorraad is het pand relatief modern, maar er kunnen enkele verouderde elementen zijn die aandacht nodig hebben.
De woning op Haersolteweg 17-G-218 heeft een gebruiksoppervlakte van 61 m². Dit is relatief klein vergeleken met de gemiddelde Nederlandse woning, die een oppervlakte heeft van ongeveer 119 m². De gebruiksoppervlakte is de maat die wordt gebruikt in de BAG-registratie, de landelijke registratie van de Nederlandse overheid.
Haersolteweg 17-G-218 heeft als functie: logies/verblijf. Deze gebruiksfunctie(s) zijn vastgelegd in de BAG-registratie en geven aan waarvoor het adres officieel mag worden gebruikt.
Haersolteweg 17-G-218 is gelegen op kadastraal perceel DSN01Q1453. Deze kadastrale aanduiding is uniek en wordt gebruikt door het Kadaster om eigendomsrechten en andere zakelijke rechten vast te leggen. Het perceel maakt onderdeel uit van de kadastrale gemeente Dalfsen.
Het perceel waarop Haersolteweg 17-G-218 staat heeft een oppervlakte van 1,4 ha. Dit is een zeer groot perceel. De perceeloppervlakte wordt geregistreerd door het Kadaster. Gedetailleerde informatie over de maten van dit perceel kunt u vinden in het rapport Kadastrale kaart met maatvoering van Haersolteweg 17-G-218.
De eigenaar van Haersolteweg 17-G-218 is op te vragen op deze pagina.
De informatie over dit adres is afkomstig uit officiële overheidsregistraties, voornamelijk de Basisregistratie Adressen en Gebouwen (BAG) en de Basisregistratie Kadaster (BRK). Deze gegevens worden beheerd door respectievelijk gemeenten en het Kadaster, en worden regelmatig bijgewerkt. Energielabelgegevens komen uit de database van de Rijksdienst voor Ondernemend Nederland (RVO).
