
Heinoseweg 35 is een adres in Dalfsen, dat zich bevindt binnen de gemeentegrenzen van Dalfsen en de grenzen van de provincie Overijssel. Het verblijfsobject is 114 m² groot en bevindt zich op een perceel met een oppervlakte van 7795 m². Gemiddeld hebben adressen in Nederland een oppervlakte van 119 m². Het adres is klein vergeleken met andere objecten in de straat. Het grootste object in de straat heeft een oppervlakte van 514 m², het kleinste is 3 m² groot. Heinoseweg 35 ligt in een gebouw uit het jaar 2013. Daarmee behoort het tot de groep panden van na 1984, die we als relatief nieuw bestempelen. Vergeleken met de andere panden in de straat is dit gebouw nieuw. Het vroegste bouwjaar is er 1705 en het laatste is 2025. Het verblijfsobject heeft de volgende gebruiksdoelen: 'logiesfunctie'.
Deze woning is voor het laatst verkocht op 1 augustus 1998. Meer informatie over deze transactie? Bestel het Woningtransactierapport om de verkoopprijs en andere informatie te zien.
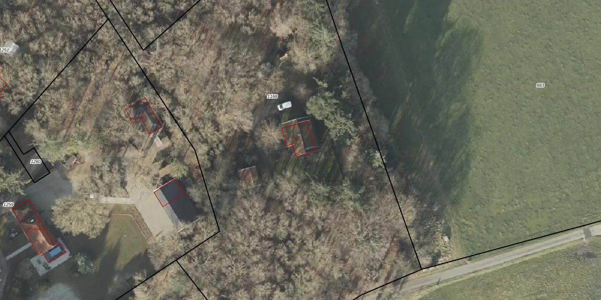
Het adres ligt op het perceel DSN01-Y-1168, dat zich in de kadastrale gemeente Dalfsen bevindt. Het perceel is kleiner dan gemiddeld in Dalfsen. Het perceel is 7795 m² groot, terwijl het gemiddelde ligt op 8538,1 m². Het grootste perceel in de kadastrale gemeente is 83,3 ha. Het kleinste perceel heeft een oppervlakte van 0 m². Dit is het enige adres dat aanwezig is op het perceel. De huidige grenzen van het perceel zijn digitaal in de Basisregistratie Kadaster (BRK) geregistreerd op 06-10-2015.
Er is geen energielabel geregistreerd voor het adres. Het hoogste energielabel in de straat is A++; het laagste is G. Het gemiddelde energielabel is er A. Het adres Heinoseweg 35 heeft als status: 'verblijfsobject in gebruik'. Het pand waarin dit adres ligt heeft als status: 'pand in gebruik'.
Heinoseweg 35 is een adres gelegen in de gemeente Dalfsen, provincie Overijssel. Dit adres is geregistreerd in de Basisregistratie Adressen en Gebouwen (BAG) met als unieke identificatie 0148010000091226.
Het pand op Heinoseweg 35 is gebouwd in 2013, wat betekent dat het 13 jaar oud is. Dit is een relatief modern pand. Ten opzichte van de nationale woningvoorraad is het pand relatief modern, maar er kunnen enkele verouderde elementen zijn die aandacht nodig hebben.
De woning op Heinoseweg 35 heeft een gebruiksoppervlakte van 114 m². Dit is onder het gemiddelde vergeleken met de gemiddelde Nederlandse woning, die een oppervlakte heeft van ongeveer 119 m². De gebruiksoppervlakte is de maat die wordt gebruikt in de BAG-registratie, de landelijke registratie van de Nederlandse overheid.
Heinoseweg 35 heeft als functie: logies/verblijf. Deze gebruiksfunctie(s) zijn vastgelegd in de BAG-registratie en geven aan waarvoor het adres officieel mag worden gebruikt.
Heinoseweg 35 is gelegen op kadastraal perceel DSN01Y1168. Deze kadastrale aanduiding is uniek en wordt gebruikt door het Kadaster om eigendomsrechten en andere zakelijke rechten vast te leggen. Het perceel maakt onderdeel uit van de kadastrale gemeente Dalfsen.
Het perceel waarop Heinoseweg 35 staat heeft een oppervlakte van 7795 m². Dit is een zeer groot perceel. De perceeloppervlakte wordt geregistreerd door het Kadaster. Gedetailleerde informatie over de maten van dit perceel kunt u vinden in het rapport Kadastrale kaart met maatvoering van Heinoseweg 35.
De eigenaar van Heinoseweg 35 is op te vragen op deze pagina.
De informatie over dit adres is afkomstig uit officiële overheidsregistraties, voornamelijk de Basisregistratie Adressen en Gebouwen (BAG) en de Basisregistratie Kadaster (BRK). Deze gegevens worden beheerd door respectievelijk gemeenten en het Kadaster, en worden regelmatig bijgewerkt. Energielabelgegevens komen uit de database van de Rijksdienst voor Ondernemend Nederland (RVO).
