
Het adres Sterrebosweg 4-A-10 bevindt zich in de plaats Dalfsen, in de gemeente Dalfsen en de provincie Overijssel. Het perceel waarop het adres gelegen is heeft een oppervlakte van 2,9 ha. Het verblijfsobject is met 19 m² relatief klein. Het adres is klein vergeleken met andere objecten in de straat. Het grootste object in de straat heeft een oppervlakte van 521 m², het kleinste is 3 m² groot. In het jaar 2016 is het pand waarin Sterrebosweg 4-A-10 ligt gebouwd. Dat is relatief recent: de meeste gebouwen in Nederland zijn gebouwd in de periode 1965-1984. Vergeleken met de andere panden in de straat is dit gebouw nieuw. Het vroegste bouwjaar is er 1600 en het laatste is 2020. De volgende gebruiksdoelen zijn geregistreerd voor dit adres: 'logiesfunctie'.
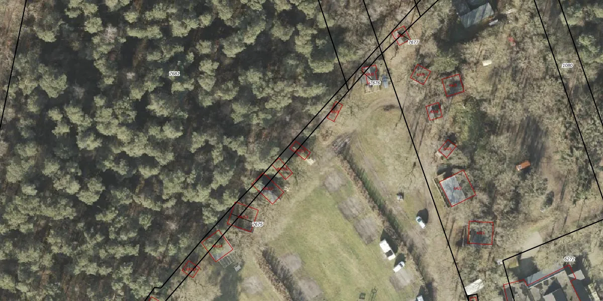
Het adres ligt op het perceel DSN01-F-5716, dat zich in de kadastrale gemeente Dalfsen bevindt. De oppervlakte van het perceel is 2,9 ha. Dat is groter dan gemiddeld in Dalfsen, waar de gemiddelde perceeloppervlakte op 8538,1 m² ligt. De grootste perceeloppervlakte in de kadastrale gemeente is 83,3 ha. De kleinste oppervlakte bedraagt 0 m². Er zijn 11 adressen aanwezig op het perceel. In de Basisregistratie Kadaster (BRK) werden de grenzen van het perceel geregistreerd op 27-02-2006.
Er is geen energielabel geregistreerd voor het adres. Het hoogste energielabel in de straat is B; het laagste is G. Het gemiddelde energielabel is er C. Het adres Sterrebosweg 4-A-10 heeft als status: 'verblijfsobject in gebruik'. Het pand waarin dit adres ligt heeft als status: 'pand in gebruik'.
Sterrebosweg 4-A-10 is een adres gelegen in de gemeente Dalfsen, provincie Overijssel. Dit adres is geregistreerd in de Basisregistratie Adressen en Gebouwen (BAG) met als unieke identificatie 0148019900091365.
Het pand op Sterrebosweg 4-A-10 is gebouwd in 2016, wat betekent dat het 10 jaar oud is. Dit is een relatief modern pand. Ten opzichte van de nationale woningvoorraad is het pand relatief modern, maar er kunnen enkele verouderde elementen zijn die aandacht nodig hebben.
De woning op Sterrebosweg 4-A-10 heeft een gebruiksoppervlakte van 19 m². Dit is relatief klein vergeleken met de gemiddelde Nederlandse woning, die een oppervlakte heeft van ongeveer 119 m². De gebruiksoppervlakte is de maat die wordt gebruikt in de BAG-registratie, de landelijke registratie van de Nederlandse overheid.
Sterrebosweg 4-A-10 heeft als functie: logies/verblijf. Deze gebruiksfunctie(s) zijn vastgelegd in de BAG-registratie en geven aan waarvoor het adres officieel mag worden gebruikt.
Sterrebosweg 4-A-10 is gelegen op kadastraal perceel DSN01F5716. Deze kadastrale aanduiding is uniek en wordt gebruikt door het Kadaster om eigendomsrechten en andere zakelijke rechten vast te leggen. Het perceel maakt onderdeel uit van de kadastrale gemeente Dalfsen.
Het perceel waarop Sterrebosweg 4-A-10 staat heeft een oppervlakte van 2,9 ha. Dit is een zeer groot perceel. De perceeloppervlakte wordt geregistreerd door het Kadaster. Gedetailleerde informatie over de maten van dit perceel kunt u vinden in het rapport Kadastrale kaart met maatvoering van Sterrebosweg 4-A-10.
De eigenaar van Sterrebosweg 4-A-10 is op te vragen op deze pagina.
De informatie over dit adres is afkomstig uit officiële overheidsregistraties, voornamelijk de Basisregistratie Adressen en Gebouwen (BAG) en de Basisregistratie Kadaster (BRK). Deze gegevens worden beheerd door respectievelijk gemeenten en het Kadaster, en worden regelmatig bijgewerkt. Energielabelgegevens komen uit de database van de Rijksdienst voor Ondernemend Nederland (RVO).
