
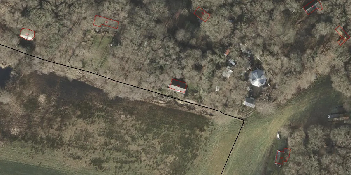
Het adres Zuidelijke Vechtdijk 40 bevindt zich in de plaats Dalfsen, in de gemeente Dalfsen en de provincie Overijssel. Het verblijfsobject is vergeleken met het Nederlandse gemiddelde aan de kleine kant: de oppervlakte is 70 m². Het perceel waarop het adres zich bevindt heeft een oppervlakte van 4,8 ha. Het adres is klein vergeleken met andere objecten in de straat. Het grootste object in de straat heeft een oppervlakte van 208 m², het kleinste is 4 m² groot. De gemiddelde bouwperiode van gebouwen in Nederland ligt tussen de jaren 1965-1984. Dat geldt ook voor het bouwjaar van Zuidelijke Vechtdijk 40: het is gebouwd in het jaar 1965. Het nieuwste gebouw in de straat komt uit 2025 en het oudste uit 1800. Dit object is relatief oud. De volgende gebruiksdoelen zijn geregistreerd voor dit adres: 'logiesfunctie'.
Het adres ligt op het perceel DSN01-X-231, dat zich in de kadastrale gemeente Dalfsen bevindt. De oppervlakte van het perceel is 4,8 ha. Dat is groter dan gemiddeld in Dalfsen, waar de gemiddelde perceeloppervlakte op 8538,1 m² ligt. Het kleinste perceel in de kadastrale gemeente is 0 m² groot. De grootste perceeloppervlakte is 83,3 ha. Op het perceel liggen in totaal 28 adressen. In de Basisregistratie Kadaster (BRK) werden de grenzen van het perceel geregistreerd op 13-12-2006.
Er is geen energielabel geregistreerd voor het adres. Het hoogste energielabel in de straat is A; het laagste is G. Het gemiddelde energielabel is er D. Het adres Zuidelijke Vechtdijk 40 heeft als status: 'verblijfsobject in gebruik'. Het pand waarin dit adres ligt heeft als status: 'pand in gebruik'.
Zuidelijke Vechtdijk 40 is een adres gelegen in de gemeente Dalfsen, provincie Overijssel. Dit adres is geregistreerd in de Basisregistratie Adressen en Gebouwen (BAG) met als unieke identificatie 0148010000000782.
Het pand op Zuidelijke Vechtdijk 40 is gebouwd in 1965, wat betekent dat het 61 jaar oud is. Dit is een ouder pand. Het pand heeft mogelijk aanzienlijke renovaties nodig om aan de huidige standaarden te voldoen.
De woning op Zuidelijke Vechtdijk 40 heeft een gebruiksoppervlakte van 70 m². Dit is relatief klein vergeleken met de gemiddelde Nederlandse woning, die een oppervlakte heeft van ongeveer 119 m². De gebruiksoppervlakte is de maat die wordt gebruikt in de BAG-registratie, de landelijke registratie van de Nederlandse overheid.
Zuidelijke Vechtdijk 40 heeft als functie: logies/verblijf. Deze gebruiksfunctie(s) zijn vastgelegd in de BAG-registratie en geven aan waarvoor het adres officieel mag worden gebruikt.
Zuidelijke Vechtdijk 40 is gelegen op kadastraal perceel DSN01X231. Deze kadastrale aanduiding is uniek en wordt gebruikt door het Kadaster om eigendomsrechten en andere zakelijke rechten vast te leggen. Het perceel maakt onderdeel uit van de kadastrale gemeente Dalfsen.
Het perceel waarop Zuidelijke Vechtdijk 40 staat heeft een oppervlakte van 4,8 ha. Dit is een zeer groot perceel. De perceeloppervlakte wordt geregistreerd door het Kadaster. Gedetailleerde informatie over de maten van dit perceel kunt u vinden in het rapport Kadastrale kaart met maatvoering van Zuidelijke Vechtdijk 40.
De eigenaar van Zuidelijke Vechtdijk 40 is op te vragen op deze pagina.
De informatie over dit adres is afkomstig uit officiële overheidsregistraties, voornamelijk de Basisregistratie Adressen en Gebouwen (BAG) en de Basisregistratie Kadaster (BRK). Deze gegevens worden beheerd door respectievelijk gemeenten en het Kadaster, en worden regelmatig bijgewerkt. Energielabelgegevens komen uit de database van de Rijksdienst voor Ondernemend Nederland (RVO).
