
Bunnikseweg 12 is gelegen in de plaats De Bilt, de gemeente De Bilt en de provincie Utrecht. De oppervlakte van het verblijfsobject is met 329 m² aan de grote kant. Het perceel heeft een oppervlakte van 4627 m². In vergelijking met de andere adressen in de straat is de oppervlakte van dit object relatief groot. Het grootste verblijfsobject heeft een oppervlakte van 1108 m², de oppervlakte van het kleinste object bedraagt 53 m². Het gebouw waarin Bunnikseweg 12 ligt komt uit het jaar 1904. Objecten die gebouwd zijn vóór 1965 classificeren we hier als oud. Dit object is relatief nieuw in de straat. Het nieuwste gebouw komt er uit het jaar 1973 en het oudste uit het jaar 1600. De volgende gebruiksdoelen zijn geregistreerd voor dit adres: 'woonfunctie' en 'industriefunctie'.
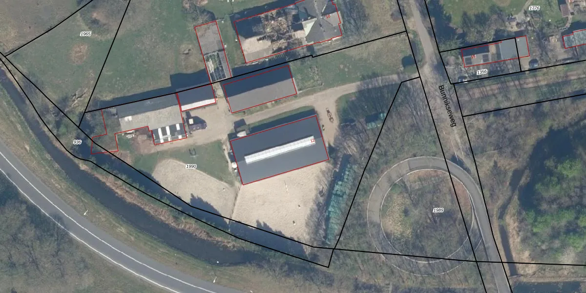
Het perceel waarop het adres ligt is BIL01-C-1990. De afkorting 'BIL01' staat voor kadastrale gemeente De Bilt. De oppervlakte van het perceel is 4627 m². Dat is groter dan gemiddeld in De Bilt, waar de gemiddelde perceeloppervlakte op 2120,31 m² ligt. Het kleinste perceel in de kadastrale gemeente is 0 m² groot. De grootste perceeloppervlakte is 77,4 ha. Op het perceel bevinden zich geen andere adressen. De laatste wijziging in het de Basisregistratie Kadaster (BRK) was op 01-10-1998.
Er is geen energielabel geregistreerd voor het adres. Het hoogste energielabel in de straat is D; het laagste is G. Het gemiddelde energielabel is er D. Het adres Bunnikseweg 12 heeft als status: 'verblijfsobject in gebruik'. Het pand waarin dit adres ligt heeft als status: 'pand in gebruik'.
Bunnikseweg 12 is een adres gelegen in de gemeente De Bilt, provincie Utrecht. Dit adres is geregistreerd in de Basisregistratie Adressen en Gebouwen (BAG) met als unieke identificatie 0310010000709755.
Het pand op Bunnikseweg 12 is gebouwd in 1904, wat betekent dat het 122 jaar oud is. Dit is een ouder pand. Het pand heeft mogelijk aanzienlijke renovaties nodig om aan de huidige standaarden te voldoen.
De woning op Bunnikseweg 12 heeft een gebruiksoppervlakte van 329 m². Dit is ruim vergeleken met de gemiddelde Nederlandse woning, die een oppervlakte heeft van ongeveer 119 m². De gebruiksoppervlakte is de maat die wordt gebruikt in de BAG-registratie, de landelijke registratie van de Nederlandse overheid.
Bunnikseweg 12 heeft als functie: wonen en industrie. Deze gebruiksfunctie(s) zijn vastgelegd in de BAG-registratie en geven aan waarvoor het adres officieel mag worden gebruikt.
Bunnikseweg 12 is gelegen op kadastraal perceel BIL01C1990. Deze kadastrale aanduiding is uniek en wordt gebruikt door het Kadaster om eigendomsrechten en andere zakelijke rechten vast te leggen. Het perceel maakt onderdeel uit van de kadastrale gemeente De Bilt.
Het perceel waarop Bunnikseweg 12 staat heeft een oppervlakte van 4627 m². Dit is een zeer groot perceel. De perceeloppervlakte wordt geregistreerd door het Kadaster. Gedetailleerde informatie over de maten van dit perceel kunt u vinden in het rapport Kadastrale kaart met maatvoering van Bunnikseweg 12.
De eigenaar van Bunnikseweg 12 is op te vragen op deze pagina.
De informatie over dit adres is afkomstig uit officiële overheidsregistraties, voornamelijk de Basisregistratie Adressen en Gebouwen (BAG) en de Basisregistratie Kadaster (BRK). Deze gegevens worden beheerd door respectievelijk gemeenten en het Kadaster, en worden regelmatig bijgewerkt. Energielabelgegevens komen uit de database van de Rijksdienst voor Ondernemend Nederland (RVO).
