
De Holle Bilt 15 is gelegen in de plaats De Bilt, de gemeente De Bilt en de provincie Utrecht. De oppervlakte van het verblijfsobject is met 221 m² aan de grote kant. Het perceel heeft een oppervlakte van 8635 m². De oppervlakte van het adres is klein vergeleken met de andere objecten in de straat. De oppervlakte van het kleinste object in de straat bedraagt 9 m², terwijl het grootste object 1,2 ha groot is. Het adres De Holle Bilt 15 ligt in een relatief oud pand uit het jaar 1918. Panden van vóór het jaar 1965 hebben we hier geclassificeerd als oud. Het nieuwste gebouw in de straat komt uit 2020 en het oudste uit 1800. Dit object is relatief oud. Het verblijfsobject heeft de volgende gebruiksdoelen: 'gezondheidszorgfunctie'.
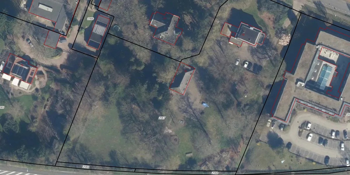
Het adres is gelegen op perceel 2067 in de sectie C en de kadastrale gemeente De Bilt. De kadastrale aanduiding is aldus BIL01-C-2067. De gemiddelde perceeloppervlakte in de kadastrale gemeente De Bilt is 2120,31 m². Dit perceel is met zijn 8635 m² dus groter dan gemiddeld. De grootste perceeloppervlakte in de kadastrale gemeente is 77,4 ha. De kleinste oppervlakte bedraagt 0 m². Op het perceel liggen in totaal 2 adressen. De laatste wijziging in het de Basisregistratie Kadaster (BRK) was op 19-09-1997.
Er is geen energielabel geregistreerd voor het adres. Het hoogste energielabel in de straat is B; het laagste is G. Het gemiddelde energielabel is er D. Het adres De Holle Bilt 15 heeft als status: 'verblijfsobject in gebruik'. Het pand waarin dit adres ligt heeft als status: 'pand in gebruik'.
De Holle Bilt 15 is een adres gelegen in de gemeente De Bilt, provincie Utrecht. Dit adres is geregistreerd in de Basisregistratie Adressen en Gebouwen (BAG) met als unieke identificatie 0310010000713879.
Het pand op De Holle Bilt 15 is gebouwd in 1918, wat betekent dat het 108 jaar oud is. Dit is een ouder pand. Het pand heeft mogelijk aanzienlijke renovaties nodig om aan de huidige standaarden te voldoen.
De woning op De Holle Bilt 15 heeft een gebruiksoppervlakte van 221 m². Dit is ruim vergeleken met de gemiddelde Nederlandse woning, die een oppervlakte heeft van ongeveer 119 m². De gebruiksoppervlakte is de maat die wordt gebruikt in de BAG-registratie, de landelijke registratie van de Nederlandse overheid.
De Holle Bilt 15 heeft als functie: gezondheidszorg. Deze gebruiksfunctie(s) zijn vastgelegd in de BAG-registratie en geven aan waarvoor het adres officieel mag worden gebruikt.
De Holle Bilt 15 is gelegen op kadastraal perceel BIL01C2067. Deze kadastrale aanduiding is uniek en wordt gebruikt door het Kadaster om eigendomsrechten en andere zakelijke rechten vast te leggen. Het perceel maakt onderdeel uit van de kadastrale gemeente De Bilt.
Het perceel waarop De Holle Bilt 15 staat heeft een oppervlakte van 8635 m². Dit is een zeer groot perceel. De perceeloppervlakte wordt geregistreerd door het Kadaster. Gedetailleerde informatie over de maten van dit perceel kunt u vinden in het rapport Kadastrale kaart met maatvoering van De Holle Bilt 15.
De eigenaar van De Holle Bilt 15 is op te vragen op deze pagina.
De informatie over dit adres is afkomstig uit officiële overheidsregistraties, voornamelijk de Basisregistratie Adressen en Gebouwen (BAG) en de Basisregistratie Kadaster (BRK). Deze gegevens worden beheerd door respectievelijk gemeenten en het Kadaster, en worden regelmatig bijgewerkt. Energielabelgegevens komen uit de database van de Rijksdienst voor Ondernemend Nederland (RVO).
